Translations in other languages:
All real estate ads published on imot.bg have been translated into English and published on the partner site
Получихте нова обява по филтър





Промяна на цена на наблюдавана обява


стара цена
нова цена
imot.bg – обяви за продажби и наеми на имоти
Сайт за имоти №1
Translations in other languages:
All real estate ads published on imot.bg have been translated into English and published on the partner site
ДОБАВИ ОБЯВА Редакция на обява
Начало Добави обява Търсене Агенции Новини Кредити Вход / Регистрация
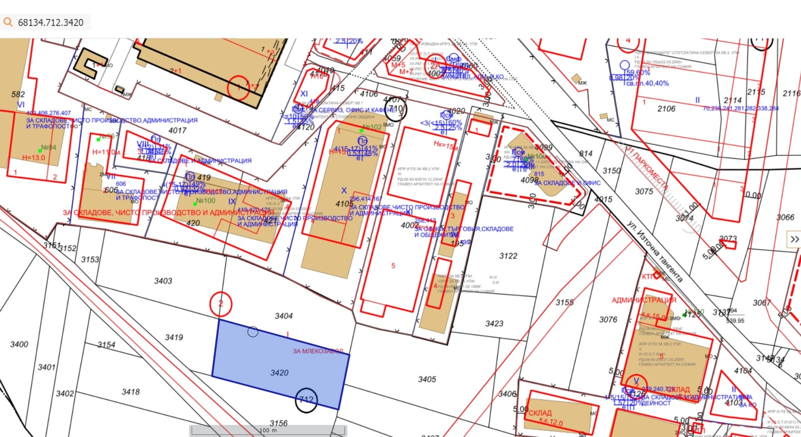
Продава ПАРЦЕЛ
град София, СПЗ Слатина
799 750 €
1 564 175.04 лв.

(250 €, 488.96 лв./m2)
Не се начислява ДДС
История на цената
Публикувана в 16:29 на 19 април, 2026 год.
Обявата е посетена 27 пъти.
Площ:
3199 m2
Ток:
ДА
Вода:
ДА

Описание на имота:


- Поземлен имот за продажба намиращ се в местността ' Средното ' , в близост до Летище София , Митница Аерогара София , DHL Експрес България , Луфтханза , на около ~ 200 м. от бул. ' Източна тангента ' и на около ~ 300 м. от бул. ' Брюксел '.

- Имотът се състои от / 3209 кв.м. / площ и попада в устройствена зона ПМС / Промишлена зона за производства и услуги / позволяваща застрояване с производствени , складови , административни , търговски и обслужващи сгради и съоражения , работилници и други. Възможност за закупуване и обединяване с множество съседни поземлени имоти със сходни характеристики и продажни цени.

- Повече информация , уговорки относно огледи , както професионално съдействие за кредитиране от лицензирания ни финансов консултант , на тел . : 0877 613 094
Особености
Виза
За пром.строителство
Обезщетение
За жил.строителство
За контакт:
0877 613 094
Агенция:
ЕКСПЕРТ ЕСТЕЙТ ГРУП
0877 613 094
ЕКСПЕРТ ЕСТЕЙТ ГРУП logo
Медал за прослужено време
В imot.bg от 2021 г.
expertbrokers.imot.bg
Адрес:
област София, гр. София, Оборище, ул. Алеко Константинов 32
http://www.expertbrokers.eu
ИЗПРАТИ ЗАПИТВАНЕ
ИЗПРАТИ ЗАПИТВАНЕТО

Продава ПАРЦЕЛ
град София, СПЗ Слатина
Обява: 1r177660536460235

799 750 €
1 564 175.04 лв.
История на цената
(250 €, 488.96 лв./m2)

Не се начислява ДДС
ЗАПАЗИ ОБЯВАТА

Местоположение: град София, СПЗ Слатина

Виж още имоти от София или още Парцели в София
Допълнителни данни за имотите в района и сравнение с други райони

Покажи

Период

и 4 месеца

* Средните цени са определени чрез медианна стойност
Още обяви в imot.bg
Обяви за имоти Продажби град София СПЗ Слатина Парцели
Въпроси и предложения към imot.bg
КОНТАКТИ | SMS КОДОВЕ | ПОМОЩ | ОБЩИ УСЛОВИЯ | РЕКЛАМА | ЗАЩИТА НА ЛИЧНИТЕ ДАННИ | КАРТА НА САЙТА |
Резон Медия | Автомобили | Работа | Новини | Обяви 2002-2026 ® Copyright imot.bg
© imot.bg ползва и препоръчва хостинг услугите на Bulinfo.net
Следвайте ни в: