Translations in other languages:
All real estate ads published on
imot.bg
have been translated into English and published on the partner site
Continue
Получихте нова обява по филтър
Промяна на цена на наблюдавана обява
стара цена
нова цена
Сайт за имоти
№1
Translations in other languages:
All real estate ads published on
imot.bg
have been translated into English and published on the partner site
Continue
ДОБАВИ ОБЯВА
Редакция на обява
Вход
|
Нова Регистрация
Начало
Публикуване
Търсене
Нови сгради
Агенции
Новини
Кредити
+ Още...
Моят имот
Избор на рубрика
|
Продава
|
Дава под наем
|
Купува
|
Търси да наеме
|
Заменя
|
Съквартиранти
Колко струва моят имот?
НОВО ТЪРСЕНЕ
|
КОРЕКЦИЯ НА ТЪРСЕНЕТО
|
РЕЗУЛТАТИ ОТ ТЪРСЕНЕТО
Увеличи
1
/
1
346 970 €
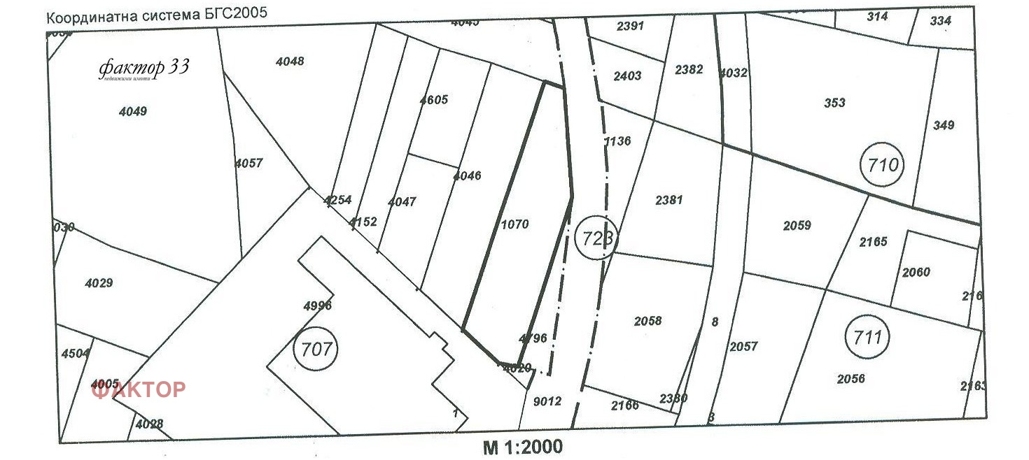
678 614.34 лв.,, Продава ПАРЦЕЛ, град София, СПЗ Слатина
Площ: 2041 кв.м, Агенция,
Продава ПАРЦЕЛ
град София, СПЗ Слатина
ул. Източна тангента
Виж карта
346 970 €
678 614.34 лв.
(170 €, 332.49 лв./m
2
)
Не се начислява ДДС
История на цената
Коригирана в 18:02 на 25 септември, 2025 год.
Обявата е посетена
124
пъти.
Площ:
2041 m
2
Моята бележка
(видима само за Вас)
Моята оценка
(видима само за Вас)
Съобщи за нередност
и блокирай Агенцията
10:24 ч., 31.10.2025
Изтрий
Редактирай
Отказ
Запиши
Оценка:
от 10
10:24 ч., 31.10.2025
(Ще получите SMS с ключ за верификация)
Съгласявам се с
общите условия
и
политики за защита на личните данни
Отказ
Изпрати
Описание на имота:
Аерогарата, терен в производствено- складова зона с лице на ул.Източна тангента. Имотът граничи с регулация, статут на зем.земя. Асфалтов път, подходящ за транспортна база. възможност за покупка на 1-8 дка в съседство;
0889 109 765 Илиева
Виж всички обяви в
factor.bazar.bg
или
тук
Особености
За пром.строителство
За контакт:
0889109765
Агенция:
ФАКТОР
02/953 00 00, 0889 109 765, 0887 33 44 13
В imot.bg
от 2004 г.
factor.imot.bg
Още оферти:
Продава
|
Дава под наем
|
Купува
|
Наема
Адрес:
област София, гр. София, гр. София, ул.'6-ти септември' 9
http://factor33.net
ИЗПРАТИ ЗАПИТВАНЕ
Вашето име:
Вашия телефон:
Вашия е-mail:
Запитване: (до 1000 символа
)
ИЗПРАТИ ЗАПИТВАНЕТО
Съгласявам се с
общите условия
и
политики за защита на личните данни
Продава ПАРЦЕЛ
град София, СПЗ Слатина
ул. Източна тангента
Обява: 1r174835266059892
346 970 €
678 614.34 лв.
История на цената
(170 €, 332.49 лв./m
2
)
Не се начислява ДДС
0889109765
Изпрати E-mail до продавача
ЗАПАЗИ ОБЯВАТА
Сподели:
ФАКТОР
област София, гр. София, гр. София, ул.'6-ти септември' 9
В imot.bg
от 2004 г.
factor.imot.bg
Местоположение:
град София, СПЗ Слатина, ул. Източна тангента
Виж още
имоти от София
или
още Парцели в София
Допълнителни данни за имотите в района и сравнение с други райони:
Търсене в АРХИВ 2013 - 2025 г.
Изберете вида на имота и района
Вид на имота:
Област / Град:
Район:
1
1-СТАЕН
2-СТАЕН
3-СТАЕН
4-СТАЕН
МНОГОСТАЕН
МЕЗОНЕТ
ОФИС
АТЕЛИЕ, ТАВАН
ЕТАЖ ОТ КЪЩА
КЪЩА
ВИЛА
МАГАЗИН
ЗАВЕДЕНИЕ
СКЛАД
ГАРАЖ, ПАРКОМЯСТО
ПРОМ. ПОМЕЩЕНИЕ
ХОТЕЛ
ПАРЦЕЛ
ЗЕМЕДЕЛСКА ЗЕМЯ
БИЗНЕС ИМОТ
град Благоевград
град Бургас
град Варна
град Велико Търново
град Видин
град Враца
град Габрово
град Добрич
град Кърджали
град Кюстендил
град Ловеч
град Монтана
град Пазарджик
град Перник
град Плевен
град Пловдив
град Разград
град Русе
град Силистра
град Сливен
град Смолян
град София
град Стара Загора
град Търговище
град Хасково
град Шумен
град Ямбол
7-ми 11-ти километър
Абдовица
Банишора
Белите брези
Бенковски
Борово
Ботунец
Ботунец 2
Бояна
Бъкстон
Витоша
Военна рампа
Враждебна
Връбница 1
Връбница 2
Гевгелийски
Гео Милев
Горна баня
Горубляне
Гоце Делчев
Градина
Дианабад
Димитър Миленков
Докторски паметник
Драгалевци
Дружба 1
Дружба 2
Дървеница
Експериментален
Западен парк
Захарна фабрика
Зона Б-18
Зона Б-19
Зона Б-5
Зона Б-5-3
Иван Вазов
Изгрев
Изток
Илинден
Илиянци
Карпузица
Княжево
Красна поляна 1
Красна поляна 2
Красна поляна 3
Красно село
Кремиковци
Кръстова вада
Лагера
Левски
Левски В
Левски Г
Летище София
Лозенец
Люлин - център
Люлин 1
Люлин 10
Люлин 2
Люлин 3
Люлин 4
Люлин 5
Люлин 6
Люлин 7
Люлин 8
Люлин 9
Малашевци
Малинова долина
Манастирски ливади
Медицинска академия
Младост 1
Младост 1А
Младост 2
Младост 3
Младост 4
Модерно предградие
Мусагеница
Надежда 1
Надежда 2
Надежда 3
Надежда 4
НПЗ Изток
НПЗ Искър
НПЗ Средец
НПЗ Хаджи Димитър
Обеля
Обеля 1
Обеля 2
Оборище
Овча купел
Овча купел 1
Овча купел 2
Орландовци
Павлово
ПЗ Илиянци
ПЗ Хладилника
Подуяне
Полигона
Разсадника
Редута
Република
Република 2
Света Троица
Свобода
Сердика
Сеславци
Симеоново
Славия
Слатина
СПЗ Модерно предградие
СПЗ Слатина
Стрелбище
Студентски град
Сухата река
Суходол
Толстой
Требич
Триъгълника
Факултета
Филиповци
Фондови жилища
Хаджи Димитър
Хиподрума
Хладилника
Христо Ботев
Център
Челопечене
Яворов
в.з.Американски колеж
в.з.Беловодски път
в.з.Бояна
в.з.Бункера
в.з.Врана - Герман
в.з.Врана - Лозен
в.з.Горна баня
в.з.Килиите
в.з.Киноцентъра
в.з.Киноцентъра 3 част
в.з.Люлин
в.з.Малинова долина
в.з.Малинова долина - Герена
в.з.Симеоново - Драгалевци
в.з.Черния кос
гр. Банкя
гр. Бухово
гр. Нови Искър
ж.гр.Зоопарк
ж.гр.Южен парк
м-т Барите
м-т Батареята
м-т Гърдова глава
м-т Детски град
м-т Камбаните
м-т Киноцентъра
м-т Мала кория
м-т Подлозище
м-т Щъркелово гнездо
м-т Юбилейна гора
м-т яз. Искър
м-т Яладжа
с. Балша
с. Бистрица
с. Бусманци
с. Владая
с. Войнеговци
с. Волуяк
с. Герман
с. Горни Богров
с. Доброславци
с. Долни Богров
с. Долни Пасарел
с. Железница
с. Желява
с. Житен
с. Иваняне
с. Казичене
с. Клисура
с. Кокаляне
с. Кривина
с. Кубратово
с. Кътина
с. Лозен
с. Локорско
с. Мало Бучино
с. Мировяне
с. Мрамор
с. Мърчаево
с. Негован
с. Панчарево
с. Плана
с. Подгумер
с. Световрачене
с. Чепинци
с. Яна
2
1-СТАЕН
2-СТАЕН
3-СТАЕН
4-СТАЕН
МНОГОСТАЕН
МЕЗОНЕТ
ОФИС
АТЕЛИЕ, ТАВАН
ЕТАЖ ОТ КЪЩА
КЪЩА
ВИЛА
МАГАЗИН
ЗАВЕДЕНИЕ
СКЛАД
ГАРАЖ, ПАРКОМЯСТО
ПРОМ. ПОМЕЩЕНИЕ
ХОТЕЛ
ПАРЦЕЛ
ЗЕМЕДЕЛСКА ЗЕМЯ
БИЗНЕС ИМОТ
град Благоевград
град Бургас
град Варна
град Велико Търново
град Видин
град Враца
град Габрово
град Добрич
град Кърджали
град Кюстендил
град Ловеч
град Монтана
град Пазарджик
град Перник
град Плевен
град Пловдив
град Разград
град Русе
град Силистра
град Сливен
град Смолян
град София
град Стара Загора
град Търговище
град Хасково
град Шумен
град Ямбол
7-ми 11-ти километър
Абдовица
Банишора
Белите брези
Бенковски
Борово
Ботунец
Ботунец 2
Бояна
Бъкстон
Витоша
Военна рампа
Враждебна
Връбница 1
Връбница 2
Гевгелийски
Гео Милев
Горна баня
Горубляне
Гоце Делчев
Градина
Дианабад
Димитър Миленков
Докторски паметник
Драгалевци
Дружба 1
Дружба 2
Дървеница
Експериментален
Западен парк
Захарна фабрика
Зона Б-18
Зона Б-19
Зона Б-5
Зона Б-5-3
Иван Вазов
Изгрев
Изток
Илинден
Илиянци
Карпузица
Княжево
Красна поляна 1
Красна поляна 2
Красна поляна 3
Красно село
Кремиковци
Кръстова вада
Лагера
Левски
Левски В
Левски Г
Летище София
Лозенец
Люлин - център
Люлин 1
Люлин 10
Люлин 2
Люлин 3
Люлин 4
Люлин 5
Люлин 6
Люлин 7
Люлин 8
Люлин 9
Малашевци
Малинова долина
Манастирски ливади
Медицинска академия
Младост 1
Младост 1А
Младост 2
Младост 3
Младост 4
Модерно предградие
Мусагеница
Надежда 1
Надежда 2
Надежда 3
Надежда 4
НПЗ Изток
НПЗ Искър
НПЗ Средец
НПЗ Хаджи Димитър
Обеля
Обеля 1
Обеля 2
Оборище
Овча купел
Овча купел 1
Овча купел 2
Орландовци
Павлово
ПЗ Илиянци
ПЗ Хладилника
Подуяне
Полигона
Разсадника
Редута
Република
Република 2
Света Троица
Свобода
Сердика
Сеславци
Симеоново
Славия
Слатина
СПЗ Модерно предградие
СПЗ Слатина
Стрелбище
Студентски град
Сухата река
Суходол
Толстой
Требич
Триъгълника
Факултета
Филиповци
Фондови жилища
Хаджи Димитър
Хиподрума
Хладилника
Христо Ботев
Център
Челопечене
Яворов
в.з.Американски колеж
в.з.Беловодски път
в.з.Бояна
в.з.Бункера
в.з.Врана - Герман
в.з.Врана - Лозен
в.з.Горна баня
в.з.Килиите
в.з.Киноцентъра
в.з.Киноцентъра 3 част
в.з.Люлин
в.з.Малинова долина
в.з.Малинова долина - Герена
в.з.Симеоново - Драгалевци
в.з.Черния кос
гр. Банкя
гр. Бухово
гр. Нови Искър
ж.гр.Зоопарк
ж.гр.Южен парк
м-т Барите
м-т Батареята
м-т Гърдова глава
м-т Детски град
м-т Камбаните
м-т Киноцентъра
м-т Мала кория
м-т Подлозище
м-т Щъркелово гнездо
м-т Юбилейна гора
м-т яз. Искър
м-т Яладжа
с. Балша
с. Бистрица
с. Бусманци
с. Владая
с. Войнеговци
с. Волуяк
с. Герман
с. Горни Богров
с. Доброславци
с. Долни Богров
с. Долни Пасарел
с. Железница
с. Желява
с. Житен
с. Иваняне
с. Казичене
с. Клисура
с. Кокаляне
с. Кривина
с. Кубратово
с. Кътина
с. Лозен
с. Локорско
с. Мало Бучино
с. Мировяне
с. Мрамор
с. Мърчаево
с. Негован
с. Панчарево
с. Плана
с. Подгумер
с. Световрачене
с. Чепинци
с. Яна
3
1-СТАЕН
2-СТАЕН
3-СТАЕН
4-СТАЕН
МНОГОСТАЕН
МЕЗОНЕТ
ОФИС
АТЕЛИЕ, ТАВАН
ЕТАЖ ОТ КЪЩА
КЪЩА
ВИЛА
МАГАЗИН
ЗАВЕДЕНИЕ
СКЛАД
ГАРАЖ, ПАРКОМЯСТО
ПРОМ. ПОМЕЩЕНИЕ
ХОТЕЛ
ПАРЦЕЛ
ЗЕМЕДЕЛСКА ЗЕМЯ
БИЗНЕС ИМОТ
град Благоевград
град Бургас
град Варна
град Велико Търново
град Видин
град Враца
град Габрово
град Добрич
град Кърджали
град Кюстендил
град Ловеч
град Монтана
град Пазарджик
град Перник
град Плевен
град Пловдив
град Разград
град Русе
град Силистра
град Сливен
град Смолян
град София
град Стара Загора
град Търговище
град Хасково
град Шумен
град Ямбол
7-ми 11-ти километър
Абдовица
Банишора
Белите брези
Бенковски
Борово
Ботунец
Ботунец 2
Бояна
Бъкстон
Витоша
Военна рампа
Враждебна
Връбница 1
Връбница 2
Гевгелийски
Гео Милев
Горна баня
Горубляне
Гоце Делчев
Градина
Дианабад
Димитър Миленков
Докторски паметник
Драгалевци
Дружба 1
Дружба 2
Дървеница
Експериментален
Западен парк
Захарна фабрика
Зона Б-18
Зона Б-19
Зона Б-5
Зона Б-5-3
Иван Вазов
Изгрев
Изток
Илинден
Илиянци
Карпузица
Княжево
Красна поляна 1
Красна поляна 2
Красна поляна 3
Красно село
Кремиковци
Кръстова вада
Лагера
Левски
Левски В
Левски Г
Летище София
Лозенец
Люлин - център
Люлин 1
Люлин 10
Люлин 2
Люлин 3
Люлин 4
Люлин 5
Люлин 6
Люлин 7
Люлин 8
Люлин 9
Малашевци
Малинова долина
Манастирски ливади
Медицинска академия
Младост 1
Младост 1А
Младост 2
Младост 3
Младост 4
Модерно предградие
Мусагеница
Надежда 1
Надежда 2
Надежда 3
Надежда 4
НПЗ Изток
НПЗ Искър
НПЗ Средец
НПЗ Хаджи Димитър
Обеля
Обеля 1
Обеля 2
Оборище
Овча купел
Овча купел 1
Овча купел 2
Орландовци
Павлово
ПЗ Илиянци
ПЗ Хладилника
Подуяне
Полигона
Разсадника
Редута
Република
Република 2
Света Троица
Свобода
Сердика
Сеславци
Симеоново
Славия
Слатина
СПЗ Модерно предградие
СПЗ Слатина
Стрелбище
Студентски град
Сухата река
Суходол
Толстой
Требич
Триъгълника
Факултета
Филиповци
Фондови жилища
Хаджи Димитър
Хиподрума
Хладилника
Христо Ботев
Център
Челопечене
Яворов
в.з.Американски колеж
в.з.Беловодски път
в.з.Бояна
в.з.Бункера
в.з.Врана - Герман
в.з.Врана - Лозен
в.з.Горна баня
в.з.Килиите
в.з.Киноцентъра
в.з.Киноцентъра 3 част
в.з.Люлин
в.з.Малинова долина
в.з.Малинова долина - Герена
в.з.Симеоново - Драгалевци
в.з.Черния кос
гр. Банкя
гр. Бухово
гр. Нови Искър
ж.гр.Зоопарк
ж.гр.Южен парк
м-т Барите
м-т Батареята
м-т Гърдова глава
м-т Детски град
м-т Камбаните
м-т Киноцентъра
м-т Мала кория
м-т Подлозище
м-т Щъркелово гнездо
м-т Юбилейна гора
м-т яз. Искър
м-т Яладжа
с. Балша
с. Бистрица
с. Бусманци
с. Владая
с. Войнеговци
с. Волуяк
с. Герман
с. Горни Богров
с. Доброславци
с. Долни Богров
с. Долни Пасарел
с. Железница
с. Желява
с. Житен
с. Иваняне
с. Казичене
с. Клисура
с. Кокаляне
с. Кривина
с. Кубратово
с. Кътина
с. Лозен
с. Локорско
с. Мало Бучино
с. Мировяне
с. Мрамор
с. Мърчаево
с. Негован
с. Панчарево
с. Плана
с. Подгумер
с. Световрачене
с. Чепинци
с. Яна
4
1-СТАЕН
2-СТАЕН
3-СТАЕН
4-СТАЕН
МНОГОСТАЕН
МЕЗОНЕТ
ОФИС
АТЕЛИЕ, ТАВАН
ЕТАЖ ОТ КЪЩА
КЪЩА
ВИЛА
МАГАЗИН
ЗАВЕДЕНИЕ
СКЛАД
ГАРАЖ, ПАРКОМЯСТО
ПРОМ. ПОМЕЩЕНИЕ
ХОТЕЛ
ПАРЦЕЛ
ЗЕМЕДЕЛСКА ЗЕМЯ
БИЗНЕС ИМОТ
град Благоевград
град Бургас
град Варна
град Велико Търново
град Видин
град Враца
град Габрово
град Добрич
град Кърджали
град Кюстендил
град Ловеч
град Монтана
град Пазарджик
град Перник
град Плевен
град Пловдив
град Разград
град Русе
град Силистра
град Сливен
град Смолян
град София
град Стара Загора
град Търговище
град Хасково
град Шумен
град Ямбол
7-ми 11-ти километър
Абдовица
Банишора
Белите брези
Бенковски
Борово
Ботунец
Ботунец 2
Бояна
Бъкстон
Витоша
Военна рампа
Враждебна
Връбница 1
Връбница 2
Гевгелийски
Гео Милев
Горна баня
Горубляне
Гоце Делчев
Градина
Дианабад
Димитър Миленков
Докторски паметник
Драгалевци
Дружба 1
Дружба 2
Дървеница
Експериментален
Западен парк
Захарна фабрика
Зона Б-18
Зона Б-19
Зона Б-5
Зона Б-5-3
Иван Вазов
Изгрев
Изток
Илинден
Илиянци
Карпузица
Княжево
Красна поляна 1
Красна поляна 2
Красна поляна 3
Красно село
Кремиковци
Кръстова вада
Лагера
Левски
Левски В
Левски Г
Летище София
Лозенец
Люлин - център
Люлин 1
Люлин 10
Люлин 2
Люлин 3
Люлин 4
Люлин 5
Люлин 6
Люлин 7
Люлин 8
Люлин 9
Малашевци
Малинова долина
Манастирски ливади
Медицинска академия
Младост 1
Младост 1А
Младост 2
Младост 3
Младост 4
Модерно предградие
Мусагеница
Надежда 1
Надежда 2
Надежда 3
Надежда 4
НПЗ Изток
НПЗ Искър
НПЗ Средец
НПЗ Хаджи Димитър
Обеля
Обеля 1
Обеля 2
Оборище
Овча купел
Овча купел 1
Овча купел 2
Орландовци
Павлово
ПЗ Илиянци
ПЗ Хладилника
Подуяне
Полигона
Разсадника
Редута
Република
Република 2
Света Троица
Свобода
Сердика
Сеславци
Симеоново
Славия
Слатина
СПЗ Модерно предградие
СПЗ Слатина
Стрелбище
Студентски град
Сухата река
Суходол
Толстой
Требич
Триъгълника
Факултета
Филиповци
Фондови жилища
Хаджи Димитър
Хиподрума
Хладилника
Христо Ботев
Център
Челопечене
Яворов
в.з.Американски колеж
в.з.Беловодски път
в.з.Бояна
в.з.Бункера
в.з.Врана - Герман
в.з.Врана - Лозен
в.з.Горна баня
в.з.Килиите
в.з.Киноцентъра
в.з.Киноцентъра 3 част
в.з.Люлин
в.з.Малинова долина
в.з.Малинова долина - Герена
в.з.Симеоново - Драгалевци
в.з.Черния кос
гр. Банкя
гр. Бухово
гр. Нови Искър
ж.гр.Зоопарк
ж.гр.Южен парк
м-т Барите
м-т Батареята
м-т Гърдова глава
м-т Детски град
м-т Камбаните
м-т Киноцентъра
м-т Мала кория
м-т Подлозище
м-т Щъркелово гнездо
м-т Юбилейна гора
м-т яз. Искър
м-т Яладжа
с. Балша
с. Бистрица
с. Бусманци
с. Владая
с. Войнеговци
с. Волуяк
с. Герман
с. Горни Богров
с. Доброславци
с. Долни Богров
с. Долни Пасарел
с. Железница
с. Желява
с. Житен
с. Иваняне
с. Казичене
с. Клисура
с. Кокаляне
с. Кривина
с. Кубратово
с. Кътина
с. Лозен
с. Локорско
с. Мало Бучино
с. Мировяне
с. Мрамор
с. Мърчаево
с. Негован
с. Панчарево
с. Плана
с. Подгумер
с. Световрачене
с. Чепинци
с. Яна
Откажи
OK
Цена на имота
Цена на кв.м.
Наем на имота
Цена/Год.наем
Брой оферти
Брой търсения
Разглеждания
1 месец
1 година
3 години
21 години
и 10 месеца
Добави/редактирай
вид имот и район
*Средните цени са определени чрез
медиана стойност
.
Още обяви в imot.bg
Продава ПАРЦЕЛ
2 867 000 €
5 607 364.61 лв.
(15500 кв.м)
град София СПЗ Слатина
Продава ПАРЦЕЛ
106 800 €
208 882.64 лв.
(534 кв.м)
град София СПЗ Слатина
Продава ПАРЦЕЛ
839 160 €
1 641 254.30 лв.
(2700 кв.м)
град София СПЗ Слатина
Продава ПАРЦЕЛ
380 000 €
743 215.40 лв.
(3400 кв.м)
град София СПЗ Слатина
Още обяви в imot.bg от ФАКТОР
Виж всички
Продава ПАРЦЕЛ
164 000 €
320 756.12 лв.
(403 кв.м)
град София с. Бистрица
Продава ПАРЦЕЛ
264 000 €
516 339.12 лв.
(1100 кв.м)
град София с. Панчарево
Продава ПАРЦЕЛ
149 000 €
291 418.67 лв.
(900 кв.м)
град София с. Бистрица
Продава ПАРЦЕЛ
100 000 €
195 583.00 лв.
(855 кв.м)
град София с. Казичене
КОНТАКТИ
|
SMS КОДОВЕ
|
СТАТИСТИКА
|
ПОМОЩ
|
ОБЩИ УСЛОВИЯ
|
РЕКЛАМА
|
ТОП ОФЕРТА
|
Въпроси и предложения към imot.bg
Резон Медия
|
Имоти
|
Автомобили
|
Работа
|
Новини
|
Обяви
|
Преводи и легализация
2002-2025 ® Copyright imot.bg
©
imot.bg
ползва и препоръчва
хостинг услугите
на
Следвайте ни в: