Translations in other languages:
All real estate ads published on
imot.bg
have been translated into English and published on the partner site
Continue
Получихте нова обява по филтър
Промяна на цена на наблюдавана обява
стара цена
нова цена
Сайт за имоти
№1
Translations in other languages:
All real estate ads published on
imot.bg
have been translated into English and published on the partner site
Continue
ДОБАВИ ОБЯВА
Редакция на обява
Вход
|
Нова Регистрация
Начало
Публикуване
Търсене
Нови сгради
Агенции
Новини
Кредити
+ Още...
Моят имот
Избор на рубрика
|
Продава
|
Дава под наем
|
Купува
|
Търси да наеме
|
Заменя
|
Съквартиранти
Колко струва моят имот?
НОВО ТЪРСЕНЕ
|
КОРЕКЦИЯ НА ТЪРСЕНЕТО
|
РЕЗУЛТАТИ ОТ ТЪРСЕНЕТО
Увеличи
1
/
1
150 000 €
293 374.50 лв.,, Продава ПАРЦЕЛ, град Варна, Бизнес парк Варна
Площ: 1200 кв.м, Агенция, Регулация: ДА,
Продава ПАРЦЕЛ
град Варна, Бизнес парк Варна
Виж карта
150 000 €
293 374.50 лв.
(125 €, 244.48 лв./m
2
)
Не се начислява ДДС
История на цената
Публикувана в 18:34 на 5 август, 2024 год.
Обявата е посетена
1459
пъти.
Площ:
1200 m
2
Регулация:
ДА
Моята бележка
(видима само за Вас)
Моята оценка
(видима само за Вас)
Съобщи за нередност
и блокирай Агенцията
17:12 ч., 31.10.2025
Изтрий
Редактирай
Отказ
Запиши
Оценка:
от 10
17:12 ч., 31.10.2025
(Ще получите SMS с ключ за верификация)
Съгласявам се с
общите условия
и
политики за защита на личните данни
Отказ
Изпрати
Описание на имота:
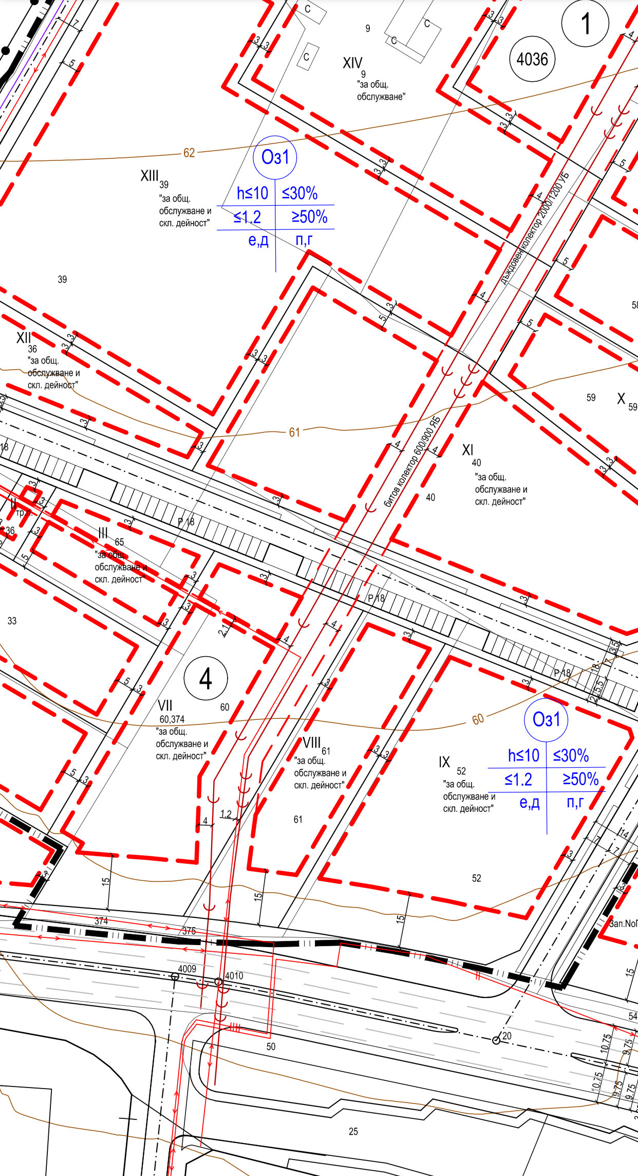
Одобрен ПУП-ПРЗ, 30% плътност, 10 м височина, 1,2 кинт.
Виж всички обяви в
compass.bazar.bg
или
тук
За контакт:
0888600841
Този имот се предлага само на частни лица
Агенция:
КОМПАС
0888600841
В imot.bg
от 2004 г.
compass.imot.bg
Още оферти:
Продава
|
Дава под наем
|
Купува
|
Наема
Адрес:
област Варна, гр. Варна, ул.'' Бр. Шкорпил 28
http://compass.imot.bg
ИЗПРАТИ ЗАПИТВАНЕ
Вашето име:
Вашия телефон:
Вашия е-mail:
Запитване: (до 1000 символа
)
ИЗПРАТИ ЗАПИТВАНЕТО
Съгласявам се с
общите условия
и
политики за защита на личните данни
Продава ПАРЦЕЛ
град Варна, Бизнес парк Варна
Обява: 1r172287209366961
150 000 €
293 374.50 лв.
История на цената
(125 €, 244.48 лв./m
2
)
Не се начислява ДДС
0888600841
Изпрати E-mail до продавача
ЗАПАЗИ ОБЯВАТА
Сподели:
КОМПАС
област Варна, гр. Варна, ул.'' Бр. Шкорпил 28
В imot.bg
от 2004 г.
compass.imot.bg
Местоположение:
град Варна, Бизнес парк Варна
Виж още
имоти от Варна
или
още Парцели във Варна
Допълнителни данни за имотите в района и сравнение с други райони:
Търсене в АРХИВ 2013 - 2025 г.
Изберете вида на имота и района
Вид на имота:
Област / Град:
Район:
1
1-СТАЕН
2-СТАЕН
3-СТАЕН
4-СТАЕН
МНОГОСТАЕН
МЕЗОНЕТ
ОФИС
АТЕЛИЕ, ТАВАН
ЕТАЖ ОТ КЪЩА
КЪЩА
ВИЛА
МАГАЗИН
ЗАВЕДЕНИЕ
СКЛАД
ГАРАЖ, ПАРКОМЯСТО
ПРОМ. ПОМЕЩЕНИЕ
ХОТЕЛ
ПАРЦЕЛ
ЗЕМЕДЕЛСКА ЗЕМЯ
БИЗНЕС ИМОТ
град Благоевград
град Бургас
град Варна
град Велико Търново
град Видин
град Враца
град Габрово
град Добрич
град Кърджали
град Кюстендил
град Ловеч
град Монтана
град Пазарджик
град Перник
град Плевен
град Пловдив
град Разград
град Русе
град Силистра
град Сливен
град Смолян
град София
град Стара Загора
град Търговище
град Хасково
град Шумен
град Ямбол
Автогара
Аспарухово
Базар Левски
Бизнес парк Варна
Бизнес хотел
Бриз
Виница
ВИНС-Червен площад
Владислав Варненчик 1
Владислав Варненчик 2
Възраждане 1
Възраждане 2
Възраждане 3
Възраждане 4
Галата
Гранд Мол
Гръцка махала
Електроразпределение Варна
ЖП Гара
Завод Дружба
Западна промишлена зона
Зимно кино Тракия
Изгрев
Кайсиева градина
Колхозен пазар
Конфуто
Левски 1
Левски 2
Летище
Лятно кино Тракия
Максуда
Малка Чайка
Метро
Младост 1
Младост 2
Окръжна болница-Генерали
Операта
Островна промишлена зона
Планова промишлена зона
Победа
Погреби
Пристанище Варна
Промишлена зона Тополи
Свети Никола
Северна промишлена зона
Спортна зала
Стадион Спартак
Трошево
Фестивален комплекс
ХЕИ
Христо Ботев
Цветен квартал
Централна поща
Център
Чайка
Чаталджа
в.з.Виница - север
в.з.Звездица
к.к. Златни пясъци
к.к. Св.Св. Константин и Елена
к.к. Слънчев ден
к.к. Чайка
м-т Акчелар
м-т Ален мак
м-т Атанас Тарла
м-т Балам Дере
м-т Боклук Тарла
м-т Боровец - север
м-т Боровец - юг
м-т Горна Трака
м-т Добрева чешма
м-т Долна Трака
м-т Евксиноград
м-т Зеленика
м-т Кантара
м-т Кочмар
м-т Крушките
м-т Лазур
м-т Манастирски рид
м-т Ментешето
м-т Орехчето
м-т Перчемлията
м-т Планова
м-т Прибой
м-т Припек
м-т Пчелина
м-т Ракитника
м-т Салтанат
м-т Сотира
м-т Сълзица
м-т Телевизионна кула
м-т Фичоза
м-т Франга Дере
с. Звездица
с. Казашко
с. Каменар
с. Константиново
с. Тополи
2
1-СТАЕН
2-СТАЕН
3-СТАЕН
4-СТАЕН
МНОГОСТАЕН
МЕЗОНЕТ
ОФИС
АТЕЛИЕ, ТАВАН
ЕТАЖ ОТ КЪЩА
КЪЩА
ВИЛА
МАГАЗИН
ЗАВЕДЕНИЕ
СКЛАД
ГАРАЖ, ПАРКОМЯСТО
ПРОМ. ПОМЕЩЕНИЕ
ХОТЕЛ
ПАРЦЕЛ
ЗЕМЕДЕЛСКА ЗЕМЯ
БИЗНЕС ИМОТ
град Благоевград
град Бургас
град Варна
град Велико Търново
град Видин
град Враца
град Габрово
град Добрич
град Кърджали
град Кюстендил
град Ловеч
град Монтана
град Пазарджик
град Перник
град Плевен
град Пловдив
град Разград
град Русе
град Силистра
град Сливен
град Смолян
град София
град Стара Загора
град Търговище
град Хасково
град Шумен
град Ямбол
Автогара
Аспарухово
Базар Левски
Бизнес парк Варна
Бизнес хотел
Бриз
Виница
ВИНС-Червен площад
Владислав Варненчик 1
Владислав Варненчик 2
Възраждане 1
Възраждане 2
Възраждане 3
Възраждане 4
Галата
Гранд Мол
Гръцка махала
Електроразпределение Варна
ЖП Гара
Завод Дружба
Западна промишлена зона
Зимно кино Тракия
Изгрев
Кайсиева градина
Колхозен пазар
Конфуто
Левски 1
Левски 2
Летище
Лятно кино Тракия
Максуда
Малка Чайка
Метро
Младост 1
Младост 2
Окръжна болница-Генерали
Операта
Островна промишлена зона
Планова промишлена зона
Победа
Погреби
Пристанище Варна
Промишлена зона Тополи
Свети Никола
Северна промишлена зона
Спортна зала
Стадион Спартак
Трошево
Фестивален комплекс
ХЕИ
Христо Ботев
Цветен квартал
Централна поща
Център
Чайка
Чаталджа
в.з.Виница - север
в.з.Звездица
к.к. Златни пясъци
к.к. Св.Св. Константин и Елена
к.к. Слънчев ден
к.к. Чайка
м-т Акчелар
м-т Ален мак
м-т Атанас Тарла
м-т Балам Дере
м-т Боклук Тарла
м-т Боровец - север
м-т Боровец - юг
м-т Горна Трака
м-т Добрева чешма
м-т Долна Трака
м-т Евксиноград
м-т Зеленика
м-т Кантара
м-т Кочмар
м-т Крушките
м-т Лазур
м-т Манастирски рид
м-т Ментешето
м-т Орехчето
м-т Перчемлията
м-т Планова
м-т Прибой
м-т Припек
м-т Пчелина
м-т Ракитника
м-т Салтанат
м-т Сотира
м-т Сълзица
м-т Телевизионна кула
м-т Фичоза
м-т Франга Дере
с. Звездица
с. Казашко
с. Каменар
с. Константиново
с. Тополи
3
1-СТАЕН
2-СТАЕН
3-СТАЕН
4-СТАЕН
МНОГОСТАЕН
МЕЗОНЕТ
ОФИС
АТЕЛИЕ, ТАВАН
ЕТАЖ ОТ КЪЩА
КЪЩА
ВИЛА
МАГАЗИН
ЗАВЕДЕНИЕ
СКЛАД
ГАРАЖ, ПАРКОМЯСТО
ПРОМ. ПОМЕЩЕНИЕ
ХОТЕЛ
ПАРЦЕЛ
ЗЕМЕДЕЛСКА ЗЕМЯ
БИЗНЕС ИМОТ
град Благоевград
град Бургас
град Варна
град Велико Търново
град Видин
град Враца
град Габрово
град Добрич
град Кърджали
град Кюстендил
град Ловеч
град Монтана
град Пазарджик
град Перник
град Плевен
град Пловдив
град Разград
град Русе
град Силистра
град Сливен
град Смолян
град София
град Стара Загора
град Търговище
град Хасково
град Шумен
град Ямбол
Автогара
Аспарухово
Базар Левски
Бизнес парк Варна
Бизнес хотел
Бриз
Виница
ВИНС-Червен площад
Владислав Варненчик 1
Владислав Варненчик 2
Възраждане 1
Възраждане 2
Възраждане 3
Възраждане 4
Галата
Гранд Мол
Гръцка махала
Електроразпределение Варна
ЖП Гара
Завод Дружба
Западна промишлена зона
Зимно кино Тракия
Изгрев
Кайсиева градина
Колхозен пазар
Конфуто
Левски 1
Левски 2
Летище
Лятно кино Тракия
Максуда
Малка Чайка
Метро
Младост 1
Младост 2
Окръжна болница-Генерали
Операта
Островна промишлена зона
Планова промишлена зона
Победа
Погреби
Пристанище Варна
Промишлена зона Тополи
Свети Никола
Северна промишлена зона
Спортна зала
Стадион Спартак
Трошево
Фестивален комплекс
ХЕИ
Христо Ботев
Цветен квартал
Централна поща
Център
Чайка
Чаталджа
в.з.Виница - север
в.з.Звездица
к.к. Златни пясъци
к.к. Св.Св. Константин и Елена
к.к. Слънчев ден
к.к. Чайка
м-т Акчелар
м-т Ален мак
м-т Атанас Тарла
м-т Балам Дере
м-т Боклук Тарла
м-т Боровец - север
м-т Боровец - юг
м-т Горна Трака
м-т Добрева чешма
м-т Долна Трака
м-т Евксиноград
м-т Зеленика
м-т Кантара
м-т Кочмар
м-т Крушките
м-т Лазур
м-т Манастирски рид
м-т Ментешето
м-т Орехчето
м-т Перчемлията
м-т Планова
м-т Прибой
м-т Припек
м-т Пчелина
м-т Ракитника
м-т Салтанат
м-т Сотира
м-т Сълзица
м-т Телевизионна кула
м-т Фичоза
м-т Франга Дере
с. Звездица
с. Казашко
с. Каменар
с. Константиново
с. Тополи
4
1-СТАЕН
2-СТАЕН
3-СТАЕН
4-СТАЕН
МНОГОСТАЕН
МЕЗОНЕТ
ОФИС
АТЕЛИЕ, ТАВАН
ЕТАЖ ОТ КЪЩА
КЪЩА
ВИЛА
МАГАЗИН
ЗАВЕДЕНИЕ
СКЛАД
ГАРАЖ, ПАРКОМЯСТО
ПРОМ. ПОМЕЩЕНИЕ
ХОТЕЛ
ПАРЦЕЛ
ЗЕМЕДЕЛСКА ЗЕМЯ
БИЗНЕС ИМОТ
град Благоевград
град Бургас
град Варна
град Велико Търново
град Видин
град Враца
град Габрово
град Добрич
град Кърджали
град Кюстендил
град Ловеч
град Монтана
град Пазарджик
град Перник
град Плевен
град Пловдив
град Разград
град Русе
град Силистра
град Сливен
град Смолян
град София
град Стара Загора
град Търговище
град Хасково
град Шумен
град Ямбол
Автогара
Аспарухово
Базар Левски
Бизнес парк Варна
Бизнес хотел
Бриз
Виница
ВИНС-Червен площад
Владислав Варненчик 1
Владислав Варненчик 2
Възраждане 1
Възраждане 2
Възраждане 3
Възраждане 4
Галата
Гранд Мол
Гръцка махала
Електроразпределение Варна
ЖП Гара
Завод Дружба
Западна промишлена зона
Зимно кино Тракия
Изгрев
Кайсиева градина
Колхозен пазар
Конфуто
Левски 1
Левски 2
Летище
Лятно кино Тракия
Максуда
Малка Чайка
Метро
Младост 1
Младост 2
Окръжна болница-Генерали
Операта
Островна промишлена зона
Планова промишлена зона
Победа
Погреби
Пристанище Варна
Промишлена зона Тополи
Свети Никола
Северна промишлена зона
Спортна зала
Стадион Спартак
Трошево
Фестивален комплекс
ХЕИ
Христо Ботев
Цветен квартал
Централна поща
Център
Чайка
Чаталджа
в.з.Виница - север
в.з.Звездица
к.к. Златни пясъци
к.к. Св.Св. Константин и Елена
к.к. Слънчев ден
к.к. Чайка
м-т Акчелар
м-т Ален мак
м-т Атанас Тарла
м-т Балам Дере
м-т Боклук Тарла
м-т Боровец - север
м-т Боровец - юг
м-т Горна Трака
м-т Добрева чешма
м-т Долна Трака
м-т Евксиноград
м-т Зеленика
м-т Кантара
м-т Кочмар
м-т Крушките
м-т Лазур
м-т Манастирски рид
м-т Ментешето
м-т Орехчето
м-т Перчемлията
м-т Планова
м-т Прибой
м-т Припек
м-т Пчелина
м-т Ракитника
м-т Салтанат
м-т Сотира
м-т Сълзица
м-т Телевизионна кула
м-т Фичоза
м-т Франга Дере
с. Звездица
с. Казашко
с. Каменар
с. Константиново
с. Тополи
Откажи
OK
Цена на имота
Цена на кв.м.
Наем на имота
Цена/Год.наем
Брой оферти
Брой търсения
Разглеждания
1 месец
1 година
3 години
21 години
и 10 месеца
Добави/редактирай
вид имот и район
*Средните цени са определени чрез
медиана стойност
.
Още обяви в imot.bg
Продава ПАРЦЕЛ
1 020 000 €
1 994 946.60 лв.
(3913 кв.м)
град Варна Бизнес парк Варна
Продава ПАРЦЕЛ
599 000 €
1 171 542.17 лв.
(3875 кв.м)
град Варна Бизнес парк Варна
Продава ПАРЦЕЛ
732 200 €
1 432 058.73 лв.
(10096 кв.м)
град Варна Бизнес парк Варна
Продава ПАРЦЕЛ
952 000 €
1 861 950.16 лв.
(5599 кв.м)
град Варна Бизнес парк Варна
Още обяви в imot.bg от КОМПАС
Виж всички
Продава ПАРЦЕЛ
Цена при запитване
(4000 кв.м)
град Варна Бизнес парк Варна
Продава ПАРЦЕЛ
340 000 €
664 982.20 лв.
(3400 кв.м)
град Варна Западна промишлена зона
Продава ПАРЦЕЛ
Цена при запитване
(7300 кв.м)
град Варна Летище
Продава ПАРЦЕЛ
285 000 €
557 411.55 лв.
(3000 кв.м)
град Варна Западна промишлена зона
КОНТАКТИ
|
SMS КОДОВЕ
|
СТАТИСТИКА
|
ПОМОЩ
|
ОБЩИ УСЛОВИЯ
|
РЕКЛАМА
|
ТОП ОФЕРТА
|
Въпроси и предложения към imot.bg
Резон Медия
|
Имоти
|
Автомобили
|
Работа
|
Новини
|
Обяви
|
Преводи и легализация
2002-2025 ® Copyright imot.bg
©
imot.bg
ползва и препоръчва
хостинг услугите
на
Следвайте ни в: