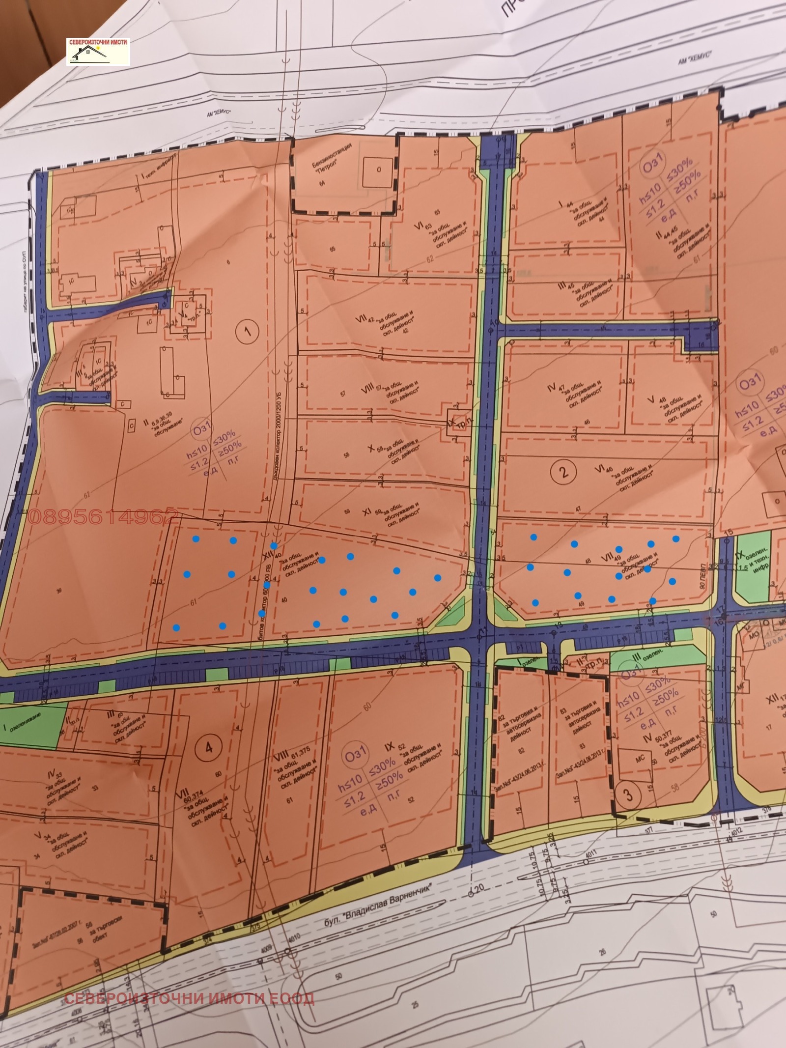
ID 4383 Североизточни имоти Ви предлага за продажба промишлен парцел с ПУП в Западна промишлена зона, в близост до Бизнес парка, с площ от 5000квм . Показателите на застрояване са пл.30% и кинт 1.2 с предназначение / по плана на гр. Варна / за Обществено обслужващи дейности. Ъглов парцел с вода, мръсен канал и в близост ток, на 50м от гп-4.
За огледи и повече информация , моля пзвънете,като цитирате номер на офертата!!!





