Translations in other languages:
All real estate ads published on imot.bg have been translated into English and published on the partner site
Получихте нова обява по филтър





Промяна на цена на наблюдавана обява


стара цена
нова цена
imot.bg – обяви за продажби и наеми на имоти
Сайт за имоти №1
Translations in other languages:
All real estate ads published on imot.bg have been translated into English and published on the partner site
ДОБАВИ ОБЯВА Редакция на обява
Начало Публикуване Търсене Нови сгради Агенции Новини Кредити + Още... Моят имот
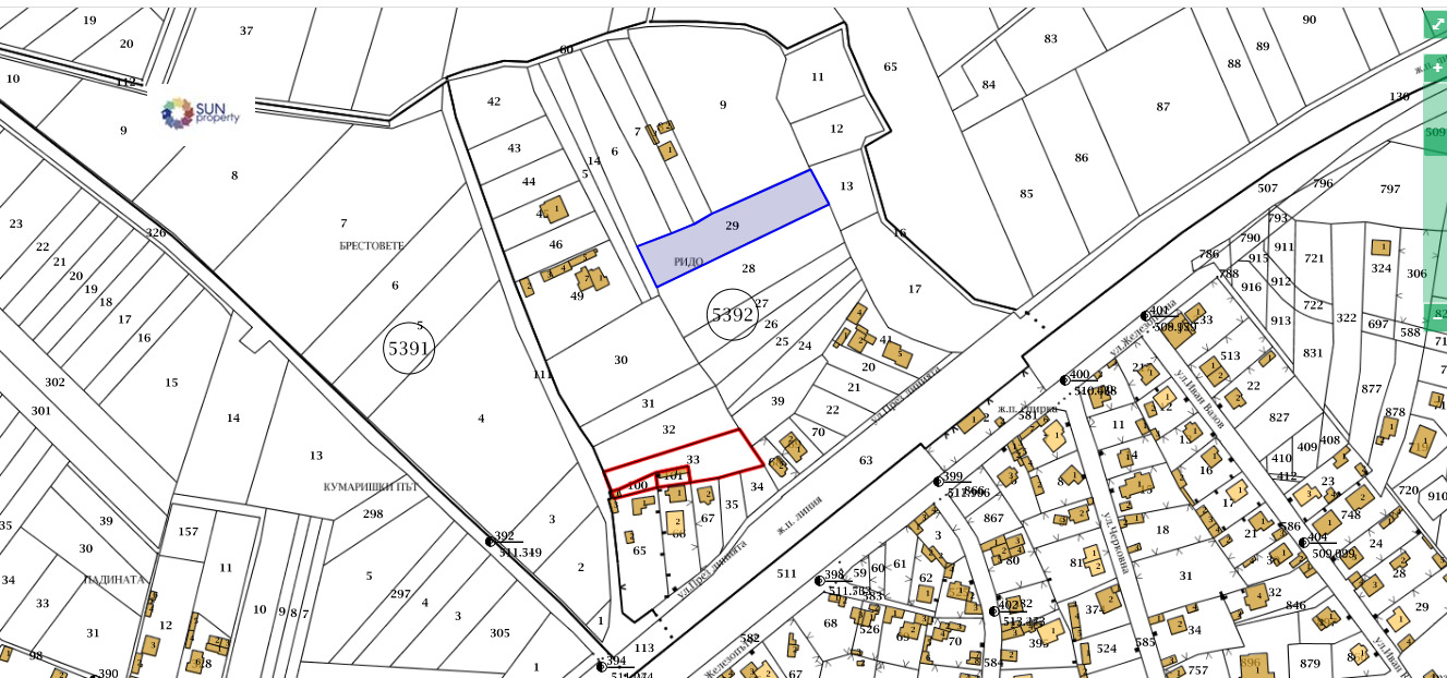
Продава ПАРЦЕЛ
град София, с. Кубратово
257 700 €
504 017.39 лв.

(30 €, 58.67 лв./m2)
Не се начислява ДДС
История на цената
Публикувана в 17:11 на 17 октомври, 2023 год.
Обявата е посетена 7238 пъти.
Площ:
8590 m2
Регулация:
НЕ
Ток:
ДА
Вода:
ДА

Описание на имота:


Без комисионна!Продава се равна земеделска земя с възможност за преотреждане,Намира се до къщите на селото.Попада в зона Жм с параметри Пл 30? Кк 10м За повече информация Анани Димитров тел:0885 565 565
Виж всички обяви в sunproperty.bazar.bg или тук
За контакт:
0885565565
Агенция:
СЪН ПРОПЪРТИ
0885 565 565
СЪН ПРОПЪРТИ logo
Медал за прослужено време
В imot.bg от 2010 г.
sunproperty.imot.bg
Адрес:
област София, гр. София, ул.Гурко 62А
ИЗПРАТИ ЗАПИТВАНЕ
ИЗПРАТИ ЗАПИТВАНЕТО

Продава ПАРЦЕЛ
град София, с. Кубратово
Обява: 1r169755187880496

257 700 €
504 017.39 лв.
История на цената
(30 €, 58.67 лв./m2)

Не се начислява ДДС
ЗАПАЗИ ОБЯВАТА

Местоположение: град София, с. Кубратово

Виж още имоти от София или още Парцели в София
Допълнителни данни за имотите в района и сравнение с други райони: Търсене в АРХИВ 2013 - 2025 г.











Добави/редактирай
вид имот и район
*Средните цени са определени чрез медиана стойност.
Още обяви в imot.bg
КОНТАКТИ | SMS КОДОВЕ | СТАТИСТИКА | ПОМОЩ | ОБЩИ УСЛОВИЯ | РЕКЛАМА | ТОП ОФЕРТА | Въпроси и предложения към imot.bg
Резон Медия | Имоти | Автомобили | Работа | Новини | Обяви | Преводи и легализация 2002-2025 ® Copyright imot.bg
© imot.bg ползва и препоръчва хостинг услугите на Bulinfo.net
Следвайте ни в: