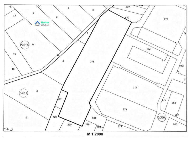
Предлагаме на вашето внимание урегулиран поземлен имот с площ 12 429 кв.м., находящ се в бившия стопански двор на село Кубратово. На парцела има стара изпълнена настилка от стоманобетон, която би могла да бъде добра основа за всякакво бъдеще ползване и развитие.
Имота има собствен водоизточник/воден резервоар който също може да има многобройни функции.
Статутът на имота е сменен на складове, офиси, чисто производство и енергийно производство.
В близост и с удобен достъп до бъдеща връзка със северната високоскоростна тангента на София.
Огледи по всяко време. Работим с колеги.
Тел: 0887-001-001
За интерактивна карта на имота, моля отворете в нов прозорец следния връзка:
https://www.google.com/maps/d/u/0/edit?hl=bg&mid=16EbsPQNruj4c-Yh1P2sle9l1wlFBjJ0&ll=42.76856162730114%2C23.355401018155607&z=17







