Отговорен брокер: Мирослав Караколев
Представяме Ви парцел с възможност за застрояване, разположен в землището на село Хрищени близо до границите на самото село. Районът е в удобна близост (1.5 км) до кръстовище с главна пътна артерия (източна) към областния град Стара Загора (около 6 км), както и други възлови пътни връзки.
Добрата транспортна достъпност, близостта до големия град или село, възможността за присъединяване в непосредствена близост до водно и електропреносните мрежи прави терена подходящ както за жилищно, така и за промишлено строителство.
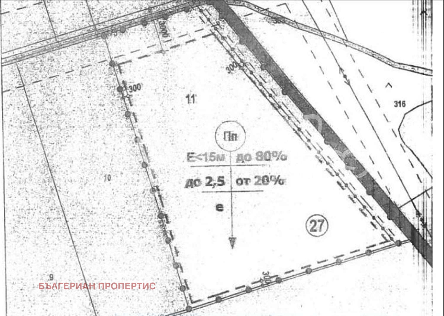
Общата площ на парцела е 21 175 кв.м.
Строителните параметри са както следва:
Плътност на застрояване 80%
Интензивност на застрояване 2.5
Озеленяване - 20%
Височина до 15 м.
Начин на застрояване свободно
Една от границите на имота има лице на асфалтов път 194 метра. Върху парцела има наложени следните ограничения: Електропровод 220 kv, на 255 м. от двете страни или на 30 м от оста на електропровода, не могат да се строят сгради и съоръжения и засажда високостеблена растителност. Санитарно-охранителна зона на водоснабдителен обект - Пояс Б . Забраняват се и се ограничават дейностите от селскостопански характер, като се разрешава ограничено ползване на орни земи, хидромелиоративна дейност и пасища. Главна водопроводна мрежа. Над водопровода и на 3 метра от двете му страни се забранява разполагане на трайни и временни постройки, и трайни насаждения.
Оглед на имота
Можем да организираме оглед на имота в удобно за вас време. За целта, свържете се с отговорния за офертата брокер и му кажете кога бихте искали да направите оглед.
Резервация на имота
Имотът може да бъде резервиран и свален от продажба със заплащане на депозит, след което се прекратява провеждането на огледи с други купувачи и започва подготовка на документите за сключване на предварителен и окончателен договор. Свържете се с отговорния брокер за този имот за подробна информация относно процедурата на покупка и начините за плащане.
Допълнителни услуги и следпродажбено обслужване
Ние сме реномирана компания и ще бъдем с вас не само по време на покупката, но и след това, осигурявайки ви допълнителни услуги по ваше изискване с цел пълноценно и безпроблемно ползване на новозакупения имот. Услугите, които можем да предложим, включват застраховка на движимо и недвижимо ...
Виж всички обяви в newbulprop.bazar.bg или тук
        
       
         
         
         
         
         
         
         
         
         
         
         
         
         
         
         
             
             
             
             
             
             
             
             
             
             
             
             
             
             
            






