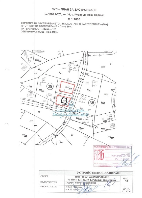
Агенция Better Home Real Estate предлага УПИ с площ от 600 м2 находящ се в село Рударци, близо до Минералната вода.
Имотът е в район с изградена инфраструктура и целогодишен достъп. В съседство има хубави, нови къщи с поддържани дворове, постоянно обитавани и с достатъчни отстояния.
Парцелът е с правоъгълна форма 20/30 метра позволяваща изграждането на един наистина просторен дом.
Ток и вода в съседство, канал, в близост до спирка на градски транспорт.
Изрядни документи.
Предлагаме съдействие за ипотечен кредит от всички банки и БЕЗПЛАТНА консултация и съдействие при всякакъв вид банково финансиране.



