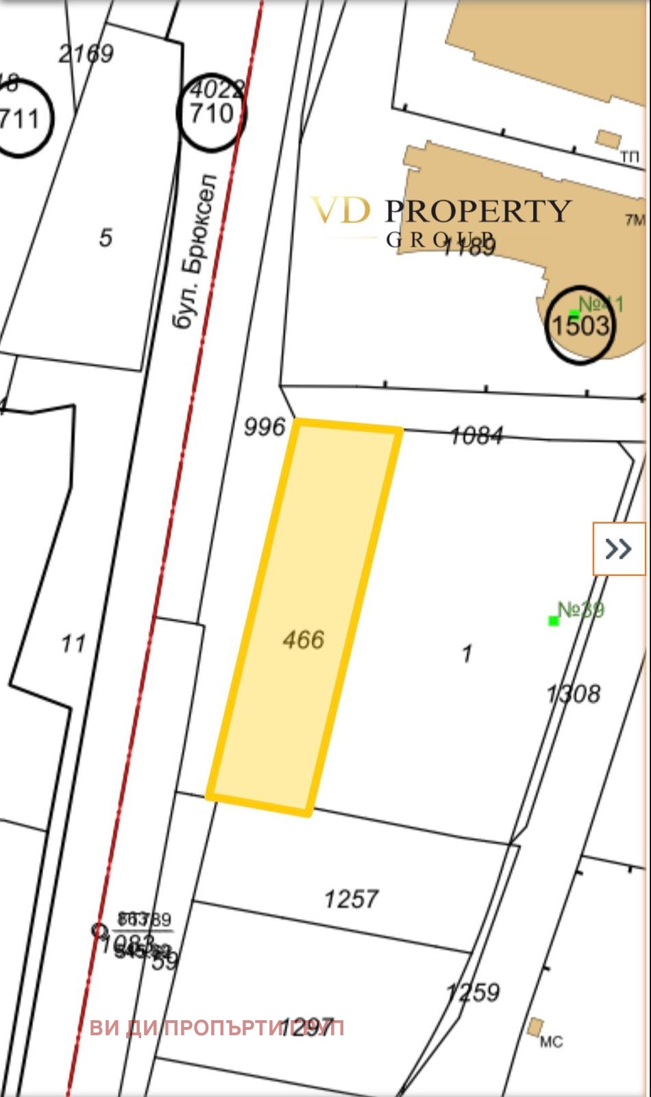
Ви Ди Пропърти Груп представя УПИ на бул. Брюкесл и бул. Христофор Колумб в близост до сградата на 'Нова телевизия'
Показатели:
Плътност на застрояване: 60 %
Кинт: 3,5
Смесена многофункционална зона.
Подходящ за шоурум, логистична база, хотел, търговски комплекс и др.
Офертна цена: 910 000 евро без ДДС
Водещи принципи в нашата работа са професионализма и
коректността към клиентите ни.
Агенцията оказва безплатно съдействие за ипотечно кредитиране и изготвяне на пазарна оценка.







