Translations in other languages:
All real estate ads published on imot.bg have been translated into English and published on the partner site
Получихте нова обява по филтър





Промяна на цена на наблюдавана обява


стара цена
нова цена
imot.bg – обяви за продажби и наеми на имоти
Сайт за имоти №1
Translations in other languages:
All real estate ads published on imot.bg have been translated into English and published on the partner site
ДОБАВИ ОБЯВА Редакция на обява
Начало Добави обява Търсене Агенции Новини Кредити Вход / Регистрация
Продава ПАРЦЕЛ
град София, гр. Банкя
ул. Секвоя
735 000 €
1 437 535.05 лв.

(98 €, 191.67 лв./m2)
Не се начислява ДДС
История на цената
Публикувана в 9:51 на 16 март, 2026 год.
Обявата е посетена 47 пъти.
Площ:
7500 m2
Регулация:
ДА
Ток:
ДА
Вода:
ДА

Описание на имота:


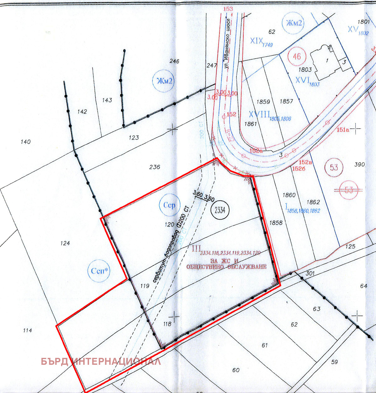
Много подходящ за затворен комплекс от къщи с магазини , заведение и детски площадки!!! Предлагам атрактивен парцел за жилищно строителство и обществено обслужване в кв. Изгрев, на пътя за Иваняне. УПИ с площ от 5700 кв. м, с прилежащи до регулация 1800кв. м. земеделска земя, състоящ се от три поземлени имота /ПИ/, с изготвен ПРЗ, за обекти за жилищно и обществено обслужване, зона Сср, плътност - 25 %, кинт-1, кота корниз-до 8,5 м. , озеленяване - 60%, с лице на Иванянско шосе, на завоя преди кв. Изгрев, с осигурен транспортен достъп, слънчев и панорамен, с лека денивелация, ток и вода в близост. Изрядни документи!!!
Особености
За жил.строителство
За контакт:
0888253530
Брокер:
Silva Petkova
0888253530/ 0884359797
Още оферти от брокера: Продава | Дава под наем | Купува | Наема
Агенция:
БЪРД ИНТЕРНАЦИОНАЛ
0888253530, 0884359797
БЪРД ИНТЕРНАЦИОНАЛ logo
Медал за прослужено време
В imot.bg от 2006 г.
bird.imot.bg
Адрес:
област София, гр. София, ул. Милосърдна 8
ИЗПРАТИ ЗАПИТВАНЕ
ИЗПРАТИ ЗАПИТВАНЕТО

Продава ПАРЦЕЛ
град София, гр. Банкя
ул. Секвоя
Обява: 1r177364750714155

735 000 €
1 437 535.05 лв.
История на цената
(98 €, 191.67 лв./m2)

Не се начислява ДДС
ЗАПАЗИ ОБЯВАТА

Местоположение: град София, гр. Банкя, ул. Секвоя

Виж още имоти от София или още Парцели в София
Допълнителни данни за имотите в района и сравнение с други райони

Покажи

Период

и 3 месеца

* Средните цени са определени чрез медианна стойност
Обяви за имоти Продажби град София гр. Банкя Парцели
Въпроси и предложения към imot.bg
КОНТАКТИ | SMS КОДОВЕ | ПОМОЩ | ОБЩИ УСЛОВИЯ | РЕКЛАМА | ЗАЩИТА НА ЛИЧНИТЕ ДАННИ | КАРТА НА САЙТА |
Резон Медия | Автомобили | Работа | Новини | Обяви 2002-2026 ® Copyright imot.bg
© imot.bg ползва и препоръчва хостинг услугите на Bulinfo.net
Следвайте ни в: