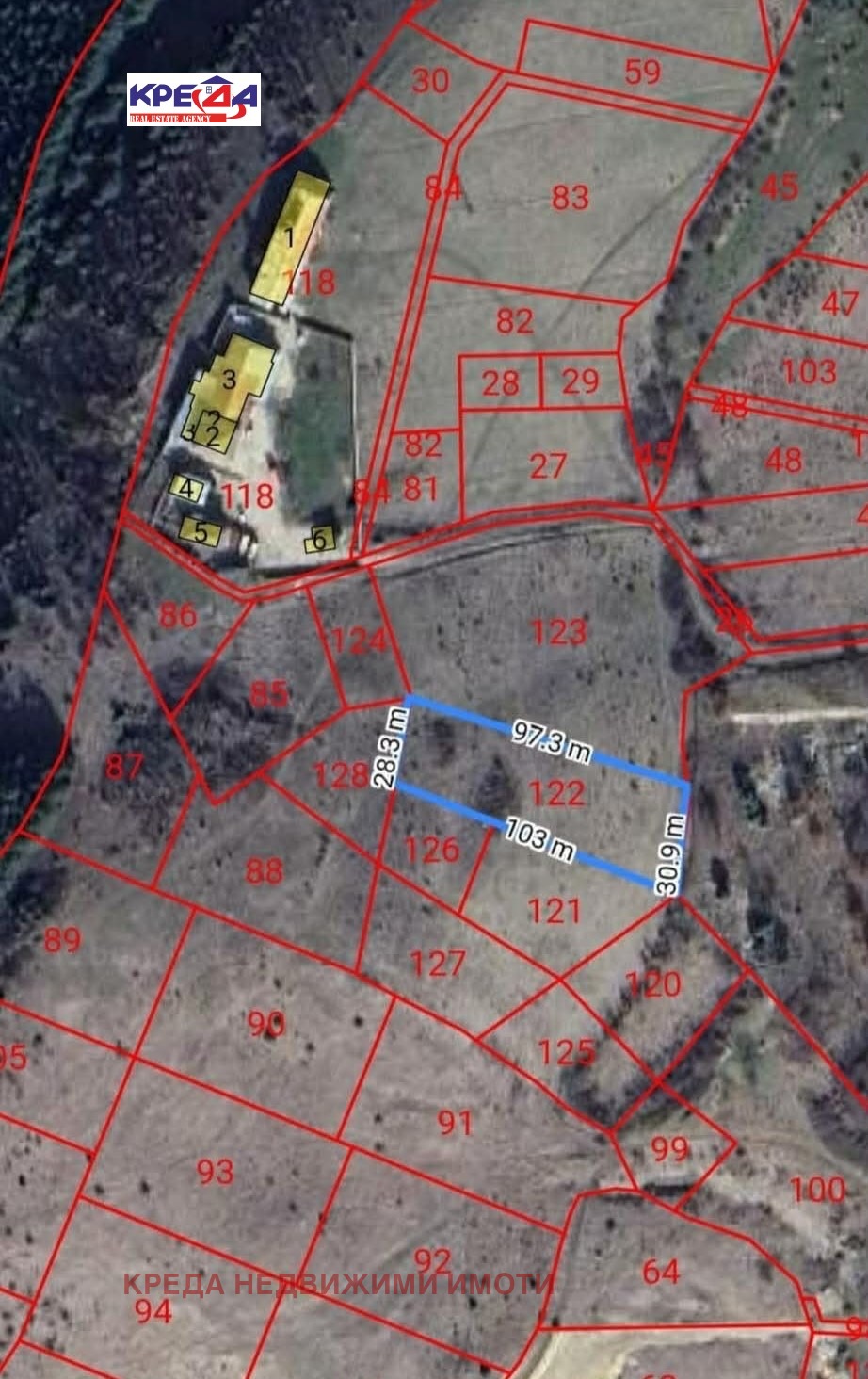
Предлагаме инвестиционен имот с площ от 3261 кв.м, находящ се в обл. Кърджали, с. Енчец район с нарастващ интерес за ваканционно строителство и туризъм.
Парцелът е изключително подходящ за изграждане на:
.Вилно селище
.Комплекс от къщи за гости
.Бутиков ваканционен комплекс
.Възможност за изграждане на няколко самостоятелни обекта
БЕЗПЛАТНА ПРАВНА КОНСУЛТАЦИЯ!!! ️
Оферта:270226







