Монс Пропъртис има удоволствието да Ви представи за продажба УПИ с отлична локация в района на гара Волуяк, гр. София - подходящ за изграждане на производствена или складова база.
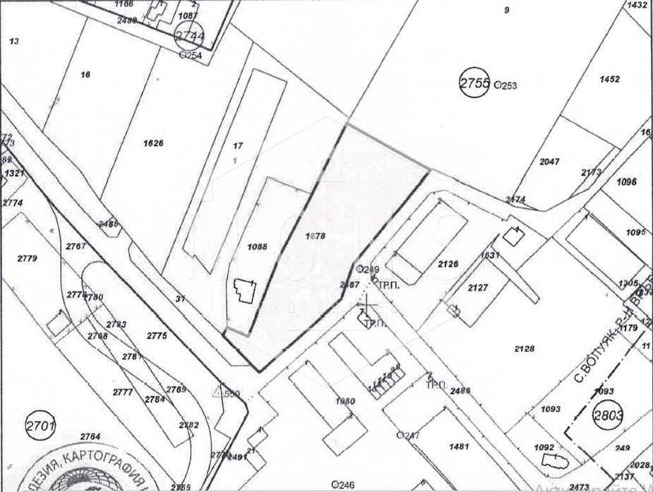
Общата площ на имота е 6614 м2.
В него са разположени два парцела - единия с площ от 1729 м2, а другия - 4885 м2.
Лице на две улици.
Плътност - 40%.
Няма денивелация.
Разполага с ток и вода.
Имотът е подходящ за:
-Логистична база / складов център
-Производствено предприятие
-Комбиниран проект склад + административна част
Ключови предимства:
-Позволява гъвкаво функционално планиране разделяне на зони, маневрени площи, складови халета и административна част.
Имотът се намира в района на гара Волуяк, западно от София утвърдена индустриална зона с активна логистична и производствена дейност.
Районът предлага бърз достъп до столицата и удобни връзки с основни пътни артерии и жп инфраструктура, което го прави стратегическа точка за складови и производствени бази.
Близостта до железопътна линия и индустриална среда създава отлични условия за транспорт, дистрибуция и обслужване на бизнес операции.
Локацията е предпочитана от компании, търсещи функционални терени с добра свързаност и потенциал за развитие.
Код на офертата: 0265
Ние от Монс Пропъртис можем да Ви съдействаме със следните услуги:
-Безплатно посредничество при кредитиране от всички банки.
-Юридически услуги
A plot of land with an excellent location in the Voluyak station area, Sofia, suitable for the construction of a production or storage facility. The plot is located in a quiet area, 100 meters from the Voluyak station, 100 meters from the Voluyak bus stop, 100 meters from the Voluyak metro station, 100 meters from the Voluyak metro station, 100 meters from the Voluyak metro station, 100 meters from the Voluyak metro station, 100 meters from the Voluyak metro station,
Mons Properties is pleased to present for sale a plot of land with an excellent location in the Voluyak station area, Sofia - suitable for the construction of a production or storage facility. The total area of the property is 6614 m2.
The total area of the property is 6614 m2. It consists of two plots - one with an area of 1729 m2 and the other with an area of 4885 m2. Facing two streets. Density - 40%. No elevation difference. Electricity and water are available.
The property is suitable for: -Logistics base/warehouse center -Manufacturing enterprise -Combined project - warehouse + administrative part Key advantages: -Allows for flexible functional planning - division of zones, maneuvering areas, warehouse halls, and administrative part.
The property is located in the Voluyak station area, west of Sofia an established industrial zone with active logistics and manufacturing activity. The area offers quick access to the capital and convenient connections to major roads and railway infrastructure, making it a strategic point for warehousing and manufacturing bases.
The proximity to the railway line and industrial environment creates excellent conditions for transport, distribution, and business operations. The location is preferred by companies looking for functional sites with good connectivity and development potential.
Offer code: 0265 We at Mons Properties can assist you with the following services: -Free mediation for loans from all banks. -Legal services







