ОТЛИЧНО МЕСТОПОЛОЖЕНИЕ! МЕТРОСТАНЦИЯ!
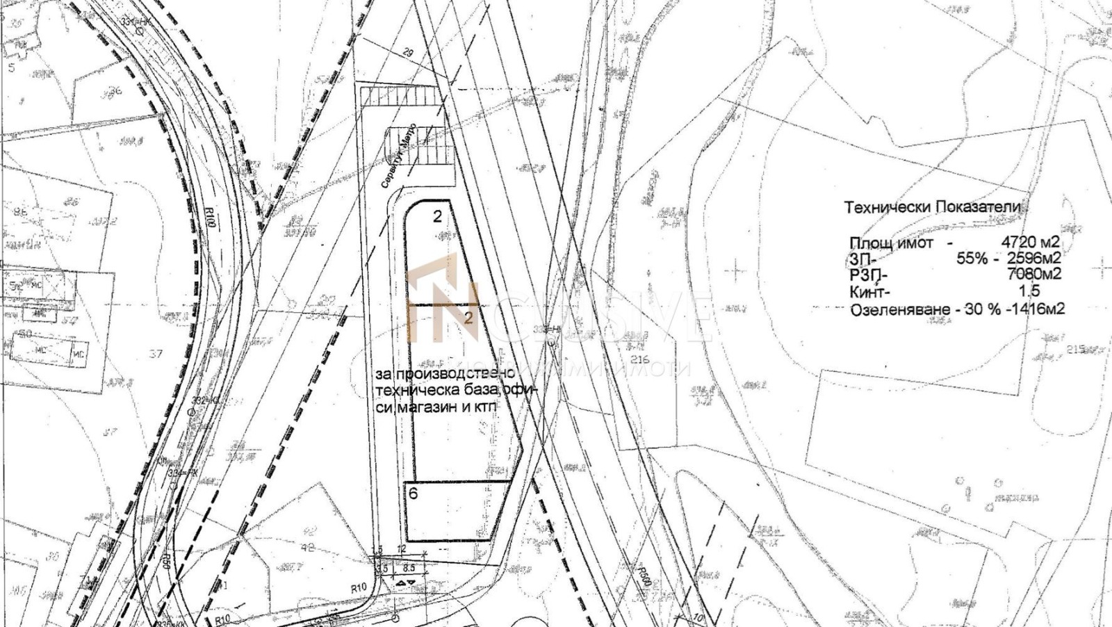
Представяме Ви имот находящ се близо до Летище София, с лице към бъдещия булевард Крайречна. Възможност да се застрои сграда със застроена площ от 2 596 кв.м. и с РЗП 7 080 кв.м., кинт за застояване 1.5 и озеленяване 30%. Възможност да се построят складове, офиси, производствена база. Ако търсите имот с потенциал, обадете СЕГА и цитирайте код: 17123







