За повече информация обадете ни се на тел: 0882 817 464 или 02 425 68 26 и цитирайте референтния номер на имота: Sfa 85097.
Отговорен брокер: Иван Каменов
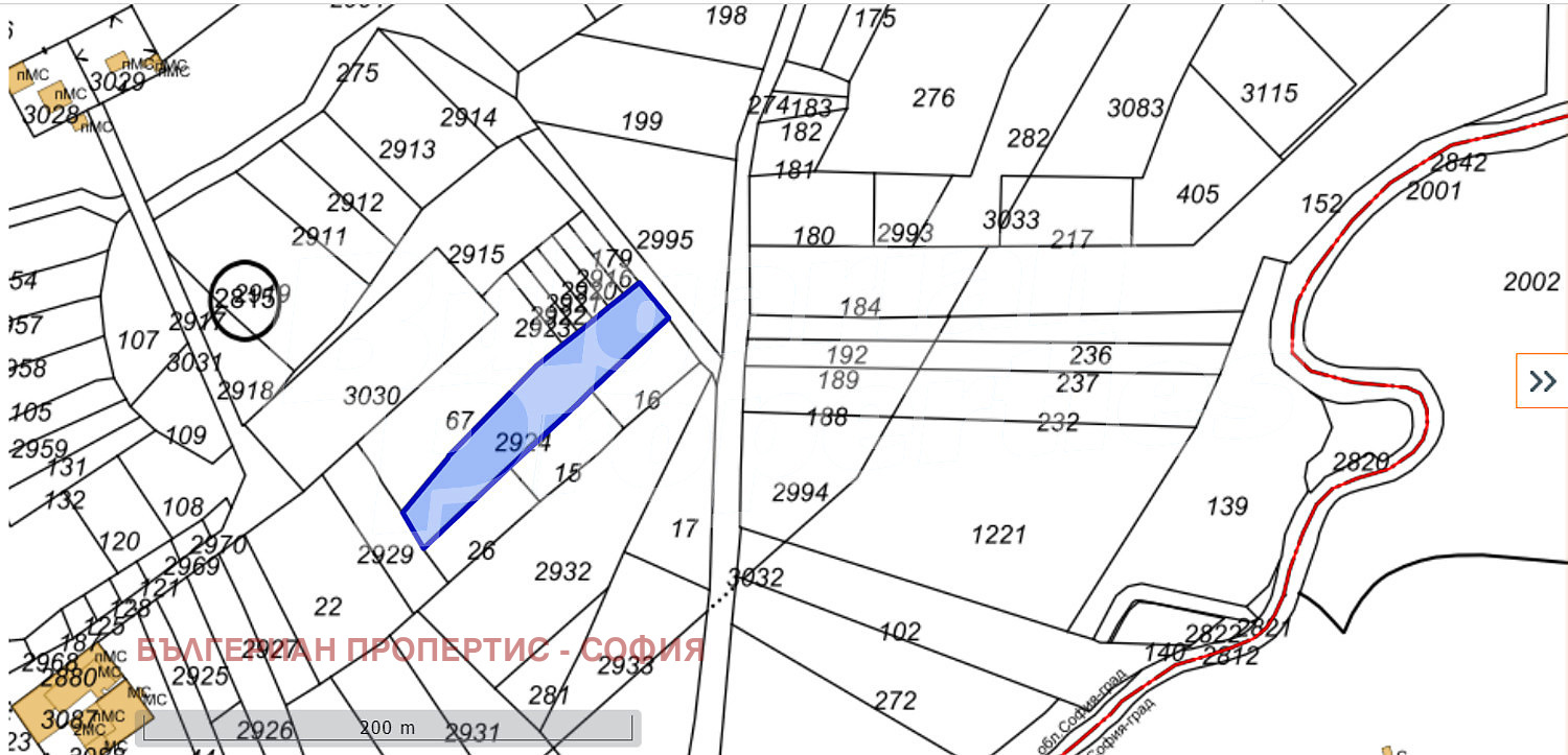
Представяме на вашето внимание поземлен имот с площ 2784 кв.м. в столичния район Връбница 2, близо до Северен парк, популярно място за разходка, пикник и различни дейности на открито.
Имотът попада в зона Зп за градски паркове и градини. Позволява застрояване на сгради и съоръжения за дейности, свързани с отдиха. Характеризира се с удобен достъп до бул. Ломско шосе, супермаркет Лидъл, метростанция и други градски удобства.
Връбница 2 е добре свързан квартал с останалата част от града чрез мрежа от обществени транспорт, включително автобуси, трамваи и метро. Най-близките станции на метрото са Обеля и Модерно предградие , които обслужват линии М2 и М4 съответно. Кварталът предлага разнообразие от удобства и услуги, включително магазини, ресторанти, кафенета, училища, здравни заведения и зелени площи.
Северният парк обхваща площ от приблизително 1800 декара и включва разнообразие от съоръжения и удобства. В парка има малко езеро, няколко детски площадки, оборудвани с люлки, пързалки и други, подходящи за деца от всички възрасти, различни спортни съоръжения, включително футболни игрища, баскетболни кортове и тенис маси.
Оглед на имота
Можем да организираме оглед на имота в удобно за вас време. За целта, свържете се с отговорния за офертата брокер и му кажете кога бихте искали да направите оглед.
Резервация на имота
Имотът може да бъде резервиран и свален от продажба със заплащане на депозит, след което се прекратява провеждането на огледи с други купувачи и започва подготовка на документите за сключване на предварителен и окончателен договор. Свържете се с отговорния брокер за този имот за подробна информация относно процедурата на покупка и начините за плащане.
...







