!!!НАМАЛЕНА ЦЕНА!!!
Агенция за недвижими имоти Платинум Естейтс представя ексклузивно на вашето внимание парцел за продажба в регулация, област Пазарджик.
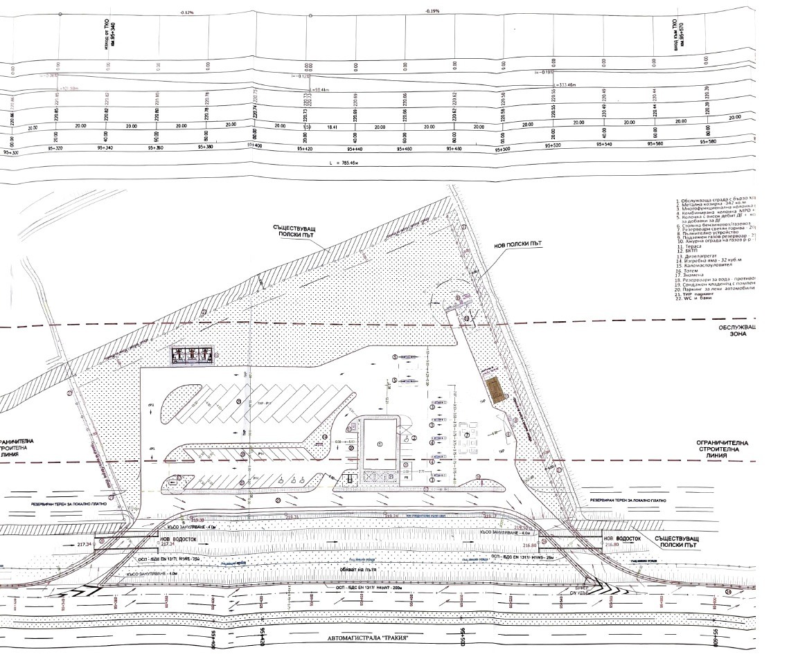
Локацията предпоставя за лесни транспортни връзки-между два пътни възела.
С прекрасна възможност и за логистична база, бензиностанция, тир паркинг, хотел/мотел и др.
Местоположение на парцела: АМ Тракия километър 95-ти + 420 метра вляво.
Лице на АМ Тракия (180 метра).
Равен терен.
Одобрено трасе - електричество.
Одобрено трасе - водопровод.
Одобрен технически проект - част Пътна и Организация на движението от АПИ.
Одобрен технически проект - част Конструктивна от АПИ.
Одобрен ПУП за вход-изход от АМ Тракия.
Стандартни условия за закупуване.
При силен интерес на реален клиент, ЦЕНАТА може да бъде коментирана (всичко е възможно с присъствието на дипломация и уважение).
За повече информация моля позвънете на посочения телефон.
Агенция за недвижими имоти Платинум Естейтс работи по изискванията на стандарт БДС EN 15733.



