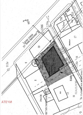
ИМОТ С ОДОБРЕН ПРОЕКТ ЗА АВТОДИАГНОСТИЧЕН ЦЕНТЪР СОФИЯ, кв.Овча Купел 2
Площ на имота: 1 695 кв.м
ЗП: 356 кв.м
КИНТ: 0.20
Озеленяване: 43%
Регулация: да
Ток / Вода / Канал: до имота
Документи: в пълна изрядност
Предлага се урегулиран поземлен имот с влязла в сила виза и одобрен проект за изграждане на автодиагностичен и сервизен център с 10 павилиона.
Параметри и проектна документация:
Одобрено разрешение за поставяне от Главен архитект на СО район Красна поляна ;
Издадена виза за проучване и проектиране на преместваем обект за автодиагностичен център от 10 бр. модула;
Комбинирана скица и съгласувателни становища от ЧЕЗ, Софийска вода, Виваком, България ЕАД;
Функционално разпределение: 10 модула, подходящи за автосервиз, диагностика, гуми център, автомивка и др., с удобен достъп и паркоместа.
Предимства:
Напълно подготвен имот за инвестиция с минимални срокове за реализация;
Достъп до инфраструктура и комуникации;
Район с развиваща се търговска и сервизна дейност;
Подходящ за инвестиция с бърза възвръщаемост.
Идеален избор за инвеститори в автомобилния сектор, сервизна дейност или отдаване под наем на модули.
За въпроси и огледи водещ брокер-Рени Йорданова







