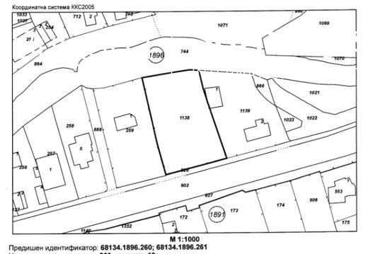
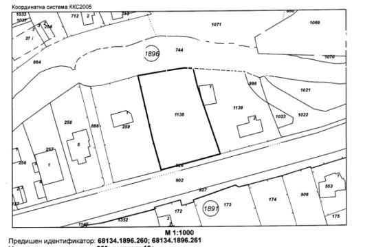
Bulgaria Sotheby’s International Realty предлага на обезщетение УПИ на бул. Цар Борис III в столичния квартал “Княжево”
Характеристики на имота:
Площ: 1200 кв.м.
Устройствена категория - СМФ 1 / смесена многофункционална зона със занижени параметри/
Плътност на застрояване - 40 %
Кинт - 2
Минимално озеленена площ - 40 %
Кота корниз - 26 м.
Параметри на застрояване:
ЗП: 520 кв.м.
РЗП: 2600 кв.м.
Подземно - 1020 кв.м.
Общо РЗП: 3620 кв.м.
Етажност: 5
Има влязло в сила градоустройство за сключено застрояване на калкан
Реф 6562







