Translations in other languages:
All real estate ads published on imot.bg have been translated into English and published on the partner site
Получихте нова обява по филтър





Промяна на цена на наблюдавана обява


стара цена
нова цена
imot.bg – обяви за продажби и наеми на имоти
Сайт за имоти №1
Translations in other languages:
All real estate ads published on imot.bg have been translated into English and published on the partner site
ДОБАВИ ОБЯВА Редакция на обява
Начало Публикуване Търсене Нови сгради Агенции Новини Кредити + Още... Моят имот
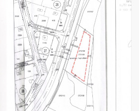
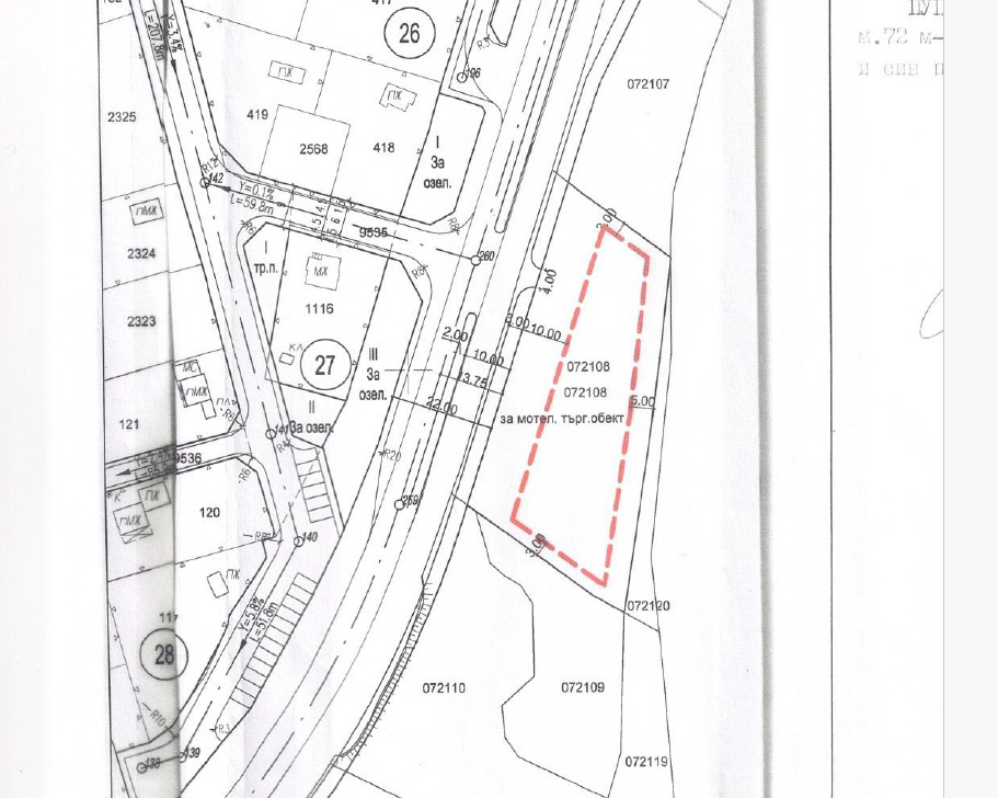
Продава ПАРЦЕЛ
град Варна, м-т Ракитника
645 000 €
1 261 510.35 лв.

(249 €, 487.00 лв./m2)
Цената е с включено ДДС
Публикувана в 11:29 на 22 октомври, 2025 год.
Обявата е посетена 29 пъти.
Площ:
2588 m2
Регулация:
ДА

Описание на имота:


ID 7656 Предлагаме Ви парцел на главен път в Ракитника. Нескриваема морска панорама. Одобрен ПУП -ПРЗ с параметри ПЗ 20%, Кинт-0,4, КК-10м, предназначение - :'Мотел и търговски обект' Не попада в червена зона. Лице на главния път- 70 м. За повече информация- 0898 572 203
Виж всички обяви в virgin2006.bazar.bg или тук
За контакт:
0898 572 203
Брокер:
Радослав Якимов
0898572203
Офис: гр. Варна, ул. Параскева Николау 4
Още оферти от брокера: Продава | Дава под наем | Купува | Наема
Агенция:
ВЪРДЖЪН ЕООД
052600806
ВЪРДЖЪН ЕООД logo
Медал за прослужено време
В imot.bg от 2012 г.
virgin2006.imot.bg
Адрес:
област Варна, гр. Варна, ул.Параскева Николау 4 , ет.5
http://www.virgin-estates.com
ИЗПРАТИ ЗАПИТВАНЕ
ИЗПРАТИ ЗАПИТВАНЕТО

Продава ПАРЦЕЛ
град Варна, м-т Ракитника
Обява: 1r176112176692583

645 000 €
1 261 510.35 лв.
(249 €, 487.00 лв./m2)

Цената е с включено ДДС
ЗАПАЗИ ОБЯВАТА

Местоположение: град Варна, м-т Ракитника

Виж още имоти от Варна или още Парцели във Варна
Допълнителни данни за имотите в района и сравнение с други райони: Търсене в АРХИВ 2013 - 2025 г.











Добави/редактирай
вид имот и район
*Средните цени са определени чрез медиана стойност.
Още обяви в imot.bg
КОНТАКТИ | SMS КОДОВЕ | СТАТИСТИКА | ПОМОЩ | ОБЩИ УСЛОВИЯ | РЕКЛАМА | ТОП ОФЕРТА | Въпроси и предложения към imot.bg
Резон Медия | Имоти | Автомобили | Работа | Новини | Обяви | Преводи и легализация 2002-2025 ® Copyright imot.bg
© imot.bg ползва и препоръчва хостинг услугите на Bulinfo.net
Следвайте ни в: