BULGARIA SOTHEBY’S INTERNATIONAL REALTY представя уникална възможност за придобиване на парцел с готов инвестиционен проект и валидно разрешение за строеж в престижен район близо до София. Този имот предлага не просто земя, а пълно готово решение за висок клас жилищно строителство, съчетаващо престиж, комфорт и инвестиционен потенциал.
ХАРАКТЕРИСТИКИ НА ИМОТА
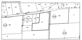
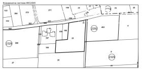
Парцелът с площ от 4 266 м² се предлага с изготвен инвестиционен проект и валидно разрешение за строеж, предназначен за жилищно строителство, включващ 10 обекта, като разрешението за строеж е издадено с 13/16.02.2022 г., което прави имота готов за реализация и незабавна инвестиция.
Градоустройствени показатели:
Застроена площ: 1 279,8 м²;
Плътност: 30%;
Разгъната застроена площ: 4 266 м²;
КИНТ: 1,0;
Озеленяване: 60%;
Подземен паркинг: 711,89 м²;
Етажност и разпределение в проекта:
5 редови еднофамилни къщи по 3 етажа с РЗП ~360 м²
5 пентхаус мезонети по 2 етажа + покривна тераса ~70 м², РЗП ~270 м²
Гаражи: 13 броя
ПРЕДИМСТВА НА ИМОТА
Престижен и спокоен район, с лесен достъп до София и основни пътни артерии;
Развита инфраструктура;
Близо до ключови удобства;
Инвестиционен потенциал - Възможност за реализиране на допълнително РЗП съгласно градоустройствени показатели;
ЛОКАЦИЯ НА ИМОТА
Проектът се намира на 17 км западно от центъра на София, в самото начало на град Банкя. Банкя е известна със своето природно богатство – минералните извори, които я превръщат в предпочитано място за релакс, спорт и здравословен начин на живот. Локацията съчетава спокойствие и комфорт на малкия град с лесен достъп до всички удобства на София, създавайки идеалната комбинация за престижно и качествено жилищно строителство.
Ref. 7730







