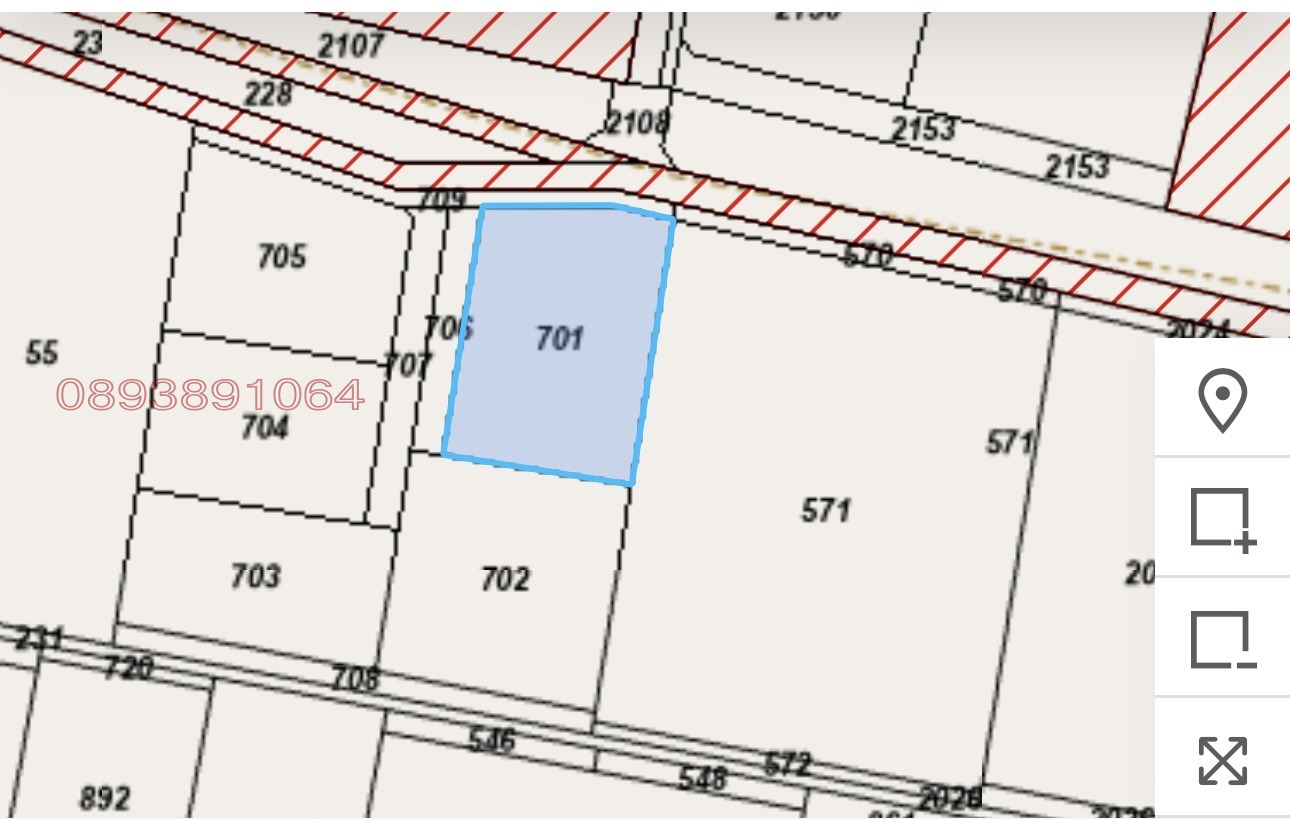
Парцел с уникална панорамна гледка в с. Белащица 701
Предлагаме за продажба поземлен имот с номер 701 и идеални части от пътища към него 706/707/708/709, разположен в едно от най-желаните места край Пловдив с. Белащица.
Имотът е с изградена плътна ограда от едната страна и се намира на тихо, но комуникативно място, с лице към път и невероятна панорамна гледка към града и Родопите.
Достъп: директен достъп от път
- В момента имотът е с изтекъл статут, но е в процедура по подновяване.
- Подходящ за еднофамилна къща, вила или инвестиционен проект.
- Тих район с ново строителство и отлична инфраструктура.
Предимства:
- Уникална панорама
- Лице към път
- Перспективен имот в престижен район
- Изградена плътна стена от едната страна



