👉 Могат да се купят заедно и по отделно.
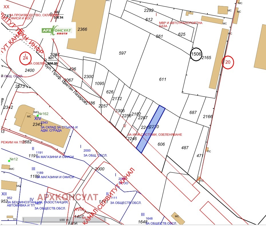
🚩 Намира се в близост до кръстовището на бул.Димитър Пешев и ул.Проф.Цветан Лазаров.
🏙 В Урбанизирана територия.
📌 Съгласно ОУП на гр.София, попада в устройствена Зона - Пс (Смесена производствена Зона).
♦ За застрояване с производствени, складови, административни, търговски и обслужващи сгради и съоръжения.
📐Със следните ПАРАМЕТРИ на ЗАСТРОЯВАНЕ:
👉 Плътност - 55 %; Кинт - 1,5; Плътност озеленяване - 30%; Височината не се ограничава.
📌 Очаквано РЗП около 771 кв.м.
📍 В съседство има офиссграда, промишлени сгради, бензиностанция, жилищни сгради.
☎ За повече информация и огледи: Диана Дачевска - 0887891936.
Виж всички обяви в arhconsult.bazar.bg или тук
        
       
         
         
         
         
         
             
             
             
             
            






