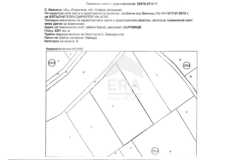
ЕРА Надежда продава поземелен имот със статут на земеделска земя в р-н Банкя, м. ЦЪРКВИЩЕ.
Площ 3201 кв.м, Категория 6
Има възможност за промяна на статута и да се урегулира в зона за обществено обслужване с параметри: плътност 20% и КИНТ 0,8
Оферта 3304203







