В единия от имотите има действаща сонда за вода!
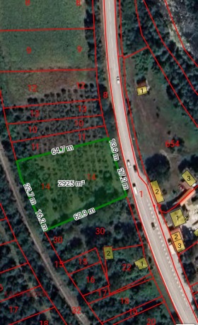
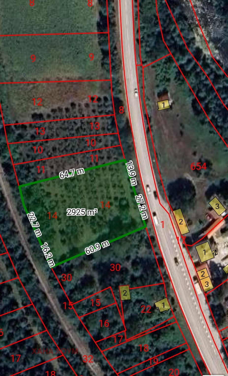
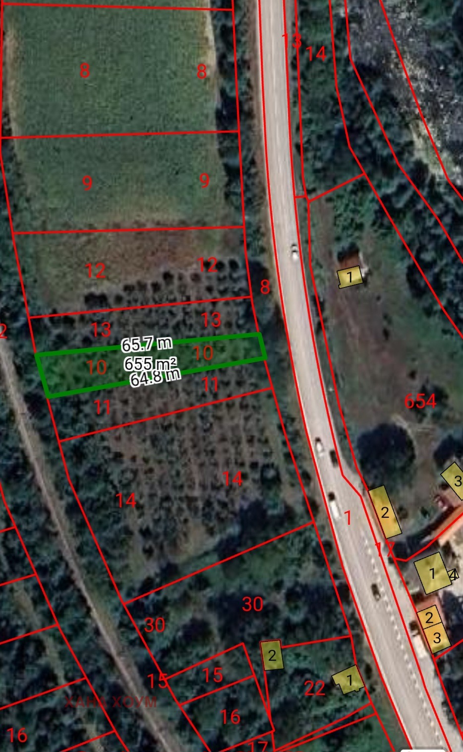
Продават се четири съседни имота, които се намират на главния път Троян - Ловеч, (в землището на с. Калейца, местност 'Сухата чешма') и представляват следното:
Имот 1: Земеделска земя; овощна градина; 4-та категория; площ: 655 кв.м;
Имот 2: Земеделска земя; овощна градина; 4-та категория; площ: 726 кв.м;
Имот 3: Земеделска земя; овощна градина 4-та категория; площ: 726 кв.м;
Имот 4: Земеделска земя; овощна градина; 4-та категория; площ: 2924 кв.м.
Имотите са засадени с ябълкови дръвчета, които са в плододаване.
Обща площ на четирите имота: 5031 кв.м.;
Общо лице на главен път: 70 м.
Имотите са равни и подходящи за всякакъв вид строителство, след промяна статута на земята и одобрен ПУП от Община - Троян.







