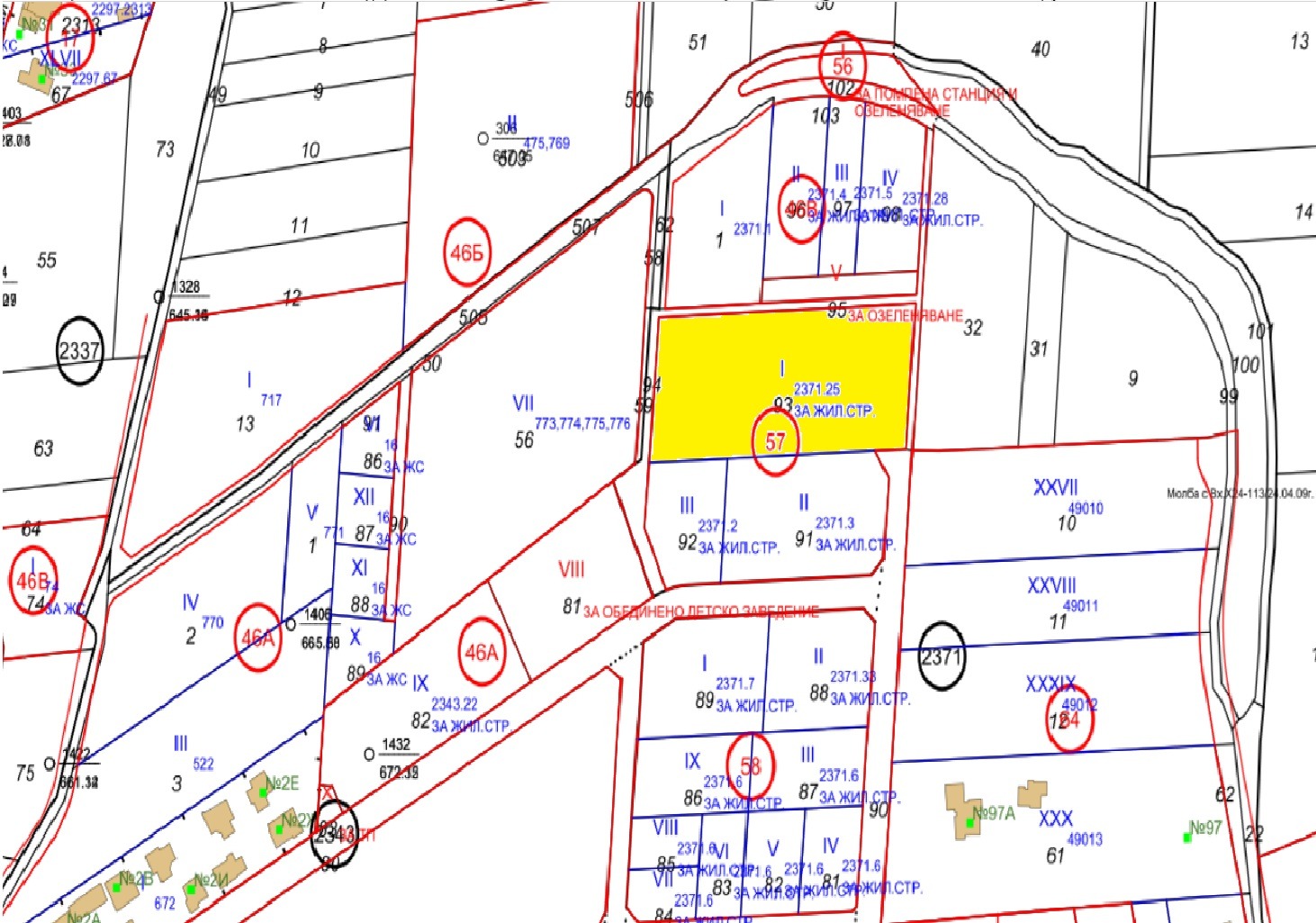
Квадратура: 6 140 кв.м.
УПИ за жилищно застрояване с невероятна панорама към Витоша, Люлин и Стара планина.
Парцелът с намира в месност Стърната, новопроектиран жилищен квартал, който се отличава с цялостно планиране на района, с влязъл в сила ПУП одобрен и реализиран от Столична община. Районът се застроява с изцяло нови къщи. Съседният до него парцел е общински и е отреден за изграждането на детска градина.
В непосредствена близост до имота има спирка на градски транспорт, осъществяващ връзка с метрото.
Параметри на застрояване:
Плътност: 25%
Кинт: 0,8
Кота корниз: 8,5 метра







