Translations in other languages:
All real estate ads published on
imot.bg
have been translated into English and published on the partner site
Continue
Получихте нова обява по филтър
Промяна на цена на наблюдавана обява
стара цена
нова цена
Сайт за имоти
№1
Translations in other languages:
All real estate ads published on
imot.bg
have been translated into English and published on the partner site
Continue
ДОБАВИ ОБЯВА
Редакция на обява
Вход
|
Нова Регистрация
Начало
Добави обява
Търсене
Агенции
Новини
Кредити
+ Още...
Средни цени на имотите
Колко струва моят имот?
Архивни данни
Имоти с падащи цени
Нови сгради
Вход / Регистрация
Избор на рубрика
|
Продава
|
Дава под наем
|
Купува
|
Търси да наеме
|
Заменя
|
Съквартиранти
Колко струва моят имот?
НОВО ТЪРСЕНЕ
|
КОРЕКЦИЯ НА ТЪРСЕНЕТО
|
РЕЗУЛТАТИ ОТ ТЪРСЕНЕТО
Увеличи
1
/
1
89 579 €
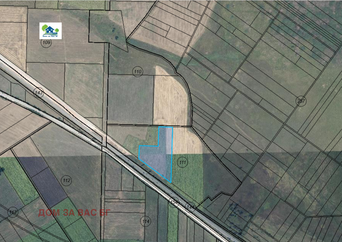
175 201.30 лв.,, Продава ПАРЦЕЛ, област София, гр. Драгоман
Площ: 13000 кв.м, Агенция,
Продава ПАРЦЕЛ
област София, гр. Драгоман
Виж карта
89 579 €
175 201.30 лв.
(7 €, 13.69 лв./m
2
)
Не се начислява ДДС
Коригирана в 14:54 на 4 август, 2025 год.
Обявата е посетена
1215
пъти.
Площ:
13000 m
2
Моята бележка
(видима само за Вас)
Моята оценка
(видима само за Вас)
Съобщи за нередност
и блокирай Агенцията
21:44 ч., 17.03.2026
Изтрий
Редактирай
Отказ
Запиши
Оценка:
от 10
21:44 ч., 17.03.2026
(Ще получите SMS с ключ за верификация)
Съгласявам се с
общите условия
и
политики за защита на личните данни
Отказ
Изпрати
Описание на имота:
ДОМ ЗА ВАС БГ продава поземлен имот 12797м2 с лице 136м на Магистрала Европа. Намира се между гр.Сливница и гр.Драгоман.
За повече информация и огледи: ID156 0877 772 779 Анелия Димитрова
За контакт:
0877772779
Брокер:
Анелия Димитрова
0877 772 779
Офис: гр.София, бул.Цариградско шосе 133,ет:6,офис:609Б
Още оферти от брокера:
Продава
|
Дава под наем
|
Купува
|
Наема
Агенция:
ДОМ ЗА ВАС БГ
0877 772 779
В imot.bg
от 2024 г.
domzavasbg.imot.bg
Още оферти:
Продава
|
Дава под наем
|
Купува
|
Наема
Адрес:
област София, гр. София, бул.Цариградско шосе 133 , ет:6 , офис:609Б
http://domzavasbg.com
ИЗПРАТИ ЗАПИТВАНЕ
Вашето име:
Вашия телефон:
Вашия е-mail:
Запитване: (до 1000 символа
)
ИЗПРАТИ ЗАПИТВАНЕТО
Съгласявам се с
общите условия
и
политики за защита на личните данни
Продава ПАРЦЕЛ
област София, гр. Драгоман
Обява: 1r174490566636278
89 579 €
175 201.30 лв.
(7 €, 13.69 лв./m
2
)
Не се начислява ДДС
0877772779
Изпрати E-mail до продавача
ЗАПАЗИ ОБЯВАТА
Сподели:
ДОМ ЗА ВАС БГ
област София, гр. София, бул.Цариградско шосе 133 , ет:6 , офис:609Б
В imot.bg
от 2024 г.
domzavasbg.imot.bg
Местоположение:
област София, гр. Драгоман
Виж още
имоти от гр. Драгоман
или
още Парцели в гр. Драгоман, София
Още обяви в imot.bg
Продава ПАРЦЕЛ
81 000 €
158 422.23 лв.
(902 кв.м)
област София гр. Драгоман
Продава ПАРЦЕЛ
30 000 €
58 674.90 лв.
(3765 кв.м)
област София гр. Драгоман
Продава ПАРЦЕЛ
69 999 €
136 906.14 лв.
(550 кв.м)
област София гр. Драгоман
Продава ПАРЦЕЛ
135 000 €
264 037.05 лв.
(1500 кв.м)
област София гр. Драгоман
Още обяви в imot.bg от ДОМ ЗА ВАС БГ
Виж всички
Продава ПАРЦЕЛ
300 000 €
586 749.00 лв.
(6034 кв.м)
област София с. Нови хан
Продава ПАРЦЕЛ
180 000 €
352 049.40 лв.
(4500 кв.м)
област София гр. Елин Пелин
Продава ПАРЦЕЛ
149 850 €
293 081.13 лв.
(2997 кв.м)
област София с. Нови хан
Продава ПАРЦЕЛ
336 000 €
657 158.88 лв.
(21000 кв.м)
област София с. Мусачево
Продажби
област София
гр. Драгоман
Парцели
Въпроси и предложения към imot.bg
КОНТАКТИ
|
SMS КОДОВЕ
|
ПОМОЩ
|
ОБЩИ УСЛОВИЯ
|
РЕКЛАМА
|
ЗАЩИТА НА ЛИЧНИТЕ ДАННИ
|
КАРТА НА САЙТА
|
Резон Медия
|
Автомобили
|
Работа
|
Новини
|
Обяви
2002-2026 ® Copyright imot.bg
©
imot.bg
ползва и препоръчва
хостинг услугите
на
Следвайте ни в: