LUXIMMO FINEST ESTATES: www.luximmo.bg
Представяме имот с потенциал, достоен за визия с мащаб, в един от най-перспективните южни квартали на София 'Витоша'.
Квартал 'Витоша' се утвърди през последните години като една от най-желаните и бързо развиващи се части на столицата. Отличава се с модерно ново строителство, качествена среда на обитаване и нарастващо търсене на имоти от среден и висок клас. Близостта до основни булеварди, престижни образователни институции и планината Витоша, го превръщат в търсена локация както за живеене, така и за бизнес.
Параметри
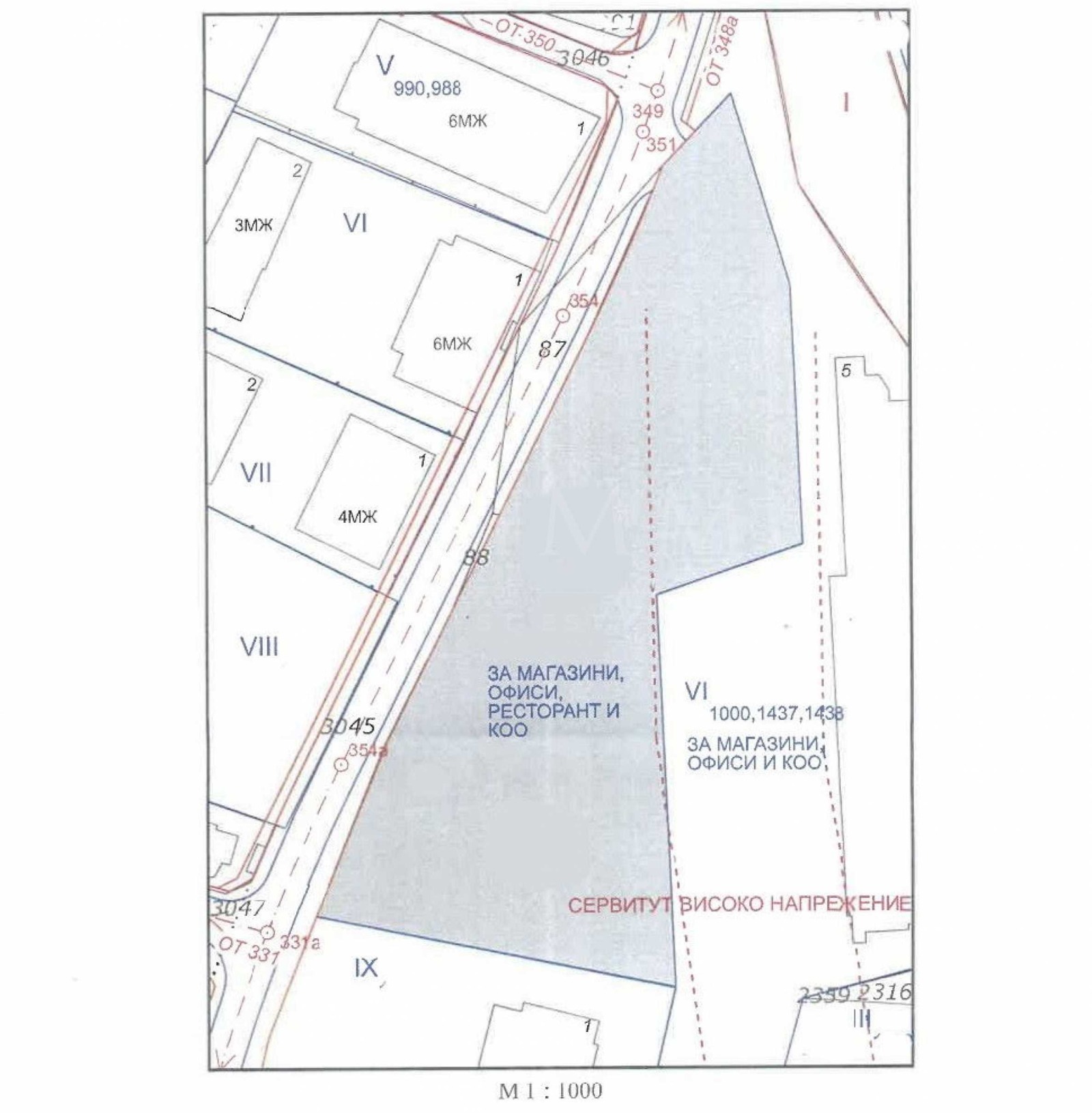
Имотът представлява урегулиран парцел с площ по документи - 4 464 кв.м, с предназначение за урбанизирана територия, съгласно действащия подробен устройствен план, одобрен от главния архитект на Столична община.
Към парцела е разработен идеен проект за многофункционална сграда с разгъната застроена площ (РЗП) от 12 000 кв.м, включваща жилищни и административни площи.
*Посочената цена е без ДДС и не вкл. проекта.
Локация
Парцелът се намира в непосредствена близост до Кауфланд, Фантастико, Руски лицей София, както и до френската детска градина и училище 'Виктор Юго', с бърз достъп е до 'Симеоновско шосе', което подчертава стратегическото му местоположение и отличната инфраструктура в района.
Очакваме Вашето запитване
Ако желаете да организирате оглед на имот, който Ви интересува, или да посетите някой от нашите офиси, моля свържете се с нас. За да уговорите ден и час за среща или оглед, можете да се обадите на посочения в обявата телефон или да изпратите запитване чрез електронната поща. Нашият консултант ще Ви съдейства с всички необходими подробности и ще уговори удобно за Вас време.
Търсите подходящия за Вас имот?
Не се колебайте да се свържете с нас и да ни разкажете за Вашите нужди и предпочитания. Нашият екип ще ...
Цената на имота е 7 250 000 евро / 14 179 767.50 лв. без ДДС или 8 700 000 евро / 17 015 721.00 лв. с ДДС. Данъчен кредит може да се ползва при определени условия.
За повече информация свържете се с нас и цитирайте референтния номер на имота. Моля, кажете, че сте видeли обявата в този сайт.
Референтен номер: SOF-130218
Тел: 0884 031 856, 02 402 91 95
Отговорен брокер:Инна Дочева







