предлага на своите клиенти парцел за продажба в кв. Галата, Варна
Предлагаме на вашето внимание просторен парцел с площ от 1200 кв.м., разположен в един от най-приятните и спокойни квартали на Варна - Галата.
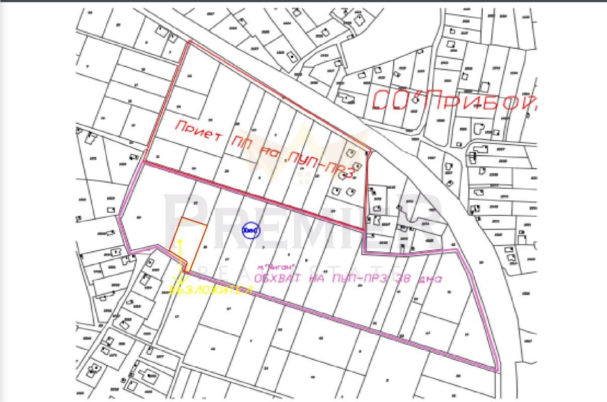
Основни характеристики на имота:
- 📍 *Местоположение*: Квартал Галата, Варна
- 📏 *Площ*: 1200 кв.м.
- 📑 *Регулация*: Парцелът е в регулация
- 📜 *ПУП*: Процедурата по издаване на Подробен устройствен план (ПУП) е в ход
- 🔌 *Ифраструктура*: Достъп до ел. преносната мрежа и ВиК мрежа в съседство
- 🚌 *Транспорт*: В момента се планира изграждането на спирка на градския транспорт в непосредствена близост
Галата е квартал, който предлага спокойствие и зеленина, в съчетание с красиво морско крайбрежие. Той е предпочитан избор за тези, които търсят баланс между градския живот и уединението. С бърз достъп до центъра на Варна и множество възможности за релакс, Галата е идеалното място за вашия нов дом или инвестиция. 🌳🌊
Свържете се с нас, за да получите допълнителна информация и да организираме оглед на имота!
Код 350033
Виж всички обяви в imotipremier.bazar.bg или тук
        
       
         
         
         
         
             
             
             
            






