Парцел за продажба в живописния район на село Приселци, област Варна
Представяме ви уникална възможност за инвестиция в този прекрасен парцел, разположен в село Приселци, само на кратко разстояние от крайбрежния град Варна. Това предложение предлага отлична съвкупност от спокойствие и удобство, като същевременно осигурява лесен достъп до градската инфраструктура.
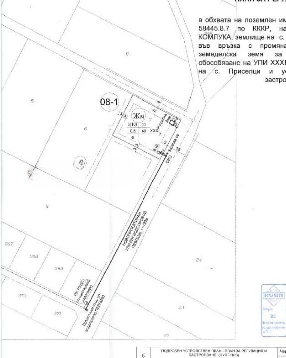
площ:** 1132 кв.м
**Основни характеристики на имота:**
- Парцелът е със правилна форма, което предоставя множество възможности за застрояване според вашите планове и нужди.
- Разполага с електричество и вода в близост, което улеснява началото на строителна дейност.
- Локацията му е идеална за създаване на уютен дом или вила сред природата, с пленителна гледка към околната зеленина.
- Парцелът е подходящ както за жилищно, така и за ваканционно строителство.
-Парцелът е с изготвен ПУП със разрешително за строеж
**Предимства на района:**
- Село Приселци е известно със своята спокойна и живописна обстановка, като предлага прекрасни условия за отдих и почивка.
- Районът е добре развит, с лесен достъп до град Варна, където можете да намерите всички необходими удобства и услуги.
Това е изключителна възможност да инвестирате в имот, който съчетава природна красота и удобства на съвременния живот. Не пропускайте шанса да реализирате своя мечтан проект в приятелска и спокойна обстановка! За повече информация звънете на посочените телефони и цитирайте код на обява 361650
Виж всички обяви в imotipremier.bazar.bg или тук







