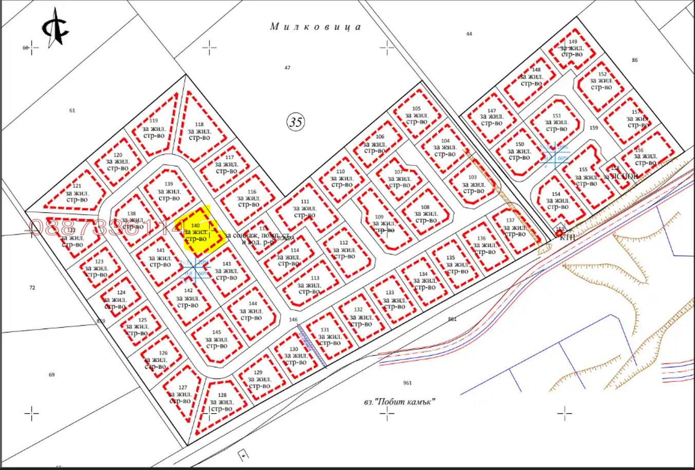
Продава парцел във вилна зона Побит камък за еднофамилна къща
Ток, вода, канализация.
В съседство вече има построени еднофамилни къщи. Асфалтирани улици, лед осветление без такса поддрръжка.
Имота е разположен в най-добрата част на квартала (централна част) и с перфектна правоъгълна форма.
Комплекса се състои от 51 парцела.
Параметри
Височина на застрояване до 7 метра кота корниз
Плътност на застрояване до 20 %
Интезивност на застрояване 0.5
Озеленяване 60 %
Начин на застрояване свободно
Топ



