Translations in other languages:
All real estate ads published on imot.bg have been translated into English and published on the partner site
Получихте нова обява по филтър





Промяна на цена на наблюдавана обява


стара цена
нова цена
imot.bg – обяви за продажби и наеми на имоти
Сайт за имоти №1
Translations in other languages:
All real estate ads published on imot.bg have been translated into English and published on the partner site
ДОБАВИ ОБЯВА Редакция на обява
Начало Публикуване Търсене Нови сгради Агенции Новини Кредити + Още... Моят имот
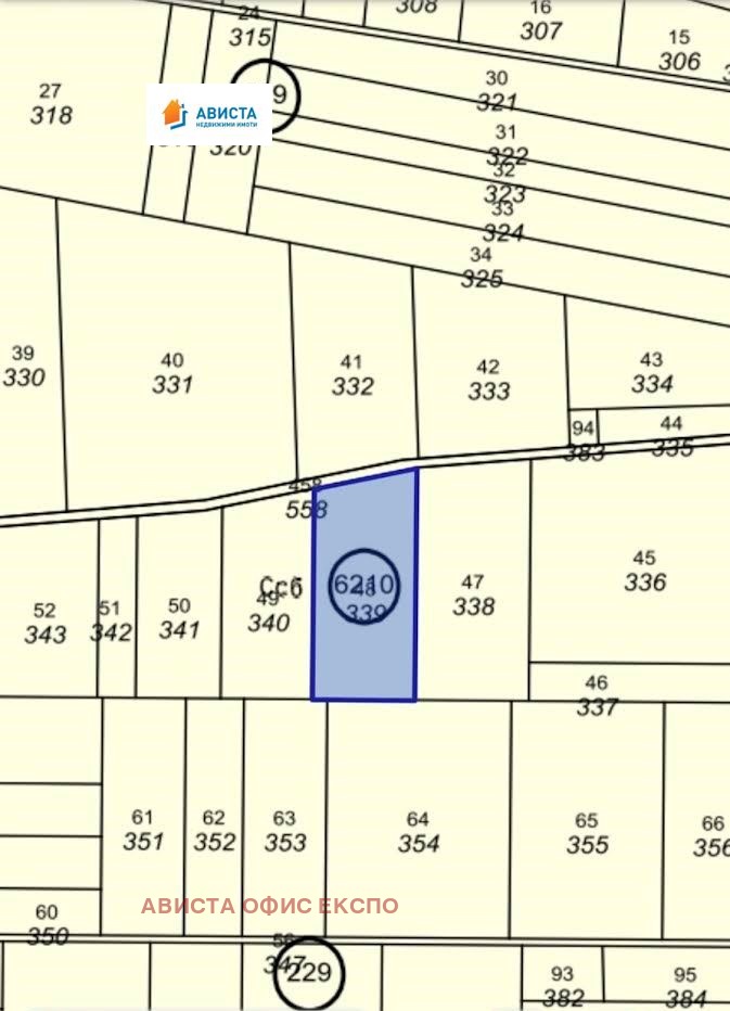
Продава ПАРЦЕЛ
град София, с. Лозен
57 512 €
112 483.69 лв.

(14 €, 27.38 лв./m2)
История на цената
Коригирана в 10:22 на 28 октомври, 2025 год.
Обявата е посетена 3221 пъти.
Площ:
4108 m2

Описание на имота:


Продавам парцел в землището на с. Лозен, местност Попова падина. Намира се на вртора линия след отбивката от магистрала Тракия за гр. Елин Пелин. Има лице на черен път. Площа е 4108 кв.м. В момента е обработваема нива и е даден под аренда. Разполагам и с други парцели в района които могат да се окрупняват. Цените са между 14 и 18 е/м2.
Виж всички обяви в expo.bazar.bg или тук
За контакт:
0894777697
Брокер:
Ивайло Манасиев
0894/777697
Още оферти от брокера: Продава | Дава под наем | Купува | Наема
Агенция:
АВИСТА ОФИС ЕКСПО
0893367585
АВИСТА ОФИС ЕКСПО logo
Медал за прослужено време
В imot.bg от 2003 г.
expo.imot.bg
Адрес:
област София, гр. София, бул. 'Македония' 27, ет.1
http://www.avista.bg
ИЗПРАТИ ЗАПИТВАНЕ
ИЗПРАТИ ЗАПИТВАНЕТО

Продава ПАРЦЕЛ
град София, с. Лозен
Обява: 1r169104930591807

57 512 €
112 483.69 лв.
История на цената
(14 €, 27.38 лв./m2)

ЗАПАЗИ ОБЯВАТА

Местоположение: град София, с. Лозен

Виж още имоти от София или още Парцели в София
Допълнителни данни за имотите в района и сравнение с други райони: Търсене в АРХИВ 2013 - 2025 г.











Добави/редактирай
вид имот и район
*Средните цени са определени чрез медиана стойност.
Още обяви в imot.bg
КОНТАКТИ | SMS КОДОВЕ | СТАТИСТИКА | ПОМОЩ | ОБЩИ УСЛОВИЯ | РЕКЛАМА | ТОП ОФЕРТА | Въпроси и предложения към imot.bg
Резон Медия | Имоти | Автомобили | Работа | Новини | Обяви | Преводи и легализация 2002-2025 ® Copyright imot.bg
© imot.bg ползва и препоръчва хостинг услугите на Bulinfo.net
Следвайте ни в: