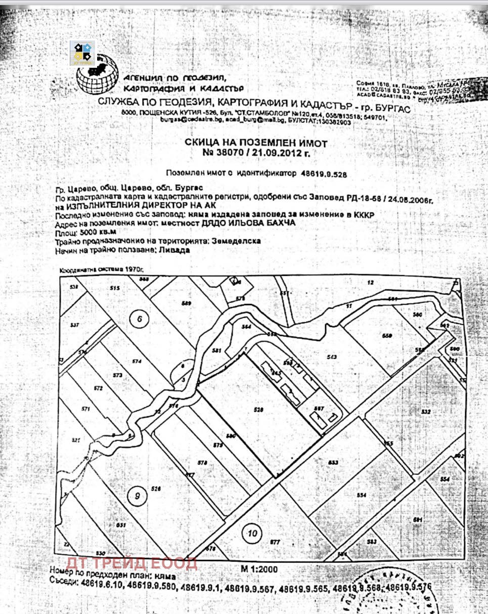
Парцелът се намира до къмпинг Арапя.
Имотът не е в регулация.
Поради своята локация имота предоставя възможност за развиване на бизнес.
Чисти документи, готови за сделка!
За повече информация можете да се свържете с нас на следния телефон:
Диана Трайкова - 0885 983 719
БОНУС! Съдействие за ипотечен кредит. Работим с компания Кредит Навигатор, която предлага цялостно финансово обслужване. Консултациите и съдействието за кредитиране са напълно БЕЗПЛАТНИ!
Виж всички обяви в dttrade.bazar.bg или тук
        
       
         
         
             
            


