КЛИЕНТИТЕ НА MARTIN'S СА ПО-ДОВОЛНИ! ПОПИТАЙ ЗАЩО....
С. Мърчаево
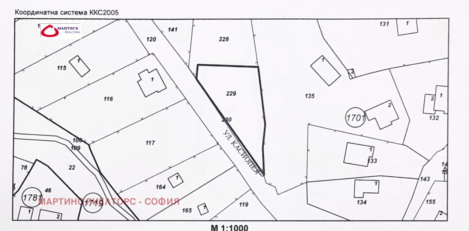
УПИ 49597.1701.229, находящ се в с. Мърчаево, махала Казашка, ул. Касиопея, на около 200м от главен път Е871 (Перник-Владая-София) Парцелът е почистен от висока дървесна растителност
Форма: почти правилна правоъгълна форма, минимална денивелация, която при използване на парцела не изисква терасиране и укрепване.
Предназначение и статут: за жилищно строителство с параметри Жм1 - кота корниз до 10м, плътност - 30%, кинт - 0.9. При спазване на остоянията, може да се получи ЗП до 100м2
Достъп: Лесен достъп по черен равен път, 180м от Е871
Съседи: непосредствено до постоянно обитавани къщи от 3 страни, както и няколко къщи в непосредствена близост
Документи и собственост: ЮЛ - начислява се ДДС. Агенцията разполага с пълно досие от документи: Заповед за образуване на нови УПИ и ИПР, заснемане на дървесна растителност, съгласуване с ЕРМ запад, Соф. Вода.
За по-добра представа за локация, разгледайте снимките. Продава се и съседен парцел с площ от 887м2, за цена от 69 000 евро. Двата парцела образуват общо 1538м2, от които 38м2 са отделени за тротоар и улица. Могат за бъдат закупени заедно







