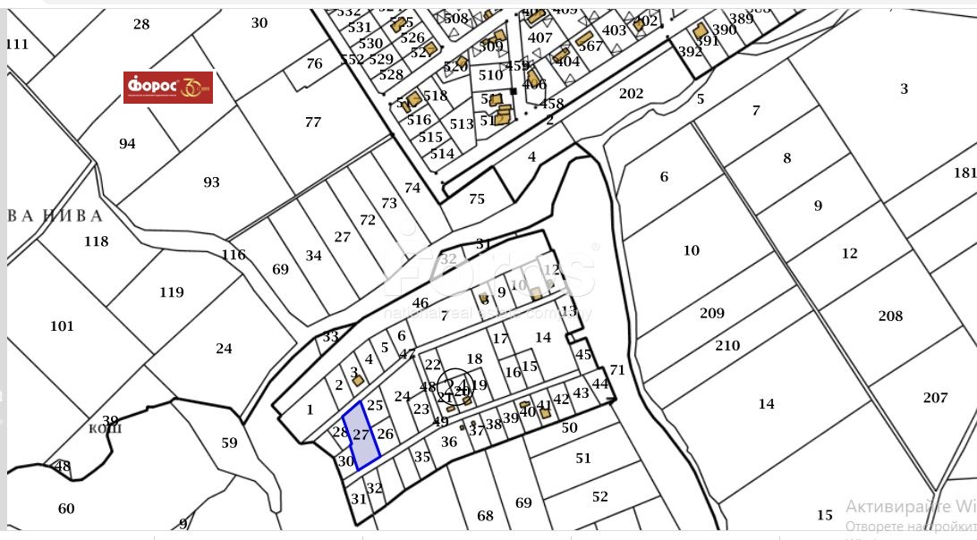
Поземлен имот във вилна зона 'Край село, с.Равадиново, общ.Созопол.
Равадиново се намира само на 3 км от гр.Созопол и на 2 км. от комплексите 'Света Марина' и 'Златна рибка'.
На близо разположеният 'Замък Равадиново' и Аквапарка предоставят отлични условия за почива и отдих сред природата.
Парцелът е с правоъгълна форма и лице на два пътя, с възможност да се раздели на два отделни парцела.
Начин на трайно ползване - 'За земеделски труд и отдих, съгласно параграф 4 от Закона за собствеността на зем.земи.
Зоната е благоустроена, с изградени много нови вилни постройки и се намира непосредствено до регулацията на Равадиново и малък язовир.
Пътищата са чакълирани, ток и вода - в съседство.
Строителни показатели - плътност до 40%, височина - до 10 метра.
Предимства:
Парцел подходящ за строителство на вила, близо до море и гора.
Брокер за контакти:Донка Павлова, тел.0895484332
Виж всички обяви в foros.bazar.bg или тук
        
       
         
         
         
         
         
             
             
             
             
            






