Translations in other languages:
All real estate ads published on imot.bg have been translated into English and published on the partner site
Получихте нова обява по филтър





Промяна на цена на наблюдавана обява


стара цена
нова цена
imot.bg – обяви за продажби и наеми на имоти
Сайт за имоти №1
Translations in other languages:
All real estate ads published on imot.bg have been translated into English and published on the partner site
ДОБАВИ ОБЯВА Редакция на обява
Начало Добави обява Търсене Агенции Новини Кредити Вход / Регистрация
Продава ПАРЦЕЛ
област Пазарджик, гр. Батак
1 533 875.64 €
3 000 000 лв.

(36.81 €, 72 лв./m2)
Не се начислява ДДС
История на цената
Коригирана в 9:19 на 14 април, 2026 год.
Обявата е посетена 7145 пъти.
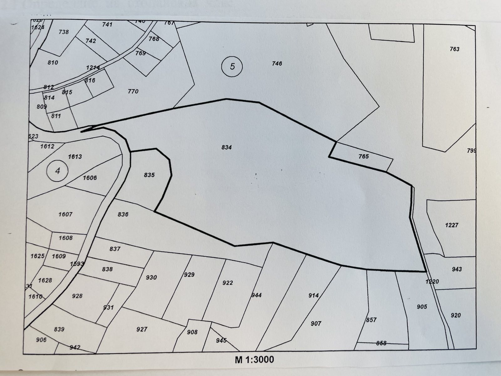
Площ:
41627 m2

Описание на имота:


Продава се имот с площ от 41 627 кв.м находящ се в гр.Батак, местност ТРЕБИЩЕ , с изложение- запад. Релефът на мястото е планински с надморска височина 1150 м и наклон на терена 12 градуса. В имота има насаждения предимно от бял бор с общ обем около 2000-2200 куб.м-стояща маса. Изключително атрактивен парцел с панорамна гледка. Граничи с асфалтов път-от една страна, а от други две страни с черен общински път. В непосредствена близост до източната граница на имота минава високо напрежение и има възможност за изграждане на трафопост. В района, в който попада имота, лятото е прохладно, а зимата е сравнително мека. Подходящ е за инвестиция, както в областта на дърводобива, така и в изграждането на вилно селище. Върху имота няма наличие на ограничени вещни права, продава се от собственици и цената подлежи на коментар. Огледи могат да се правят по всяко време на място след предварителна уговорка.
За контакт:
0897815299
/Частно лице/
ИЗПРАТИ ЗАПИТВАНЕ
ИЗПРАТИ ЗАПИТВАНЕТО

Продава ПАРЦЕЛ
област Пазарджик, гр. Батак
Обява: 1r166852100834742

1 533 875.64 €
3 000 000 лв.
История на цената
(36.81 €, 72 лв./m2)

Не се начислява ДДС
0897815299
/Частно лице/ Изпрати E-mail до продавача
ЗАПАЗИ ОБЯВАТА

Местоположение: област Пазарджик, гр. Батак

Виж още имоти от гр. Батак или още Парцели в гр. Батак, Пазарджик
Още обяви в imot.bg
Обяви за имоти Продажби област Пазарджик гр. Батак Парцели
Въпроси и предложения към imot.bg
КОНТАКТИ | SMS КОДОВЕ | ПОМОЩ | ОБЩИ УСЛОВИЯ | РЕКЛАМА | ЗАЩИТА НА ЛИЧНИТЕ ДАННИ | КАРТА НА САЙТА |
Резон Медия | Автомобили | Работа | Новини | Обяви 2002-2026 ® Copyright imot.bg
© imot.bg ползва и препоръчва хостинг услугите на Bulinfo.net
Следвайте ни в: