Translations in other languages:
All real estate ads published on
imot.bg
have been translated into English and published on the partner site
Continue
Получихте нова обява по филтър
Промяна на цена на наблюдавана обява
стара цена
нова цена
Сайт за имоти
№1
ДОБАВИ ОБЯВА
Редакция на обява
Вход
|
Нова Регистрация
Начало
Публикуване
Търсене
Нови сгради
Агенции
Новини
Кредити
+ Още...
Моят имот
Избор на рубрика
|
Продава
|
Дава под наем
|
Купува
|
Търси да наеме
|
Заменя
|
Съквартиранти
Колко струва моят имот?
НОВО ТЪРСЕНЕ
|
КОРЕКЦИЯ НА ТЪРСЕНЕТО
|
РЕЗУЛТАТИ ОТ ТЪРСЕНЕТО
Увеличи
1
/
1
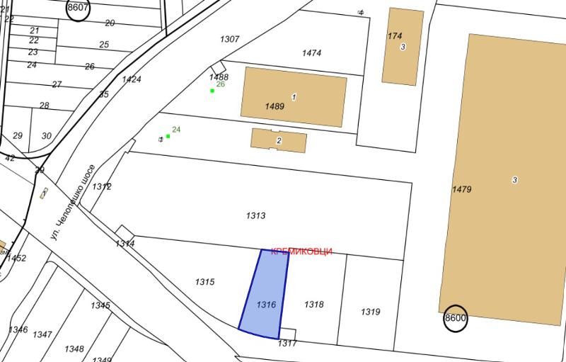
355 950 €/696 177.69 лв., Продава ПАРЦЕЛ, град София, Враждебна
Площ: 2373 кв.м, Агенция, Регулация: ДА,
Продава ПАРЦЕЛ
град София, Враждебна
Виж карта
355 950 €
696 177.69 лв.
(150 €, 293.37 лв./m
2
)
Не се начислява ДДС
Коригирана в 10:47 на 7 октомври, 2025 год.
Обявата е посетена
116
пъти.
Площ:
2373 m
2
Регулация:
ДА
Напиши Бележка
Дай оценка
Съобщи за нередност
22:48 ч., 10.10.2025
Изтрий
Редактирай
Отказ
Запиши
Оценка: от 10
22:48 ч., 10.10.2025
(Ще получите SMS с ключ за верификация)
Съгласявам се с
общите условия
и
политики за защита на личните данни
Изпрати
Описание на имота:
УПИ с лице 37 м. В близост до ул. 'Челопешко шосе' в частта, където преминава Северната скоростна тангента. За производство и обществено обслужване. Попада в зони Смф2 и Пс. В съседство Орбико България ЕООД и Кордеел България ЕАД. Лице за контакт: Златка Генчова 0878 206132
Виж всички обяви на агенцията в
eppi_e.bazar.bg
или
тук
.
За контакти:
0878206132
Агенция: ЕППИ ООД
http://eppi_e.imot.bg
Още оферти:
продава
|
дава под наем
|
купува
|
наема
Адрес: област София, гр. София, УЛ. ДУКАТСКА ПЛАНИНА 12; ЕИК 130250669
Тел.: 02/9522223; 9526646; 9520966;
http://www.eppi.bg
Изпрати запитване:
Вашето съобщение (до 1000 символа
):
Вашето име:
Вашия мобилен телефон:
Вашия E-mail:
Изпрати Е-mail
Съгласявам се с
общите условия
и
политики за защита на личните данни
Продава ПАРЦЕЛ
град София, Враждебна
Обява: 1r164857697597606
355 950 €
696 177.69 лв.
(150 €, 293.37 лв./m
2
)
Не се начислява ДДС
0878206132
Изпрати E-mail на продавача
ЗАПАЗИ ОБЯВАТА
Сподели:
ЕППИ ООД
област София, гр. София, УЛ. ДУКАТСКА ПЛАНИНА 12; ЕИК 130250669
В imot.bg
от 2005 г.
Виж всички имоти на агенцията
Местоположение:
град София, Враждебна
Допълнителни данни за имотите в района и сравнение с други райони:
Търсене в АРХИВ 2013 - 2025 г.
Изберете вида на имота и района
Вид на имота:
Област / Град:
Район:
1
1-СТАЕН
2-СТАЕН
3-СТАЕН
4-СТАЕН
МНОГОСТАЕН
МЕЗОНЕТ
ОФИС
АТЕЛИЕ, ТАВАН
ЕТАЖ ОТ КЪЩА
КЪЩА
ВИЛА
МАГАЗИН
ЗАВЕДЕНИЕ
СКЛАД
ГАРАЖ, ПАРКОМЯСТО
ПРОМ. ПОМЕЩЕНИЕ
ХОТЕЛ
ПАРЦЕЛ
ЗЕМЕДЕЛСКА ЗЕМЯ
БИЗНЕС ИМОТ
град Благоевград
град Бургас
град Варна
град Велико Търново
град Видин
град Враца
град Габрово
град Добрич
град Кърджали
град Кюстендил
град Ловеч
град Монтана
град Пазарджик
град Перник
град Плевен
град Пловдив
град Разград
град Русе
град Силистра
град Сливен
град Смолян
град София
град Стара Загора
град Търговище
град Хасково
град Шумен
град Ямбол
7-ми 11-ти километър
Абдовица
Банишора
Белите брези
Бенковски
Борово
Ботунец
Ботунец 2
Бояна
Бъкстон
Витоша
Военна рампа
Враждебна
Връбница 1
Връбница 2
Гевгелийски
Гео Милев
Горна баня
Горубляне
Гоце Делчев
Градина
Дианабад
Димитър Миленков
Докторски паметник
Драгалевци
Дружба 1
Дружба 2
Дървеница
Експериментален
Западен парк
Захарна фабрика
Зона Б-18
Зона Б-19
Зона Б-5
Зона Б-5-3
Иван Вазов
Изгрев
Изток
Илинден
Илиянци
Карпузица
Княжево
Красна поляна 1
Красна поляна 2
Красна поляна 3
Красно село
Кремиковци
Кръстова вада
Лагера
Левски
Левски В
Левски Г
Летище София
Лозенец
Люлин - център
Люлин 1
Люлин 10
Люлин 2
Люлин 3
Люлин 4
Люлин 5
Люлин 6
Люлин 7
Люлин 8
Люлин 9
Малашевци
Малинова долина
Манастирски ливади
Медицинска академия
Младост 1
Младост 1А
Младост 2
Младост 3
Младост 4
Модерно предградие
Мусагеница
Надежда 1
Надежда 2
Надежда 3
Надежда 4
НПЗ Изток
НПЗ Искър
НПЗ Средец
НПЗ Хаджи Димитър
Обеля
Обеля 1
Обеля 2
Оборище
Овча купел
Овча купел 1
Овча купел 2
Орландовци
Павлово
ПЗ Илиянци
ПЗ Хладилника
Подуяне
Полигона
Разсадника
Редута
Република
Република 2
Света Троица
Свобода
Сердика
Сеславци
Симеоново
Славия
Слатина
СПЗ Модерно предградие
СПЗ Слатина
Стрелбище
Студентски град
Сухата река
Суходол
Толстой
Требич
Триъгълника
Факултета
Филиповци
Фондови жилища
Хаджи Димитър
Хиподрума
Хладилника
Христо Ботев
Център
Челопечене
Яворов
в.з.Американски колеж
в.з.Беловодски път
в.з.Бояна
в.з.Бункера
в.з.Врана - Герман
в.з.Врана - Лозен
в.з.Горна баня
в.з.Килиите
в.з.Киноцентъра
в.з.Киноцентъра 3 част
в.з.Люлин
в.з.Малинова долина
в.з.Малинова долина - Герена
в.з.Симеоново - Драгалевци
в.з.Черния кос
гр. Банкя
гр. Бухово
гр. Нови Искър
ж.гр.Зоопарк
ж.гр.Южен парк
м-т Барите
м-т Батареята
м-т Гърдова глава
м-т Детски град
м-т Камбаните
м-т Киноцентъра
м-т Мала кория
м-т Подлозище
м-т Щъркелово гнездо
м-т Юбилейна гора
м-т яз. Искър
м-т Яладжа
с. Балша
с. Бистрица
с. Бусманци
с. Владая
с. Войнеговци
с. Волуяк
с. Герман
с. Горни Богров
с. Доброславци
с. Долни Богров
с. Долни Пасарел
с. Железница
с. Желява
с. Житен
с. Иваняне
с. Казичене
с. Клисура
с. Кокаляне
с. Кривина
с. Кубратово
с. Кътина
с. Лозен
с. Локорско
с. Мало Бучино
с. Мировяне
с. Мрамор
с. Мърчаево
с. Негован
с. Панчарево
с. Плана
с. Подгумер
с. Световрачене
с. Чепинци
с. Яна
2
1-СТАЕН
2-СТАЕН
3-СТАЕН
4-СТАЕН
МНОГОСТАЕН
МЕЗОНЕТ
ОФИС
АТЕЛИЕ, ТАВАН
ЕТАЖ ОТ КЪЩА
КЪЩА
ВИЛА
МАГАЗИН
ЗАВЕДЕНИЕ
СКЛАД
ГАРАЖ, ПАРКОМЯСТО
ПРОМ. ПОМЕЩЕНИЕ
ХОТЕЛ
ПАРЦЕЛ
ЗЕМЕДЕЛСКА ЗЕМЯ
БИЗНЕС ИМОТ
град Благоевград
град Бургас
град Варна
град Велико Търново
град Видин
град Враца
град Габрово
град Добрич
град Кърджали
град Кюстендил
град Ловеч
град Монтана
град Пазарджик
град Перник
град Плевен
град Пловдив
град Разград
град Русе
град Силистра
град Сливен
град Смолян
град София
град Стара Загора
град Търговище
град Хасково
град Шумен
град Ямбол
7-ми 11-ти километър
Абдовица
Банишора
Белите брези
Бенковски
Борово
Ботунец
Ботунец 2
Бояна
Бъкстон
Витоша
Военна рампа
Враждебна
Връбница 1
Връбница 2
Гевгелийски
Гео Милев
Горна баня
Горубляне
Гоце Делчев
Градина
Дианабад
Димитър Миленков
Докторски паметник
Драгалевци
Дружба 1
Дружба 2
Дървеница
Експериментален
Западен парк
Захарна фабрика
Зона Б-18
Зона Б-19
Зона Б-5
Зона Б-5-3
Иван Вазов
Изгрев
Изток
Илинден
Илиянци
Карпузица
Княжево
Красна поляна 1
Красна поляна 2
Красна поляна 3
Красно село
Кремиковци
Кръстова вада
Лагера
Левски
Левски В
Левски Г
Летище София
Лозенец
Люлин - център
Люлин 1
Люлин 10
Люлин 2
Люлин 3
Люлин 4
Люлин 5
Люлин 6
Люлин 7
Люлин 8
Люлин 9
Малашевци
Малинова долина
Манастирски ливади
Медицинска академия
Младост 1
Младост 1А
Младост 2
Младост 3
Младост 4
Модерно предградие
Мусагеница
Надежда 1
Надежда 2
Надежда 3
Надежда 4
НПЗ Изток
НПЗ Искър
НПЗ Средец
НПЗ Хаджи Димитър
Обеля
Обеля 1
Обеля 2
Оборище
Овча купел
Овча купел 1
Овча купел 2
Орландовци
Павлово
ПЗ Илиянци
ПЗ Хладилника
Подуяне
Полигона
Разсадника
Редута
Република
Република 2
Света Троица
Свобода
Сердика
Сеславци
Симеоново
Славия
Слатина
СПЗ Модерно предградие
СПЗ Слатина
Стрелбище
Студентски град
Сухата река
Суходол
Толстой
Требич
Триъгълника
Факултета
Филиповци
Фондови жилища
Хаджи Димитър
Хиподрума
Хладилника
Христо Ботев
Център
Челопечене
Яворов
в.з.Американски колеж
в.з.Беловодски път
в.з.Бояна
в.з.Бункера
в.з.Врана - Герман
в.з.Врана - Лозен
в.з.Горна баня
в.з.Килиите
в.з.Киноцентъра
в.з.Киноцентъра 3 част
в.з.Люлин
в.з.Малинова долина
в.з.Малинова долина - Герена
в.з.Симеоново - Драгалевци
в.з.Черния кос
гр. Банкя
гр. Бухово
гр. Нови Искър
ж.гр.Зоопарк
ж.гр.Южен парк
м-т Барите
м-т Батареята
м-т Гърдова глава
м-т Детски град
м-т Камбаните
м-т Киноцентъра
м-т Мала кория
м-т Подлозище
м-т Щъркелово гнездо
м-т Юбилейна гора
м-т яз. Искър
м-т Яладжа
с. Балша
с. Бистрица
с. Бусманци
с. Владая
с. Войнеговци
с. Волуяк
с. Герман
с. Горни Богров
с. Доброславци
с. Долни Богров
с. Долни Пасарел
с. Железница
с. Желява
с. Житен
с. Иваняне
с. Казичене
с. Клисура
с. Кокаляне
с. Кривина
с. Кубратово
с. Кътина
с. Лозен
с. Локорско
с. Мало Бучино
с. Мировяне
с. Мрамор
с. Мърчаево
с. Негован
с. Панчарево
с. Плана
с. Подгумер
с. Световрачене
с. Чепинци
с. Яна
3
1-СТАЕН
2-СТАЕН
3-СТАЕН
4-СТАЕН
МНОГОСТАЕН
МЕЗОНЕТ
ОФИС
АТЕЛИЕ, ТАВАН
ЕТАЖ ОТ КЪЩА
КЪЩА
ВИЛА
МАГАЗИН
ЗАВЕДЕНИЕ
СКЛАД
ГАРАЖ, ПАРКОМЯСТО
ПРОМ. ПОМЕЩЕНИЕ
ХОТЕЛ
ПАРЦЕЛ
ЗЕМЕДЕЛСКА ЗЕМЯ
БИЗНЕС ИМОТ
град Благоевград
град Бургас
град Варна
град Велико Търново
град Видин
град Враца
град Габрово
град Добрич
град Кърджали
град Кюстендил
град Ловеч
град Монтана
град Пазарджик
град Перник
град Плевен
град Пловдив
град Разград
град Русе
град Силистра
град Сливен
град Смолян
град София
град Стара Загора
град Търговище
град Хасково
град Шумен
град Ямбол
7-ми 11-ти километър
Абдовица
Банишора
Белите брези
Бенковски
Борово
Ботунец
Ботунец 2
Бояна
Бъкстон
Витоша
Военна рампа
Враждебна
Връбница 1
Връбница 2
Гевгелийски
Гео Милев
Горна баня
Горубляне
Гоце Делчев
Градина
Дианабад
Димитър Миленков
Докторски паметник
Драгалевци
Дружба 1
Дружба 2
Дървеница
Експериментален
Западен парк
Захарна фабрика
Зона Б-18
Зона Б-19
Зона Б-5
Зона Б-5-3
Иван Вазов
Изгрев
Изток
Илинден
Илиянци
Карпузица
Княжево
Красна поляна 1
Красна поляна 2
Красна поляна 3
Красно село
Кремиковци
Кръстова вада
Лагера
Левски
Левски В
Левски Г
Летище София
Лозенец
Люлин - център
Люлин 1
Люлин 10
Люлин 2
Люлин 3
Люлин 4
Люлин 5
Люлин 6
Люлин 7
Люлин 8
Люлин 9
Малашевци
Малинова долина
Манастирски ливади
Медицинска академия
Младост 1
Младост 1А
Младост 2
Младост 3
Младост 4
Модерно предградие
Мусагеница
Надежда 1
Надежда 2
Надежда 3
Надежда 4
НПЗ Изток
НПЗ Искър
НПЗ Средец
НПЗ Хаджи Димитър
Обеля
Обеля 1
Обеля 2
Оборище
Овча купел
Овча купел 1
Овча купел 2
Орландовци
Павлово
ПЗ Илиянци
ПЗ Хладилника
Подуяне
Полигона
Разсадника
Редута
Република
Република 2
Света Троица
Свобода
Сердика
Сеславци
Симеоново
Славия
Слатина
СПЗ Модерно предградие
СПЗ Слатина
Стрелбище
Студентски град
Сухата река
Суходол
Толстой
Требич
Триъгълника
Факултета
Филиповци
Фондови жилища
Хаджи Димитър
Хиподрума
Хладилника
Христо Ботев
Център
Челопечене
Яворов
в.з.Американски колеж
в.з.Беловодски път
в.з.Бояна
в.з.Бункера
в.з.Врана - Герман
в.з.Врана - Лозен
в.з.Горна баня
в.з.Килиите
в.з.Киноцентъра
в.з.Киноцентъра 3 част
в.з.Люлин
в.з.Малинова долина
в.з.Малинова долина - Герена
в.з.Симеоново - Драгалевци
в.з.Черния кос
гр. Банкя
гр. Бухово
гр. Нови Искър
ж.гр.Зоопарк
ж.гр.Южен парк
м-т Барите
м-т Батареята
м-т Гърдова глава
м-т Детски град
м-т Камбаните
м-т Киноцентъра
м-т Мала кория
м-т Подлозище
м-т Щъркелово гнездо
м-т Юбилейна гора
м-т яз. Искър
м-т Яладжа
с. Балша
с. Бистрица
с. Бусманци
с. Владая
с. Войнеговци
с. Волуяк
с. Герман
с. Горни Богров
с. Доброславци
с. Долни Богров
с. Долни Пасарел
с. Железница
с. Желява
с. Житен
с. Иваняне
с. Казичене
с. Клисура
с. Кокаляне
с. Кривина
с. Кубратово
с. Кътина
с. Лозен
с. Локорско
с. Мало Бучино
с. Мировяне
с. Мрамор
с. Мърчаево
с. Негован
с. Панчарево
с. Плана
с. Подгумер
с. Световрачене
с. Чепинци
с. Яна
4
1-СТАЕН
2-СТАЕН
3-СТАЕН
4-СТАЕН
МНОГОСТАЕН
МЕЗОНЕТ
ОФИС
АТЕЛИЕ, ТАВАН
ЕТАЖ ОТ КЪЩА
КЪЩА
ВИЛА
МАГАЗИН
ЗАВЕДЕНИЕ
СКЛАД
ГАРАЖ, ПАРКОМЯСТО
ПРОМ. ПОМЕЩЕНИЕ
ХОТЕЛ
ПАРЦЕЛ
ЗЕМЕДЕЛСКА ЗЕМЯ
БИЗНЕС ИМОТ
град Благоевград
град Бургас
град Варна
град Велико Търново
град Видин
град Враца
град Габрово
град Добрич
град Кърджали
град Кюстендил
град Ловеч
град Монтана
град Пазарджик
град Перник
град Плевен
град Пловдив
град Разград
град Русе
град Силистра
град Сливен
град Смолян
град София
град Стара Загора
град Търговище
град Хасково
град Шумен
град Ямбол
7-ми 11-ти километър
Абдовица
Банишора
Белите брези
Бенковски
Борово
Ботунец
Ботунец 2
Бояна
Бъкстон
Витоша
Военна рампа
Враждебна
Връбница 1
Връбница 2
Гевгелийски
Гео Милев
Горна баня
Горубляне
Гоце Делчев
Градина
Дианабад
Димитър Миленков
Докторски паметник
Драгалевци
Дружба 1
Дружба 2
Дървеница
Експериментален
Западен парк
Захарна фабрика
Зона Б-18
Зона Б-19
Зона Б-5
Зона Б-5-3
Иван Вазов
Изгрев
Изток
Илинден
Илиянци
Карпузица
Княжево
Красна поляна 1
Красна поляна 2
Красна поляна 3
Красно село
Кремиковци
Кръстова вада
Лагера
Левски
Левски В
Левски Г
Летище София
Лозенец
Люлин - център
Люлин 1
Люлин 10
Люлин 2
Люлин 3
Люлин 4
Люлин 5
Люлин 6
Люлин 7
Люлин 8
Люлин 9
Малашевци
Малинова долина
Манастирски ливади
Медицинска академия
Младост 1
Младост 1А
Младост 2
Младост 3
Младост 4
Модерно предградие
Мусагеница
Надежда 1
Надежда 2
Надежда 3
Надежда 4
НПЗ Изток
НПЗ Искър
НПЗ Средец
НПЗ Хаджи Димитър
Обеля
Обеля 1
Обеля 2
Оборище
Овча купел
Овча купел 1
Овча купел 2
Орландовци
Павлово
ПЗ Илиянци
ПЗ Хладилника
Подуяне
Полигона
Разсадника
Редута
Република
Република 2
Света Троица
Свобода
Сердика
Сеславци
Симеоново
Славия
Слатина
СПЗ Модерно предградие
СПЗ Слатина
Стрелбище
Студентски град
Сухата река
Суходол
Толстой
Требич
Триъгълника
Факултета
Филиповци
Фондови жилища
Хаджи Димитър
Хиподрума
Хладилника
Христо Ботев
Център
Челопечене
Яворов
в.з.Американски колеж
в.з.Беловодски път
в.з.Бояна
в.з.Бункера
в.з.Врана - Герман
в.з.Врана - Лозен
в.з.Горна баня
в.з.Килиите
в.з.Киноцентъра
в.з.Киноцентъра 3 част
в.з.Люлин
в.з.Малинова долина
в.з.Малинова долина - Герена
в.з.Симеоново - Драгалевци
в.з.Черния кос
гр. Банкя
гр. Бухово
гр. Нови Искър
ж.гр.Зоопарк
ж.гр.Южен парк
м-т Барите
м-т Батареята
м-т Гърдова глава
м-т Детски град
м-т Камбаните
м-т Киноцентъра
м-т Мала кория
м-т Подлозище
м-т Щъркелово гнездо
м-т Юбилейна гора
м-т яз. Искър
м-т Яладжа
с. Балша
с. Бистрица
с. Бусманци
с. Владая
с. Войнеговци
с. Волуяк
с. Герман
с. Горни Богров
с. Доброславци
с. Долни Богров
с. Долни Пасарел
с. Железница
с. Желява
с. Житен
с. Иваняне
с. Казичене
с. Клисура
с. Кокаляне
с. Кривина
с. Кубратово
с. Кътина
с. Лозен
с. Локорско
с. Мало Бучино
с. Мировяне
с. Мрамор
с. Мърчаево
с. Негован
с. Панчарево
с. Плана
с. Подгумер
с. Световрачене
с. Чепинци
с. Яна
Откажи
OK
Цена на имота
Цена на кв.м.
Наем на имота
Цена/Год.наем
Брой оферти
Брой търсения
Разглеждания
1 месец
1 година
3 години
21 години
и 10 месеца
Добави/редактирай
вид имот и район
*Средните цени са определени чрез
медиана стойност
.
Виж още
имоти от София
или
още Парцели в София
Още обяви в imot.bg
Продава ПАРЦЕЛ
199 999 €
391 164.04 лв.
(326 кв.м)
град София Враждебна
Продава ПАРЦЕЛ
1 530 000 €
2 992 419.90 лв.
(6154 кв.м)
град София Враждебна
Продава ПАРЦЕЛ
143 600 €
280 857.19 лв.
(1795 кв.м)
град София Враждебна
Продава ПАРЦЕЛ
709 990 €
1 388 619.74 лв.
(7099 кв.м)
град София Враждебна
Още обяви в imot.bg от ЕППИ ООД
Виж всички
Продава ПАРЦЕЛ
369 900 €
723 461.52 лв.
(3699 кв.м)
град София Враждебна
Продава ПАРЦЕЛ
142 000 €
277 727.86 лв.
(1420 кв.м)
град София Враждебна
Продава ПАРЦЕЛ
270 000 €
528 074.10 лв.
(2700 кв.м)
град София Враждебна
Продава ПАРЦЕЛ
469 800 €
918 848.93 лв.
(4698 кв.м)
град София Враждебна
КОНТАКТИ
|
SMS КОДОВЕ
|
СТАТИСТИКА
|
ПОМОЩ
|
ОБЩИ УСЛОВИЯ
|
РЕКЛАМА
|
ТОП ОФЕРТА
|
Въпроси и предложения към imot.bg
Резон Медия
|
Имоти
|
Автомобили
|
Работа
|
Новини
|
Обяви
|
Преводи и легализация
2002-2025 ® Copyright imot.bg
Следвайте ни в: