Translations in other languages:
All real estate ads published on imot.bg have been translated into English and published on the partner site
Получихте нова обява по филтър





Промяна на цена на наблюдавана обява


стара цена
нова цена
imot.bg – обяви за продажби и наеми на имоти
Сайт за имоти №1
Translations in other languages:
All real estate ads published on imot.bg have been translated into English and published on the partner site
ДОБАВИ ОБЯВА Редакция на обява
Начало Публикуване Търсене Нови сгради Агенции Новини Кредити + Още... Моят имот
Продава ПАРЦЕЛ
град София, с. Волуяк
71 000 €
138 863.93 лв.

(55 €, 107.57 лв./m2)
Не се начислява ДДС
История на цената
Коригирана в 18:16 на 5 януари, 2024 год.
Обявата е посетена 5935 пъти.
Площ:
1301 m2

Описание на имота:


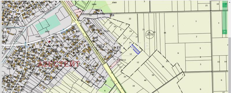
A2 ЕСТЕЙТ Ви предлага ексклузивно - Парцел в София, с. Волуяк, район Връбница, местност КИЛКАЗ. Намира се на влизане в с. Волуяк по ломско шосе в дясно на двеста метра от шосето. Имотът е площ от 1301кв.м. Попада зона Смф2, параметри за застрояване Кинт 1,2, 60% плътност.
Виж всички обяви в a2estate.bazar.bg или тук
За контакт:
0878165150
Агенция:
А2ЕСТЕЙТ
0878165150
Медал за прослужено време
В imot.bg от 2020 г.
Адрес:
област София, гр. София, ул. Княз Борис I 46
ИЗПРАТИ ЗАПИТВАНЕ
ИЗПРАТИ ЗАПИТВАНЕТО

Продава ПАРЦЕЛ
град София, с. Волуяк
Обява: 1r164483760826503

71 000 €
138 863.93 лв.
История на цената
(55 €, 107.57 лв./m2)

Не се начислява ДДС
ЗАПАЗИ ОБЯВАТА

Местоположение: град София, с. Волуяк

Виж още имоти от София или още Парцели в София
Допълнителни данни за имотите в района и сравнение с други райони: Търсене в АРХИВ 2013 - 2025 г.











Добави/редактирай
вид имот и район
*Средните цени са определени чрез медиана стойност.
Още обяви в imot.bg
КОНТАКТИ | SMS КОДОВЕ | СТАТИСТИКА | ПОМОЩ | ОБЩИ УСЛОВИЯ | РЕКЛАМА | ТОП ОФЕРТА | Въпроси и предложения към imot.bg
Резон Медия | Имоти | Автомобили | Работа | Новини | Обяви | Преводи и легализация 2002-2025 ® Copyright imot.bg
© imot.bg ползва и препоръчва хостинг услугите на Bulinfo.net
Следвайте ни в: