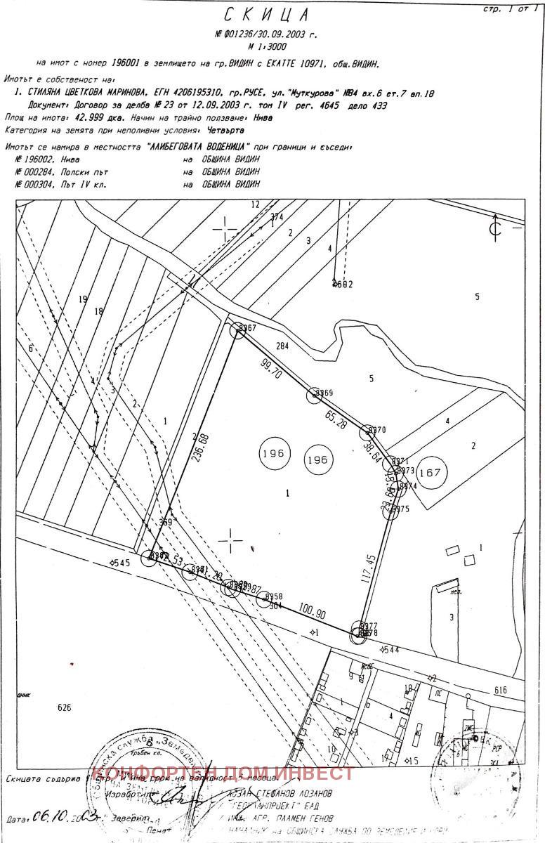
Представяме на вашето внимание за продажба стратегически парцел 50 декара с много добра локация до околовръстното на Видин. В близост до парк Нора Пизанти и квартал Бонония. Преди рестируцията е ползван за централен разсадник на град Видин, но е върнат на собствениците като нива. Има водни шахти и стълбове с ток. На територията му е имало трафопост, който в последствие е разрушен. За контакти 0898552057 Николай Коев. Клиентът има интерес и от замяна на имота за апартамент в гр. София



