Translations in other languages:
All real estate ads published on imot.bg have been translated into English and published on the partner site
Получихте нова обява по филтър





Промяна на цена на наблюдавана обява


стара цена
нова цена
imot.bg – обяви за продажби и наеми на имоти
Сайт за имоти №1
Translations in other languages:
All real estate ads published on imot.bg have been translated into English and published on the partner site
ДОБАВИ ОБЯВА Редакция на обява
Начало Добави обява Търсене Агенции Новини Кредити Вход / Регистрация
Продава ПАРКОМЯСТО
град София, Витоша
бул. Симеоновско шосе
31 000 €
60 630.73 лв.

(838 €, 1 638.99 лв./m2)
Цената е с включено ДДС
История на цената
Коригирана в 8:57 на 26 януари, 2026 год.
Обявата е посетена 236 пъти.
Площ:
37 m2
Етаж:
ниво -1 от 2
Газ:
НЕ
ТEЦ:
НЕ

Описание на имота:


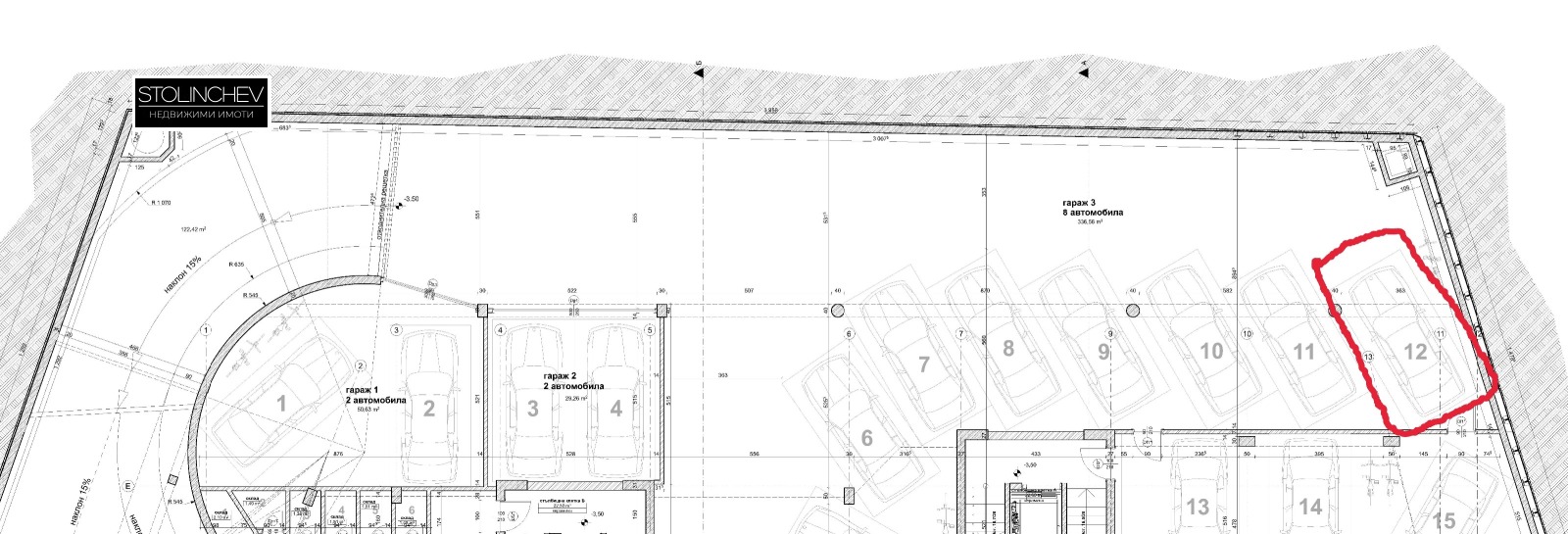
Паркомясто в подземен гараж на бул. Симеоновско шосе 14.

ПАРКОМЯСТО 12, находящо се в сутерен -1 на сградата, кота -3.50 м, с площ от 36.80 кв.м, заедно с 0.59% идеални части от общите части на сградата, съответните идеални части от правото на строеж върху дворното място.
Гаража е с автоматична врата и покрита рампа с удобен наклон.
Подземнияя гараж се почиства и поддържа.
Паркомястото е очертано съгласно действащото законодателство в размер 2,50/5,00м.

Особености
Автоматична врата
Контрол на достъпа
Ток
Осветен
За контакт:
0887677426
Агенция:
СТОЛИНЧЕВ
0887677426
СТОЛИНЧЕВ logo
В imot.bg от 2023 г.
stolinchev.imot.bg
Адрес:
област София, гр. София, София, жк. Яворов, бл.71
http://www.stolinchev.com
ИЗПРАТИ ЗАПИТВАНЕ
ИЗПРАТИ ЗАПИТВАНЕТО

Продава ПАРКОМЯСТО
град София, Витоша
бул. Симеоновско шосе
Обява: 1o176899602568903

31 000 €
60 630.73 лв.
История на цената
(838 €, 1 638.99 лв./m2)

Цената е с включено ДДС
ЗАПАЗИ ОБЯВАТА

Местоположение: град София, Витоша, бул. Симеоновско шосе

Виж още имоти от София или още Гаражи, паркоместа в София
Допълнителни данни за имотите в района и сравнение с други райони

Покажи

Период

и 1 месец

* Средните цени са определени чрез медианна стойност
Въпроси и предложения към imot.bg
КОНТАКТИ | SMS КОДОВЕ | ПОМОЩ | ОБЩИ УСЛОВИЯ | РЕКЛАМА | ЗАЩИТА НА ЛИЧНИТЕ ДАННИ | КАРТА НА САЙТА |
Резон Медия | Автомобили | Работа | Новини | Обяви 2002-2026 ® Copyright imot.bg
© imot.bg ползва и препоръчва хостинг услугите на Bulinfo.net
Следвайте ни в: