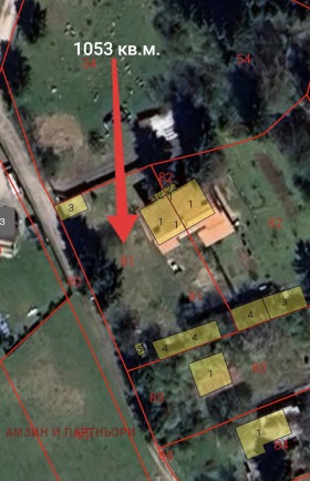
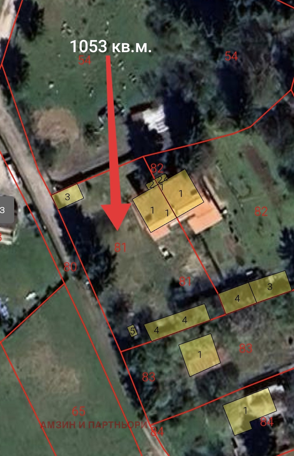
Амзин и Партньори ЕООД предлага за продажба масивна къща на калкан във с.Плана махала Календерова, район Панчарево. Намира се на тихо и спокойно място с целогодишен достъп. Сградата е с РЗП 220кв.м., построена в панорамен парцел с площ 1053кв.м.Разпределението на къщата е както следва: Сутерен, котелно помещение и две стаи.Първи етаж: дневна с, кухненск бокс,две спални,балкон,баня с тоалетна и коридор.Втори етаж: дневна с, кухненски бокс,две спални,балкон,баня с тоалетна и коридор.
Трети етаж: под-покривен,просторна стая,багажно помещение покривна тераса. В двора има построен масивен гараж с площ 26кв.м.,както и стара стопанска постройка с площ от 40кв.м.Изградена външна чешма както и запечатан 10м.бунар.Имот с много потенциал на отлична локация.







