Отговорен брокер: Магдалена Цоклинова
Разгледайте нашето ново предложение за покупка на просторен парцел земеделска земя непосредствено зад складовете на Jusk до индустриален парк София-Божурище, разположен в предградията на столицата, до пътя Божурище-Гурмазово. Селото се намира в Югозападна България, на 17 км от столицата София, на около 22 км от град Сливница, на около 27 км от Брезник и на около 13 км от град Костинброд.
Парцелът е нерегулиран нива 7 категория, разположен в близост до електричество и вода. Подходящ е за строеж на складова база, ТИР паркинг, търговски помещения и други бизнес приложения. Индустриална зона София-Божурище функционира като индустриален парк тип А, който е проектиран с предимно производствено предназначение, като база за развитие на съвременни и чисти производства завършен продукт с инфраструктурни удобства.
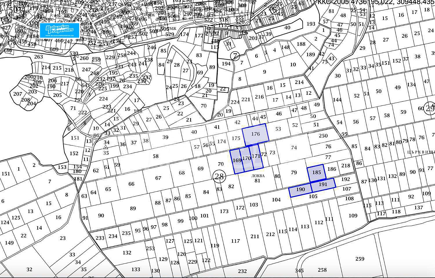
Освен описвания парцел с идентификатор18174.28.80 и площ от 1998 м2 за продажба се предлагат и следните парцели на цена 30 евро/кв.м.:
18174.28.51 3999 м2 - 119 970 Е;
18174.2869 5999 м2 - 179 970 Е;
18174.28.70 7994 м2 - 239 820 Е;
18174.28.74 11199 м2 - 335 970 Е;
18174.28.79 9598 м2 - 287 940 Е
18174.28.82 6498 м2 - 194 940 Е;
18174.28.169 3300 м2 - 99 000 Е;
18174.28.170 3298 м2 - 98 940 Е;
18174.28.171 3300 м2 - 99 000 Е;
18174.28.176 5997 м2 - 179 910 Е;
18174.28.185 3414 м2 - 102 420 Е;
18174.28.190 3001 м2 - 90 030 Е;
18174.28.191 - 3206 м2 - 96 180 Е.
Най-голямата индустриална зона в България Икономически парк София-Божурище привлича български и чуждестранни инвестиции. Намира се на международния път Е-80 Белград-Истанбул. Зоната е в пряк достъп до центъра на София, който е на 15 км югоизточно и може да бъде достигнат за няколко минути с автомобил. Най-близкото морско пристанище е в Солун, на около 290 км. По източно-южната граница минава железопътна линия.
Индустриалният парк е с площ 3 млн. кв.м. и предлага терени с изградена инфраструктура с възможности за електрозахранване, водоснабдяване, битова и дъждовна канализация, газификация, оптика. Привлечени са редица инвеститори от страната и чужбина в различни сектори, включително автомобилна промишленост, високи технологии, складова и логистична дейност.
Безспорни предимства на имота:
Непосредствена близост до София и до международния път, ...
Виж всички обяви в newbulprop.bazar.bg или тук







