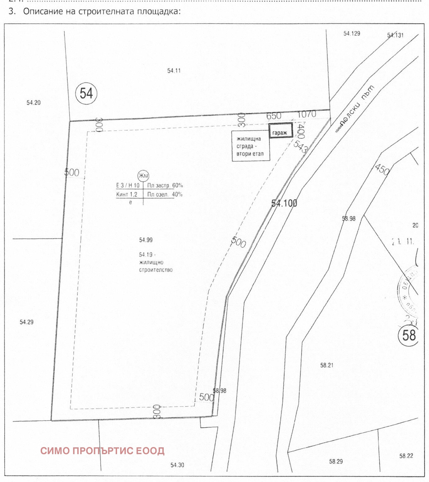
Имотът е В РЕГУЛАЦИЯ с променен статут и наличен ПУП..
Според регулацията имотът се разделя на седем бр. УПИ-та с квадратура на всяко УПИ около 600 кв.м.
Показателите на застрояване са следните:
Плътност 60 %,
Кинт 1,2
Етажност до три етажа,
Височина - до 10 м.,
Озеленяване мин. 40 %.
Имотът се намира ДО ГОЛЯМО РАЗВИТИЕ В БЛИЗОСТ и много новопостроени къщи. ДОСТПЪТ до имота Е ОТЛИЧЕН.
Релефът на терена на местоположението на имота е с деневилация с наклон към гр. Пловдив. Разкрива ЯСНА ГЛЕДКА С ОТЛИЧНА ПАНОРАМА към гр. Пловдив и околността. Има възможност имотът да се уползотви по много начини. Една от възможностите е, като се продаде на по-малки УПИ-та.
Този имот е много подходящ за покупка и с инвестиционна цел поради огромното развитие на района в момента, увеличения интерес от купувачи и покачването на цените на имотите за жилищно строителство точно в тази местност.
Запознати сме с цялата история на имота от придобиването на собствеността им, управлението му през годините и сегашния им статут и ситуация. Агенцията ни се намира в пряк контакт със собственика и бихме могли да договорим добри и гъвкави условия за сделка.
БЛАГОДАРИМ ВИ, ЧЕ ОТДЕЛИХТЕ ВРЕМЕ ЗА ТАЗИ ОБЯВА! ЩЕ СЕ РАДВАМЕ ДА СТАНЕТЕ НАШИ КЛИЕНТИ! БЪДЕТЕ ЗДРАВИ!
За допълнителна информация и огледи: 0889 498 882 Самуил Желев
Виж всички обяви в simoproperties.bazar.bg или тук
        
       
         
         
         
         
         
         
         
         
         
         
         
         
         
         
             
             
             
             
             
             
             
             
             
             
             
             
             
            






