Подходящи за складова или производствона база.
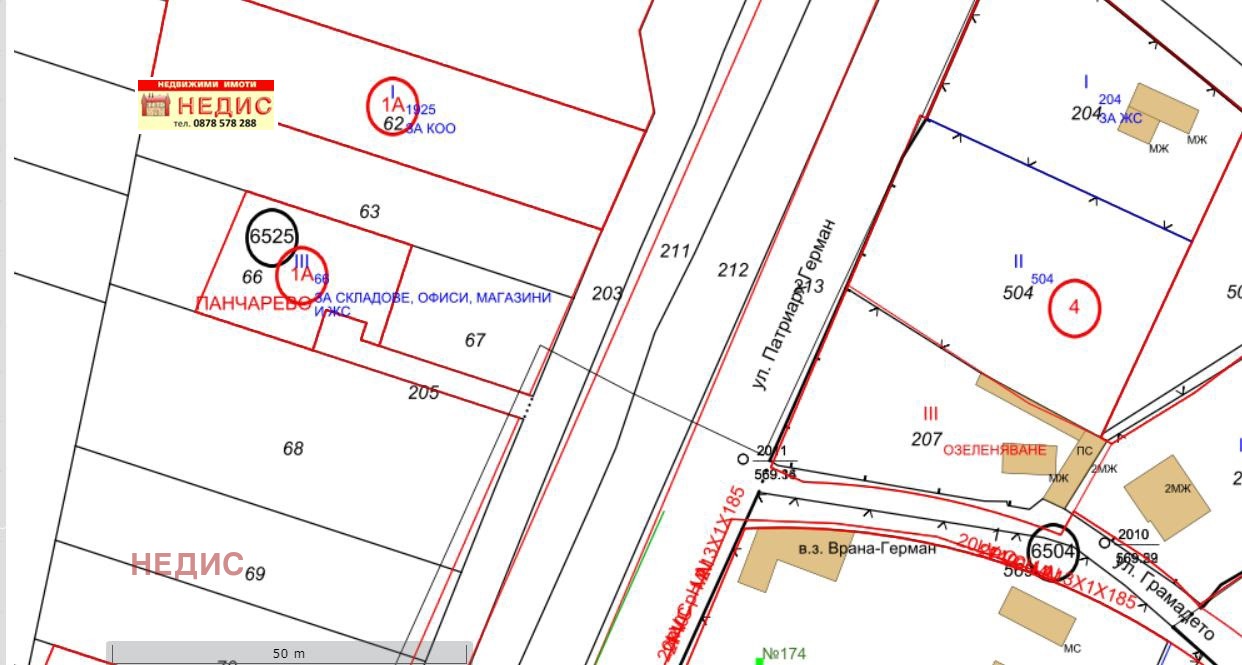
Попадат в зона Оз1. Устройствена категория Оз1 е със следните характеристики:
Зона за обществено - обслужващи дейности и озеленяване в градския район.
Плътност на застрояване 30 %
КИНТ 1,2
Мин. озеленена площ 50 %
Около парцела има застрояване и започват и други.
*** ЗА ОРГАНИЗИРАНЕ НА ОГЛЕДИ: Подписване на Договор за посреднически услуги (комисионен договор), протокол. * * * * * * * * * БРОКЕР: Неделко Ганчевски, тел: 0878578288
Виж всички обяви в nedis.bazar.bg или тук
        
       
         
         
         
         
         
         
         
         
             
             
             
             
             
             
             
            



