Перфектна възможност за инвестиция в имот с готова регулация и стратегическо местоположение!
Имотът е В РЕГУЛАЦИЯ и е готов за реализация на инвестиционен проект без допълнителни процедури.
Подходящ за производствена, логистична, търговска или комбинирана дейност, с отлична експозиция и бърз достъп до основни пътни артерии.
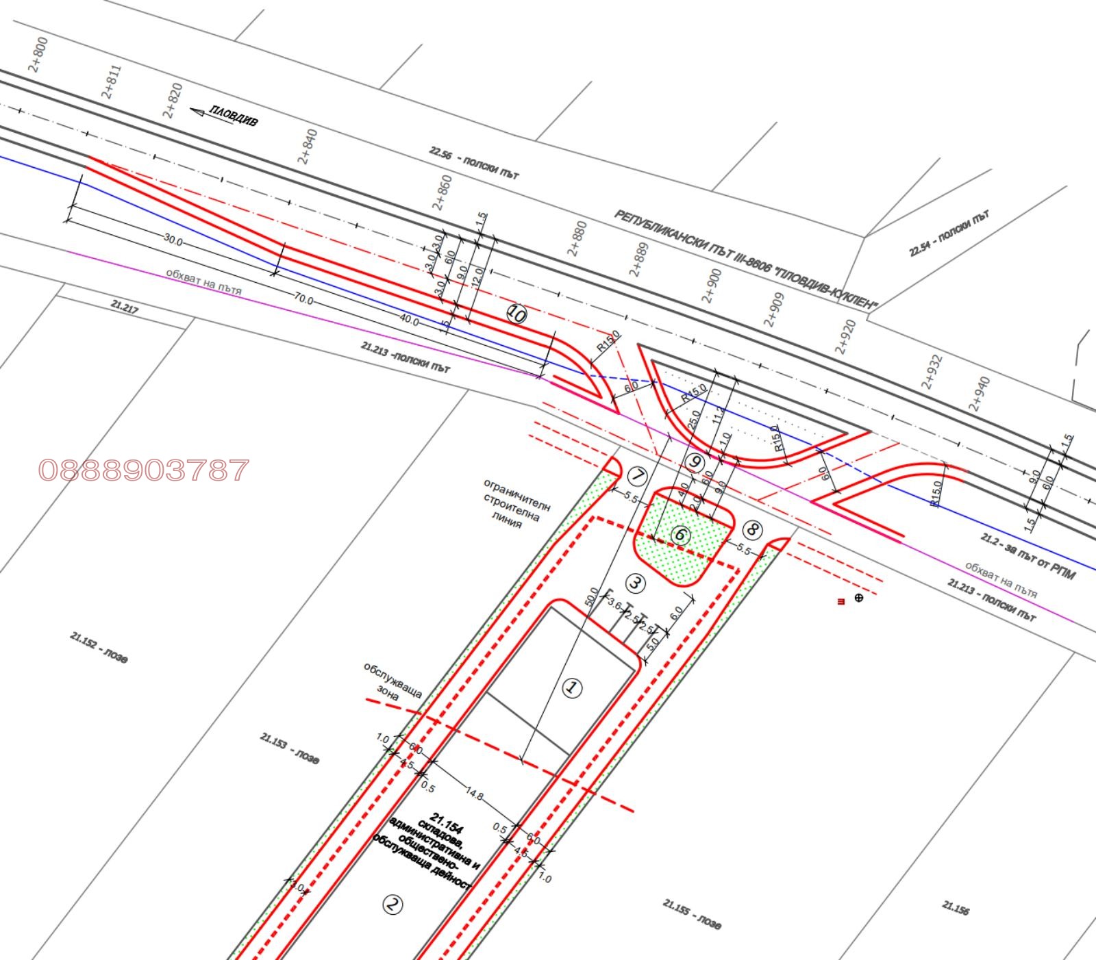
📍 Имотът се намира на главен асфалтов път, в началото на село Брестник, осигуряващ лесен достъп за тежкотоварен транспорт и отлична видимост.
Характеристики:
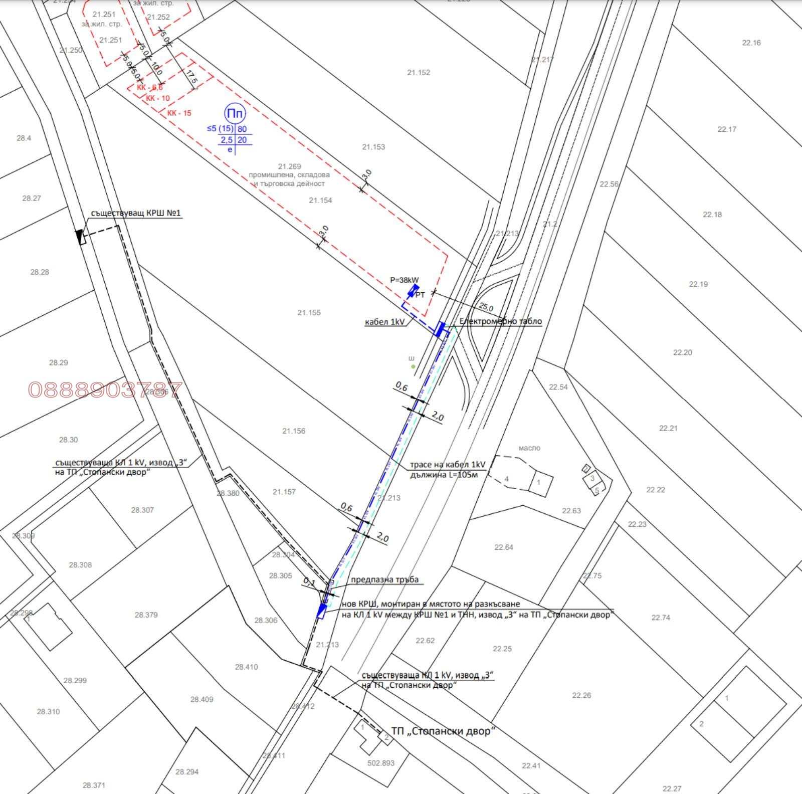
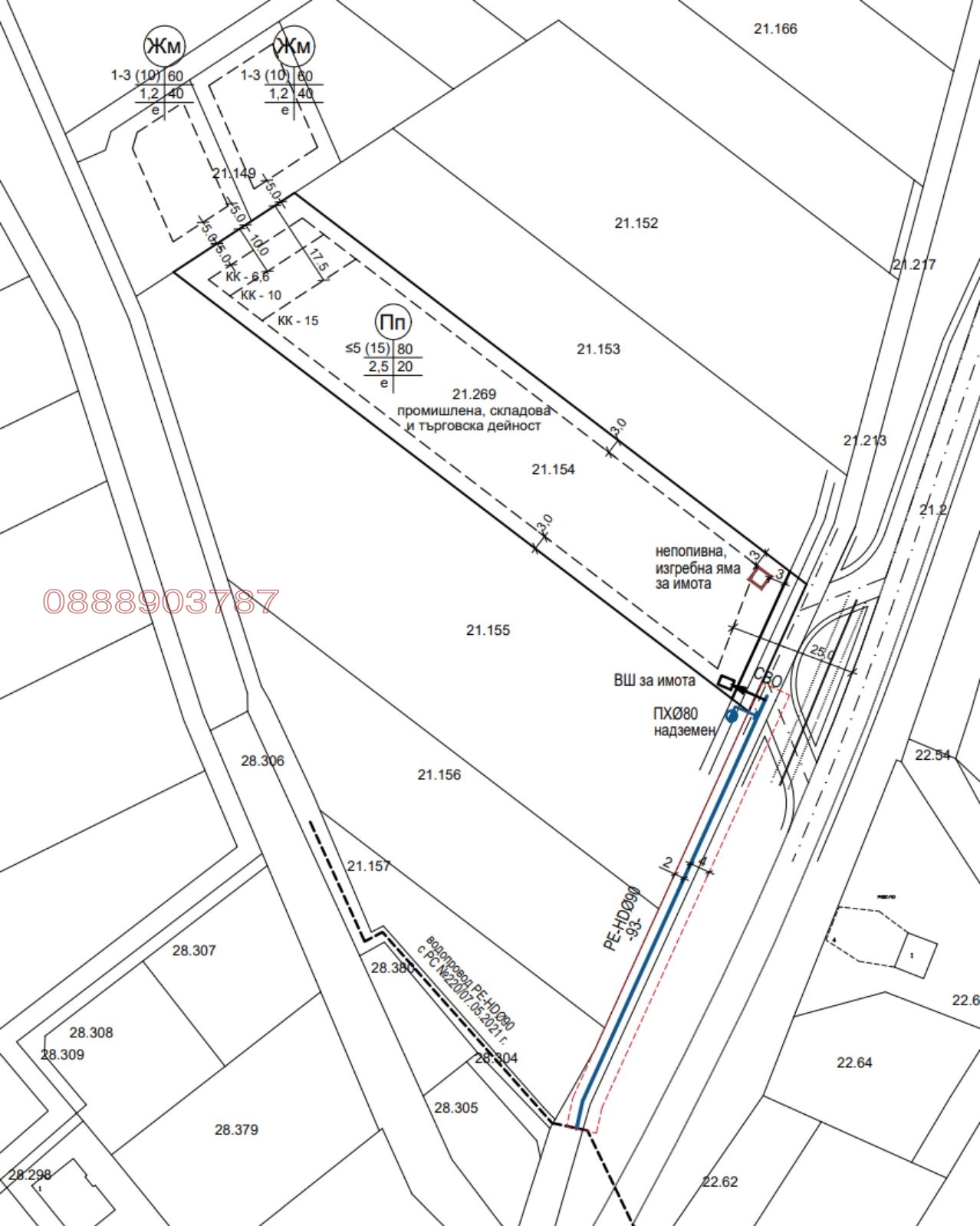
УПИ 21.154 за производствена, складова и търговска дейност 3 490 кв.м
ПИ с начин на трайно ползване второстепенна улица, 110 кв.м
Зона Пп с параметри:
КИНТ: 2.5
Плътност на застрояване: 80%
Минимална озеленена площ: 20%







