Translations in other languages:
All real estate ads published on imot.bg have been translated into English and published on the partner site
Получихте нова обява по филтър





Промяна на цена на наблюдавана обява


стара цена
нова цена
imot.bg – обяви за продажби и наеми на имоти
Сайт за имоти №1
Translations in other languages:
All real estate ads published on imot.bg have been translated into English and published on the partner site
ДОБАВИ ОБЯВА Редакция на обява
Начало Публикуване Търсене Нови сгради Агенции Новини Кредити + Още... Моят имот
Продава ПАРЦЕЛ
град София, с. Мало Бучино
450 098 €
880 315.17 лв.

(22 €, 43.03 лв./m2)
Не се начислява ДДС
История на цената
Коригирана в 11:52 на 1 октомври, 2025 год.
Обявата е посетена 211 пъти.
Площ:
20459 m2
Регулация:
НЕ
Ток:
НЕ
Вода:
НЕ

Описание на имота:


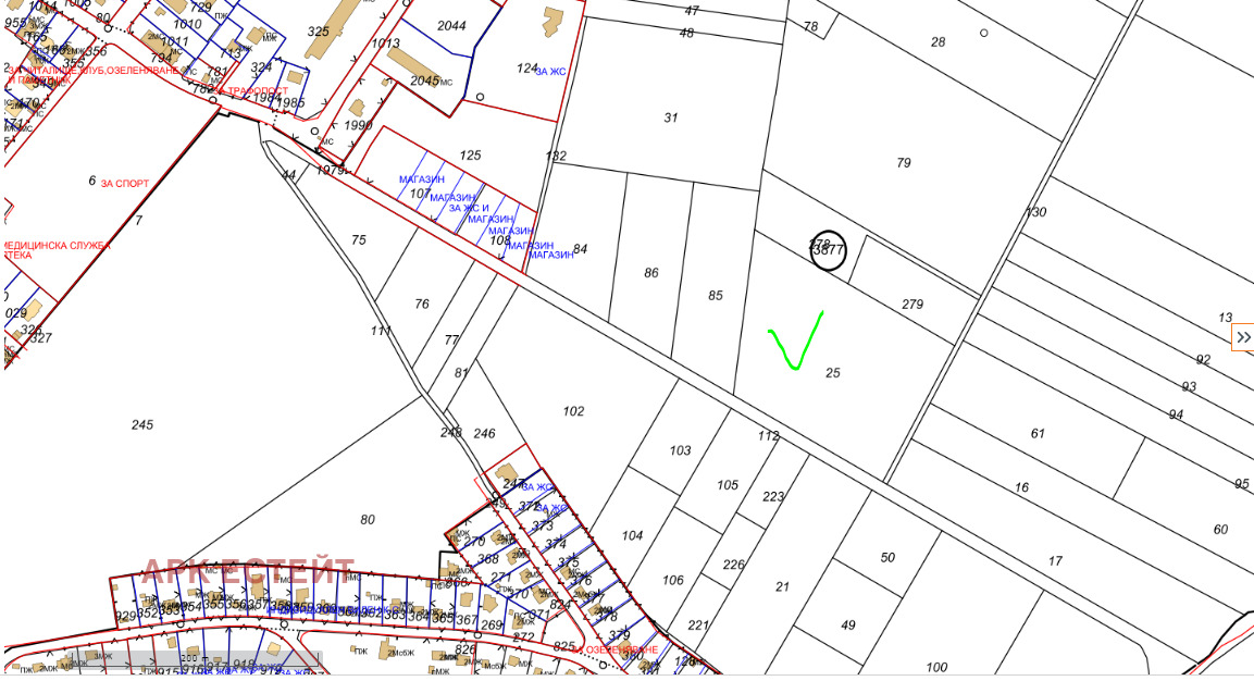
'АРК ЕСТЕЙТ' ЕООД Ви предлага правоъгълен и слънчеви ПИ със статут на земеделска земя в район Овча купел,с. Мало Бучино, Местност Прогона/между бившето ТКЗС и в.з.Пладнище/. Имот 46721.3877.25. На 100м. от небезизвестната 'Ферма на Мечтите'.Предназначение на земята - Земеделска. Уникална гледка към Витоша и София. Равен, без денивелация. В близост до регулация и целогодишно обитавани къщи. Ток, вода в съседните парцели. Лице 140м. Достъпът до София е подсигурен с автобус 56 и маршрутни таксита. Намира се на 5км от Суходол и околовръстен път, на 3 мин. по Автомагистрала Люлин до кв. Люлин. Работим с колеги. Съдействие за кредит. За огледи звънете на посочените телефони. Дължи се 3% комисионна при подписване на предварителен договор! Огледи в удобно за Вас време. Агенцията разполага с още предложения в района. Тел.: 0888434751 Даниела Тодорова
Виж всички обяви в arcestate.bazar.bg или тук
За контакт:
0888434751
Брокер:
Даниела Тодорова
0888434751
Офис: гр.София
Още оферти от брокера: Продава | Дава под наем | Купува | Наема
Агенция:
АРК ЕСТЕЙТ
0888434751
АРК ЕСТЕЙТ logo
Медал за прослужено време
В imot.bg от 2017 г.
arcestate.imot.bg
Адрес:
област София, гр. София, с.Мало Бучино, ул. Георги Бенковски 26
http://arcestate.imot.bg
ИЗПРАТИ ЗАПИТВАНЕ
ИЗПРАТИ ЗАПИТВАНЕТО

Продава ПАРЦЕЛ
град София, с. Мало Бучино
Обява: 1r170772975353277

450 098 €
880 315.17 лв.
История на цената
(22 €, 43.03 лв./m2)

Не се начислява ДДС
ЗАПАЗИ ОБЯВАТА

Местоположение: град София, с. Мало Бучино

Виж още имоти от София или още Парцели в София
Допълнителни данни за имотите в района и сравнение с други райони: Търсене в АРХИВ 2013 - 2025 г.











Добави/редактирай
вид имот и район
*Средните цени са определени чрез медиана стойност.
Още обяви в imot.bg
КОНТАКТИ | SMS КОДОВЕ | СТАТИСТИКА | ПОМОЩ | ОБЩИ УСЛОВИЯ | РЕКЛАМА | ТОП ОФЕРТА | Въпроси и предложения към imot.bg
Резон Медия | Имоти | Автомобили | Работа | Новини | Обяви | Преводи и легализация 2002-2025 ® Copyright imot.bg
© imot.bg ползва и препоръчва хостинг услугите на Bulinfo.net
Следвайте ни в: