Translations in other languages:
All real estate ads published on imot.bg have been translated into English and published on the partner site
Получихте нова обява по филтър





Промяна на цена на наблюдавана обява


стара цена
нова цена
imot.bg – обяви за продажби и наеми на имоти
Сайт за имоти №1
Translations in other languages:
All real estate ads published on imot.bg have been translated into English and published on the partner site
ДОБАВИ ОБЯВА Редакция на обява
Начало Публикуване Търсене Нови сгради Агенции Новини Кредити + Още... Моят имот
Продава ПАРЦЕЛ
област Пловдив, с. Старосел
9 203.25 €
18 000 лв.

(20.96 €, 41 лв./m2)
Не се начислява ДДС
История на цената
Коригирана в 9:46 на 29 октомври, 2025 год.
Обявата е посетена 2484 пъти.
Площ:
442 m2
Регулация:
ДА
Ток:
НЕ
Вода:
НЕ

Описание на имота:


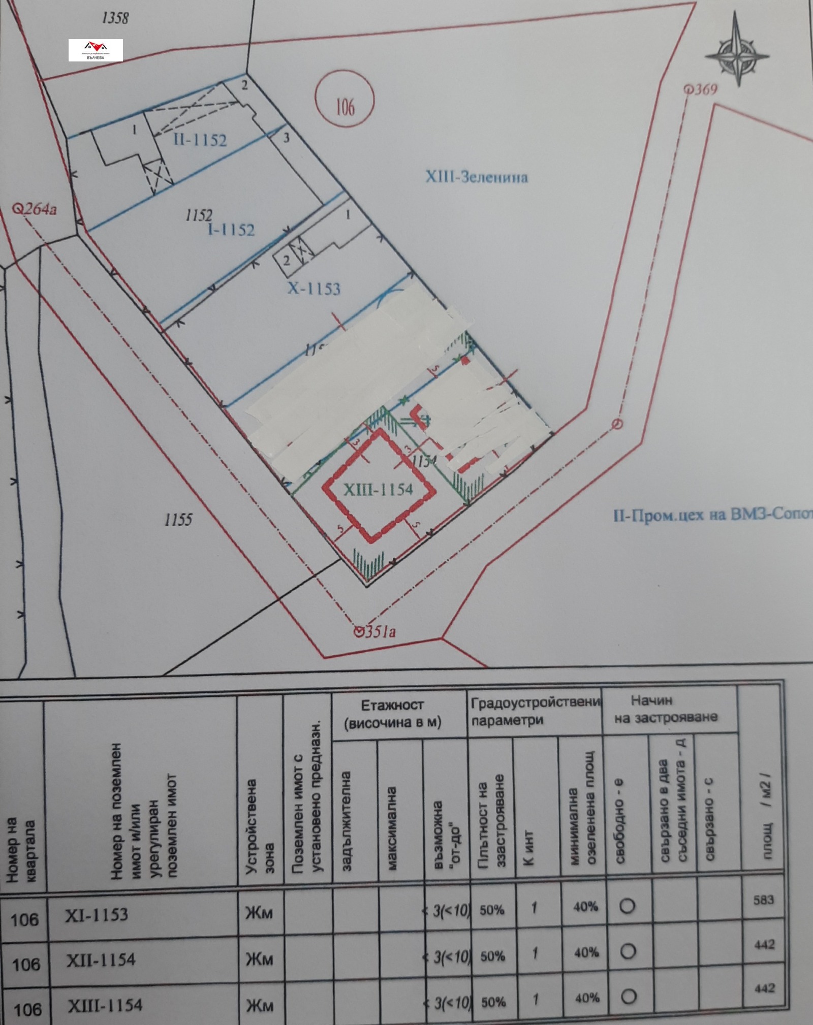
Имотът е с площ 442 кв.м. в с. Старосел, община Хисаря с променен статут и ПУП за 'Жилищно строителство' със следните параметри на застрояване: Кинт = 1, височина - до 10 метра, етажност до 3 етажа, застрояване - 40 %, озеленяване - 40 %.
Терена е равен и с лице на асфалтов път, в края на населеното място. Всички комуникации до имота.
Имота има отлично местоположение в землището на населеното място.
Виж всички обяви в valcheva.bazar.bg или тук
За контакт:
0878977689

Този имот се предлага само на частни лица
Брокер:
Борислава Вълчева
0878977689
Офис: гр.Хисаря бул. Христо Ботев 19 А
Още оферти от брокера: Продава | Дава под наем | Купува | Наема
Агенция:
ВЪЛЧЕВА
0878977689
ВЪЛЧЕВА logo
Медал за прослужено време
В imot.bg от 2022 г.
valcheva.imot.bg
Адрес:
област Пловдив, гр. Хисаря, ул. Христо Ботев 19 А
ИЗПРАТИ ЗАПИТВАНЕ
ИЗПРАТИ ЗАПИТВАНЕТО

Продава ПАРЦЕЛ
област Пловдив, с. Старосел
Обява: 1r167292603114134

9 203.25 €
18 000 лв.
История на цената
(20.96 €, 41 лв./m2)

Не се начислява ДДС
ЗАПАЗИ ОБЯВАТА

Местоположение: област Пловдив, с. Старосел

Виж още имоти от с. Старосел или още Парцели в с. Старосел, Пловдив
Още обяви в imot.bg
КОНТАКТИ | SMS КОДОВЕ | СТАТИСТИКА | ПОМОЩ | ОБЩИ УСЛОВИЯ | РЕКЛАМА | ТОП ОФЕРТА | Въпроси и предложения към imot.bg
Резон Медия | Имоти | Автомобили | Работа | Новини | Обяви | Преводи и легализация 2002-2025 ® Copyright imot.bg
© imot.bg ползва и препоръчва хостинг услугите на Bulinfo.net
Следвайте ни в: