Отговорен брокер: Даниел Тонев
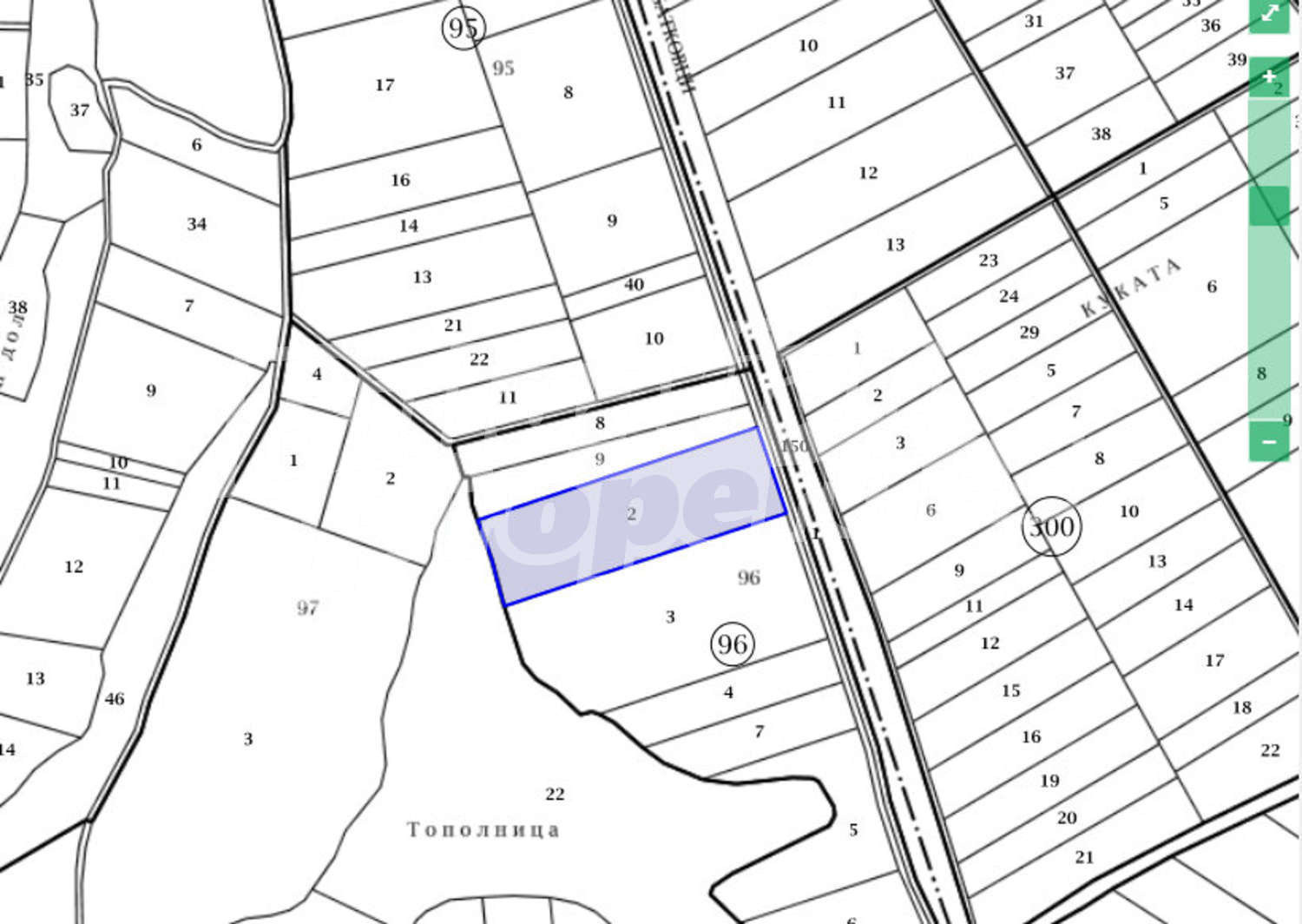
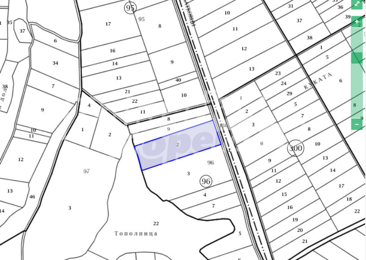
Разгледайте нашето ново предложение за покупка на голям парцел земеделска земя в местност Батковското на град Костинброд, на 350 метра от разклона за с. Драговищица. Имотът се характеризира с отлична комуникативност, с лице от 70 метра на Републикански път II-81. Има отличен потенциал за успешна реализация на редица инвестиционни проекти.
Парцелът е равен с площ 14.997 дка. Има правилна форма, 220/70 м. Представлява земеделска територия, категория 5.
Костинброд е град в Западна България, Софийска област, построен в Софийската котловина, в близост до градовете София (19 км в северозападна посока), Божурище (10 км) и Сливница. Разполага с разнообразие от съврeменни удобства. През него минават две реки, притоци на река Искър. В района има минерални води от римско време и останки от римска баня, видни и до днес.
Оглед на имота
Можем да организираме оглед на имота в удобно за вас време. За целта, свържете се с отговорния за офертата брокер и му кажете кога бихте искали да направите оглед.
Резервация на имота
Имотът може да бъде резервиран и свален от продажба със заплащане на депозит, след което се прекратява провеждането на огледи с други купувачи и започва подготовка на документите за сключване на предварителен и окончателен договор. Свържете се с отговорния брокер за този имот за подробна информация относно процедурата на покупка и начините за плащане.
Допълнителни услуги и следпродажбено обслужване
Ние сме реномирана компания и ще бъдем с вас не само по време на покупката, но и след това, осигурявайки ви допълнителни услуги по ваше изискване с цел пълноценно и безпроблемно ползване на новозакупения имот. Услугите, които можем да предложим, включват застраховка на движимо и недвижимо имущество, застраховка живот, медицинско и автомобилно застраховане, строителни и ремонтни дейности, обзавеждане, юридически и счетоводни услуги и др.
...
Виж всички обяви в newbulprop.bazar.bg или тук







